태그박스 > 인터넷바다낚시
인터넷바다낚시
어종별 조황
낚시인조황
점주선장조황
출조정보
낚시광장
낚시지식인
낚시교실
중고장터
휴게실
인낚몰
0
홈
어종별 조황
낚시인조황
점주선장조황
출조정보
낚시광장
낚시지식인
낚시교실
중고장터
휴게실
어종별 조황
낚시인조황
점주선장조황
출조정보
낚시광장
낚시지식인
낚시교실
중고장터
휴게실
어종별 조황
어종별 선상조황
4대돔 조황
먹물 조황
갈치 조황
락피쉬 라이트게임
빅게임 지깅&파핑
외줄&외수질
기타 어종
어종별 갯바위조황
4대돔 조황
먹물 조황
갈치 조황
락피쉬 라이트게임
라이트지깅
기타 어종
낚시인조황
낚시인 번개조황
낚시인 조행기
스탭 조행기
우리 낚시동호회이야기
전국 낚시동호회소개
동호회 갤러리
지난 조황자료보기
점주선장조황
전국 실시간 조황
선상(배)+좌대 조황
갯바위+방파제 조황
지난 조황자료보기
출조정보
낚시인 동행출조
점주선장 갯바위출조
점주선장 선상출조
기상파고정보(기상청)
해상예보
물때표
파고예보(일본)
실시간 해양관측예보
스마트 조석예보
낚시광장
낚시계 뉴스
대회 및 낚시관련 홍보
제품 평가단
신상품 소개
낚시지식인
Q&A 묻고 답하기
조황/포인트 문의
낚시용품 사용기
낚시투표
토론방
新어류도감
낚시교실
낚시기법 소개
어종별 낚시교실
입문자 교실
중급자 교실
낚시용어 사전
중고장터
중고장터 이용후기
더치트 사기피해 검색
팝니다
삽니다
교환합시다
무료로 드립니다
부품 팝니다
부품 삽니다
일반 생활용품 사고 팔기
휴게실
출석부
낚시갤러리
세상사는이야기(자유게시판)
낚시이야기 마당
먹고사는 이야기
구인구직
칭찬합니다
어찌이런일이
습득물 찾기
인낚몰
자료실
인낚 U튜브
인낚 칼럼
블루, 그것이 알고싶다
더블테일의 두 눈으로 보는 세상
입질의추억의 피싱다이어리
나無의 바다 이야기
전문강좌
海巖의 바다낚시 이야기
이성규의 전유동낚시 강좌
조성민의 금요루어클럽
검색
새창
(다대포)참돔 군단 입성~폭군 부시리까지 난리법석~용진호(16일 예약)
0
40
2025.09.15 16:24
참돔떼와 부시리들~추석 제수고기 준비끝~14일(일요일) 다대포 본동 출발, 형제섬,외섬 선상 "용진호" 핫 …
더보기
새창
(다대포)참돔 군단 입성~폭군 부시리까지 난리법석~용진호(16일 예약)
0
108
2025.09.15 16:23
참돔떼와 부시리들~추석 제수고기 준비끝~14일(일요일) 다대포 본동 출발, 형제섬,외섬 선상 "용진호" 핫 …
더보기
새창
(감성돔)4짜 중반~3짜 후반 평균 씨알 끝내주네요~제일호(16일 예약)
0
41
2025.09.15 14:31
확률 높은 오전타임 집중 공략~!!14일(일요일) 거제도 감성돔 선상낚시 청곡항 출발, "제일호" (철수)핫…
더보기
새창
(감성돔)4짜 중반~3짜 후반 평균 씨알 끝내주네요~제일호(16일 예약)
0
64
2025.09.15 14:30
확률 높은 오전타임 집중 공략~!!14일(일요일) 거제도 감성돔 선상낚시 청곡항 출발, "제일호" (철수)핫…
더보기
새창
(감성돔)여기다 38~45Cm까지 씨알 좋고 마릿수 좋고~제일호(15일 예약)
0
126
2025.09.14 16:09
확률 높은 오전타임 집중 공략~!!14일(일요일) 거제도 감성돔 선상낚시 청곡항 출발, "제일호" (철수)핫…
더보기
새창
(다대포)추석 준비는 용진호에서~참돔 부시리 쫙~깔았네요(15일 예약)
0
81
2025.09.14 16:07
참돔떼와 부시리들~추석 제수고기 준비끝~14일(일요일) 다대포 본동 출발, 형제섬,외섬 선상 "용진호" 핫 …
더보기
새창
(감성돔)여기다 38~45Cm까지 씨알 좋고 마릿수 좋고~제일호(15일 예약)
1
54
2025.09.14 14:07
확률 높은 오전타임 집중 공략~!!14일(일요일) 거제도 감성돔 선상낚시 청곡항 출발, "제일호" (철수)핫…
더보기
새창
(감성돔)여기다 38~45Cm까지 씨알 좋고 마릿수 좋고~제일호(15일 예약)
1
84
2025.09.14 14:06
확률 높은 오전타임 집중 공략~!!14일(일요일) 거제도 감성돔 선상낚시 청곡항 출발, "제일호" (철수)핫…
더보기
새창
(다대포)추석 준비는 용진호에서~참돔 부시리 쫙~깔았네요(15일 예약)
1
41
2025.09.14 13:52
참돔떼와 부시리들~추석 제수고기 준비끝~14일(일요일) 다대포 본동 출발, 형제섬,외섬 선상 "용진호" 핫 …
더보기
새창
(다대포)추석 준비는 용진호에서~참돔 부시리 쫙~깔았네요(15일 예약)
1
74
2025.09.14 13:52
참돔떼와 부시리들~추석 제수고기 준비끝~14일(일요일) 다대포 본동 출발, 형제섬,외섬 선상 "용진호" 핫 …
더보기
새창
(감성돔)꾸준한 조황 1명 4짜급 외 3짜 타작완료~제일호(14일 예약)
0
29
2025.09.13 15:07
확률 높은 오전타임 집중 공략~!!12일(금요일) 거제도 감성돔 선상낚시 청곡항 출발, "제일호" 철수 조황…
더보기
새창
(감성돔)꾸준한 조황 1명 4짜급 외 3짜 타작완료~제일호(14일 예약)
0
81
2025.09.13 15:05
확률 높은 오전타임 집중 공략~!!12일(금요일) 거제도 감성돔 선상낚시 청곡항 출발, "제일호" 철수 조황…
더보기
새창
(감성돔)꾸준한 조황 1명 4짜급 외 3짜 타작완료~제일호(14일 예약)
0
103
2025.09.13 10:24
확률 높은 오전타임 집중 공략~!!12일(금요일) 거제도 감성돔 선상낚시 청곡항 출발, "제일호" 철수 조황…
더보기
새창
(감성돔)오전 타임 출조 1명 4짜급외 3짜 마릿수 손맛~제일호(14일 예약)
1
36
2025.09.12 15:50
확률 높은 오전타임 집중 공략~!!12일(금요일) 거제도 감성돔 선상낚시 청곡항 출발, "제일호" 철수 조황…
더보기
새창
(감성돔)오전 타임 출조 1명 4짜급외 3짜 마릿수 손맛~제일호(14일 예약)
1
94
2025.09.12 15:49
확률 높은 오전타임 집중 공략~!!12일(금요일) 거제도 감성돔 선상낚시 청곡항 출발, "제일호" 철수 조황…
더보기
새창
(감성돔실시간)1명 4짜급 외 3짜 화끈한 손맛~제일호(14일 예약)
1
63
2025.09.12 09:53
청곡항 출발 제일호입니다. 한 분의 조사님을 모시고 진입한 내만권 포인트 확률 높은 오전 타임을 집중 공략하…
더보기
새창
(감성돔 실시간)1명 4짜급 외 3짜 화끈한 손맛~마릿수 시즌~제일호(14일 예약)
1
64
2025.09.12 09:50
오전 감성돔낚시 씨알급들 속출~!!12일(금요일) 거제도 감성돔 선상낚시 청곡항 출발, "제일호" 오전 조황…
더보기
새창
(참돔 부시리)다대포 HOT 포인트 와라락 입질 퍼레이드~용진호(10일 예약)
0
34
2025.09.09 16:02
수온 굿~물때굿~추석 제수고기 돌입~6일(토요일) 다대포 본동 출발, 형제섬,외섬 선상 "용진호" (철수) …
더보기
새창
(참돔 부시리)다대포 HOT 포인트 와라락 입질 퍼레이드~용진호(10일 예약)
0
195
2025.09.09 16:01
수온 굿~물때굿~추석 제수고기 돌입~6일(토요일) 다대포 본동 출발, 형제섬,외섬 선상 "용진호" (철수) …
더보기
새창
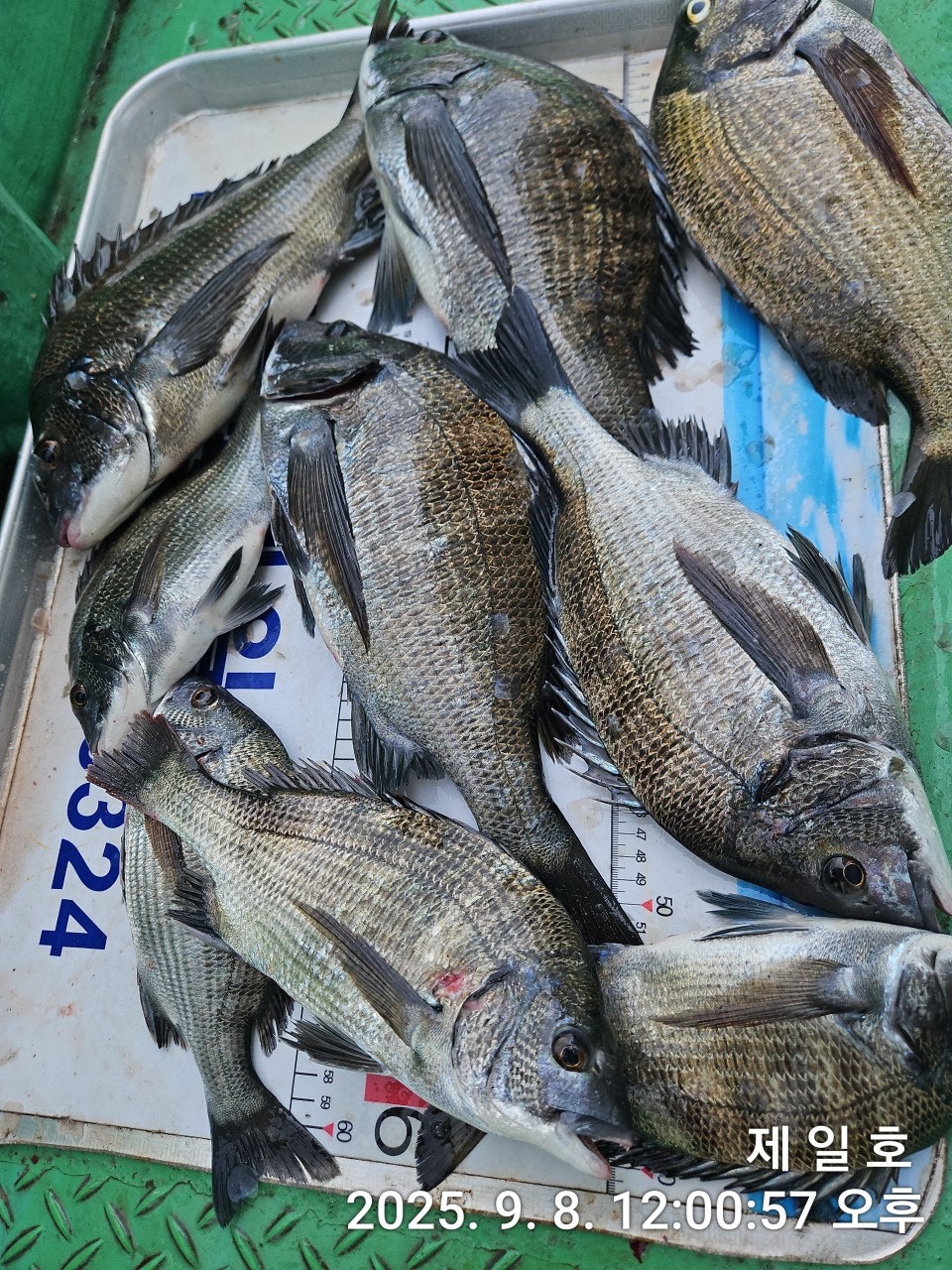
감성돔(오전 흘림) 굵은 4짜들외 소나기 입질~제일호(9일 오전예약)
1
51
2025.09.08 13:48
오전 감성돔낚시에 굵은놈들 본격 입질~8일(월요일) 거제도 감성돔 선상낚시 청곡항 출발, "제일호" 오전 조…
더보기
1
2
3
4
5