태그박스 > 인터넷바다낚시
인터넷바다낚시
어종별선상
어종별갯바위
낚시인조황
점주선장조황
출조정보
낚시광장
낚시지식인
낚시교실
중고장터
휴게실
인낚몰
0
홈
어종별선상
어종별갯바위
낚시인조황
점주선장조황
출조정보
낚시광장
낚시지식인
낚시교실
중고장터
휴게실
어종별선상
어종별갯바위
낚시인조황
점주선장조황
출조정보
낚시광장
낚시지식인
낚시교실
중고장터
휴게실
어종별선상
어종별 선상조황
4대돔 조황
먹물 조황
갈치 조황
볼락&전갱이
빅게임 지깅&파핑
외줄&외수질
기타 어종
어종별 갯바위조황
4대돔 조황
먹물 조황
갈치 조황
볼락&전갱이
농어&삼치&방어&부시리
기타 어종
어종별갯바위
어종별 선상조황
4대돔 조황
먹물 조황
갈치 조황
볼락&전갱이
빅게임 지깅&파핑
외줄&외수질
기타 어종
어종별 갯바위조황
4대돔 조황
먹물 조황
갈치 조황
볼락&전갱이
농어&삼치&방어&부시리
기타 어종
낚시인조황
낚시인 번개조황
낚시인조행기
스탭조행기
우리낚시동호회이야기
전국낚시동호회소개
동호회갤러리
지난 조환자료보기(년도별 조황 자료)
점주선장조황
전국 실시간 조황
선상(배)+좌대 조황
갯바위+방파제 조황
지난 조환자료보기(년도별 조황 자료)
출조정보
낚시인동행출조
점주선장 갯바위 출조
점주선장 선상출조
기상파고정보(기상청)
해상예보
물때표
파고예보(일본)
실시간해양관측예보
스마트조석예보
낚시광장
낚시계뉴스
대회 및 낚시관련 홍보
제품평가단
신상품소개
낚시지식인
Q&A 묻고 답하기
조황/포인트 문의
주간 베스트
낚시용품 사용기
낚시투표
토론방
新어류도감
낚시교실
낚시기법소개
어종별 낚시교실
입문자교실
중급자교실
낚시용어사전
중고장터
중고장터 이용후기
더치트 사기피해 검색
팝니다
삽니다
교환합시다
무료로 드립니다
부품팝니다
부품삽니다
일반 생활용품 사고 팔기
휴게실
출석부
낚시갤러리
세상사는 이야기(자유게시판)
낚시이야기 마당
먹고사는 이야기
구인구직
칭찬합니다
어재이런일이
습득물 찾기
인낚몰
자료실
인낚 유튜브
인낚 칼럼
블루, 그것이 알고싶다
더블테일의 두 눈으로 보는 세상
입질의추억의 피싱다이어리
나無의 바다 이야기
전문강좌
海巖의 바다낚시 이야기
이성규의 전유동낚시 강좌
조성민의 금요루어클럽
검색
새창
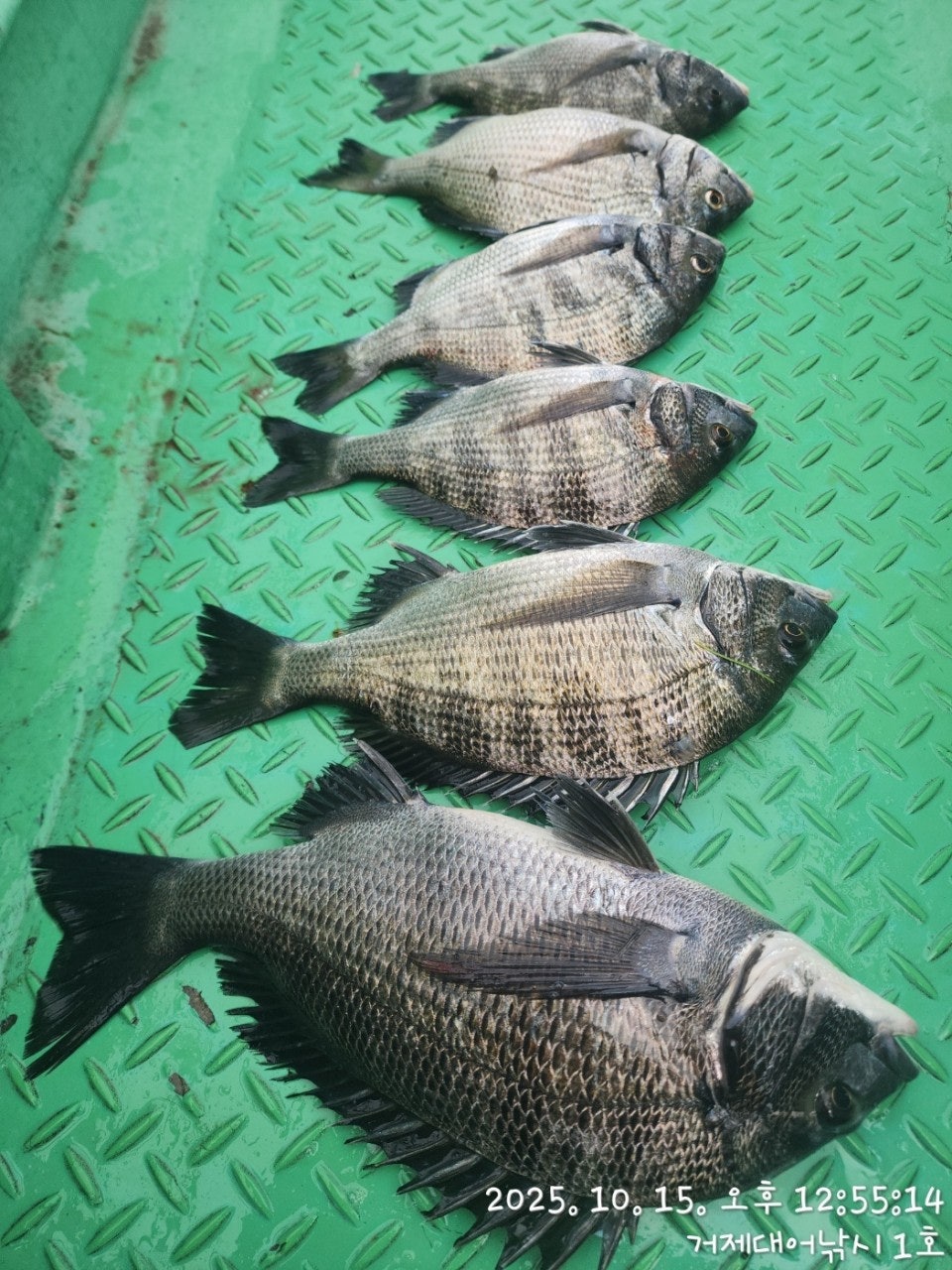
(감성돔)불감당 4방 팅 팅 중치급들 손맛~거제대어1호(17일 예약)
0
77
2025.10.16 16:03
15일(수요일) 거제 감성돔 흘림낚시 "거제대어1호" (철수) 핫조황입니다.※ 감성돔 53Cm 참돔 68Cm…
더보기
새창
(감성돔)대물 속출 3방 팅 4짜 외 마릿수~거제대어2호(17일 예약)
0
102
2025.10.16 09:12
15일(수요일) 거제 감성돔 흘림낚시 "거제대어2호" (철수) 핫조황입니다.※ 감성돔 53Cm 참돔 68Cm…
더보기
새창
(감성돔)불감당 4방 팅 팅 중치급들 손맛~거제대어1호(17일 예약) 2
0
74
2025.10.16 09:11
15일(수요일) 거제 감성돔 흘림낚시 "거제대어1호" (철수) 핫조황입니다.※ 감성돔 53Cm 참돔 68Cm…
더보기
새창
감성돔(흘림) 대형급 입질 터지고~내만 상륙~거제대어6호(16일 예약)
0
142
2025.10.15 15:38
15일(수요일) 거제 감성돔 흘림낚시 "거제대어6호"1명 조황입니다.※ 감성돔 53Cm 참돔 68Cm이상(日…
더보기
새창
감성돔(흘림) 불감당 4방 팅~4짜급외 마리수~거제대어1호(16일 예약)
0
108
2025.10.15 15:35
15일(수요일) 거제 감성돔 흘림낚시 "거제대어1호" (철수) 핫조황입니다.※ 감성돔 53Cm 참돔 68Cm…
더보기
새창
감성돔(흘림) 3방 터지고~4짜외 3짜 마리수~거제대어2호 (16일 예약)
0
102
2025.10.15 15:32
15일(수요일) 거제 감성돔 흘림낚시 "거제대어2호" (철수) 핫조황입니다.※ 감성돔 53Cm 참돔 68Cm…
더보기
새창
실시간(감성돔) 4방 팅~팅~4짜급 손맛~굵습니다~거제대어1호(16일 예약)
0
39
2025.10.15 10:25
거제대어낚시1호 감성돔 흘림낚시 조황입니다. 오늘은 몇일간 기다렸던 화끈한 포인트로 진입, 역시~ 굵은놈들이…
더보기
새창
실시간(감성돔) 4방 팅~팅~4짜급 손맛~굵습니다~거제대어1호(16일 예약)
0
104
2025.10.15 10:24
15일(수요일) 거제 감성돔 흘림낚시 "거제대어1호" (실시간) 핫조황입니다.※ 감성돔 53Cm 참돔 68C…
더보기
새창
(감성돔)대물 입성~몇 방 터지고 4짜3짜 HIT~거제대어5호(15일 예약)
0
106
2025.10.14 16:45
13일(월요일) 거제 감성돔 참돔 흘림낚시 "거제대어5호" (철수) 핫조황입니다.※ 감성돔 53Cm 참돔 6…
더보기
새창
(감성돔)대물 주의 5짜급 외 4짜 3짜 폭격~거제대어4호(15일 예약)
0
133
2025.10.14 16:44
11일(토요일) 거제 감성돔 참돔 흘림낚시 "거제대어4호" (철수) 핫조황입니다.※ 감성돔 53Cm 참돔 6…
더보기
새창
(감성돔)굵은 씨알 총쏘고 4짜 3짜 끝장 손맛~거제대어5호(14일 예약)
0
85
2025.10.13 16:03
13일(월요일) 거제 감성돔 참돔 흘림낚시 "거제대어5호" (철수) 핫조황입니다.※ 감성돔 53Cm 참돔 6…
더보기
새창
(흘림)참돔 4짜군단 외 부시리떼 HIT~거제대어2호(14일 예약)
0
109
2025.10.13 16:02
11일(토요일) 거제 감성돔 참돔 흘림낚시 "거제대어2호" (철수) 핫조황입니다.※ 감성돔 53Cm 참돔 6…
더보기
새창
(감성돔)대물 속출~4짜 중후반 외 참돔들~거제대어4호(14일 예약)
0
94
2025.10.13 16:01
11일(토요일) 거제 감성돔 참돔 흘림낚시 "거제대어4호" (철수) 핫조황입니다.※ 감성돔 53Cm 참돔 6…
더보기
새창
(실시간)감성돔 터지고 빠지고 4짜 3짜 손맛 중~거제대어5호(14일 예약)
0
63
2025.10.13 11:00
거제대어낚시5호 감성돔 흘림낚시 조황입니다. 내만권 깊숙한 곳까지 진입한 감성돔들을 노리며 포인트로 진입했고…
더보기
새창
(실시간)감성돔 터지고 빠지고 4짜 3짜 손맛 중~거제대어5호(14일 예약)
0
126
2025.10.13 11:00
13일(월요일) 거제 감성돔 참돔 흘림낚시 "거제대어5호" (실시간) 핫조황입니다.※ 감성돔 53Cm 참돔 …
더보기
새창
(감성돔)대물 포인트 5방 터지고 4짜급 외 찐한 손맛 거제대어2GH(13일 예약)
0
129
2025.10.12 17:03
12일(일요일) 거제 감성돔 참돔 흘림낚시 "거제대어2GH" (철수) 핫조황입니다.※ 감성돔 53Cm 참돔 …
더보기
새창
(감성돔)실시간 긴장감 속 4짜 외 4짜급들 HIT~거제대어4호(13일 예약)
0
45
2025.10.12 10:04
거제대어낚시4호 감성돔 흘림낚시 조황입니다. 최근 꾸준한 조황을 보이는 포인트 역시나 새벽부터 놈들의 반응을…
더보기
새창
(실시간)감성돔 사냥 2방 터지고 4짜급으로 시작~거제대어2호(13일 예약)
0
55
2025.10.12 10:03
거제대어낚시2호 감성돔 흘림낚시 조황입니다. 이른 새벽 준비할 틈도 없이 찾아온 대물의 입질에 2방 팅 터트…
더보기
새창
감성돔(흘림) 4짜외 중치급 마리수 찐한 손맛~거제대어5호(12일 예약)
0
78
2025.10.11 16:08
11일(토요일) 거제 감성돔 참돔 흘림낚시 "거제대어5호" (철수) 핫조황입니다.※ 감성돔 53Cm 참돔 6…
더보기
새창
감성돔(어초여밭) 4짜급 벵에돔 참돔 부시리 어종박물관~대어1호(12일 예약)
0
77
2025.10.11 16:02
11일(토요일) 거제 감성돔 참돔 흘림낚시 "거제대어1호" (철수) 핫조황입니다.※ 감성돔 53Cm 참돔 6…
더보기
1
2
3
4
5