태그박스 > 인터넷바다낚시
인터넷바다낚시
어종별 조황
낚시인조황
점주선장조황
출조정보
낚시광장
낚시지식인
낚시교실
중고장터
휴게실
인낚몰
0
홈
어종별 조황
낚시인조황
점주선장조황
출조정보
낚시광장
낚시지식인
낚시교실
중고장터
휴게실
어종별 조황
낚시인조황
점주선장조황
출조정보
낚시광장
낚시지식인
낚시교실
중고장터
휴게실
어종별 조황
어종별 선상조황
4대돔 조황
먹물 조황
갈치 조황
락피쉬 라이트게임
빅게임 지깅&파핑
외줄&외수질
기타 어종
어종별 갯바위조황
4대돔 조황
먹물 조황
갈치 조황
락피쉬 라이트게임
라이트지깅
기타 어종
낚시인조황
낚시인 번개조황
낚시인 조행기
스탭 조행기
우리 낚시동호회이야기
전국 낚시동호회소개
동호회 갤러리
지난 조황자료보기
점주선장조황
전국 실시간 조황
선상(배)+좌대 조황
갯바위+방파제 조황
지난 조황자료보기
출조정보
낚시인 동행출조
점주선장 갯바위출조
점주선장 선상출조
기상파고정보(기상청)
해상예보
물때표
파고예보(일본)
실시간 해양관측예보
스마트 조석예보
낚시광장
낚시계 뉴스
대회 및 낚시관련 홍보
제품 평가단
신상품 소개
낚시지식인
Q&A 묻고 답하기
조황/포인트 문의
낚시용품 사용기
낚시투표
토론방
新어류도감
낚시교실
낚시기법 소개
어종별 낚시교실
입문자 교실
중급자 교실
낚시용어 사전
중고장터
중고장터 이용후기
더치트 사기피해 검색
팝니다
삽니다
교환합시다
무료로 드립니다
부품 팝니다
부품 삽니다
일반 생활용품 사고 팔기
휴게실
출석부
낚시갤러리
세상사는이야기(자유게시판)
낚시이야기 마당
먹고사는 이야기
구인구직
칭찬합니다
어찌이런일이
습득물 찾기
인낚몰
자료실
인낚 U튜브
인낚 칼럼
블루, 그것이 알고싶다
더블테일의 두 눈으로 보는 세상
입질의추억의 피싱다이어리
나無의 바다 이야기
전문강좌
海巖의 바다낚시 이야기
이성규의 전유동낚시 강좌
조성민의 금요루어클럽
검색
새창
(감성돔)대박 행진 끝은 어디~오늘도 퍼담았네요~거제대어1호(25일 예약)
1
54
2025.09.24 16:09
가을 감성돔 대박 행진의 끝은 어디~??24일(수요일) 거제 내만권 감성돔 흘림낚시 "거제대어1호" (철수)…
더보기
새창
(감성돔)대박 행진 끝은 어디~오늘도 퍼담았네요~거제대어1호(25일 예약)
1
162
2025.09.24 16:08
가을 감성돔 대박 행진의 끝은 어디~??24일(수요일) 거제 내만권 감성돔 흘림낚시 "거제대어1호" (철수)…
더보기
새창
(감성돔)깊은 수심 덩치급들 마릿수 대행진~거제대어6호(25일 예약)
1
56
2025.09.24 16:06
가을 감성돔 대박 행진의 끝은 어디~??24일(수요일) 거제 내만권 감성돔 흘림낚시 "거제대어6호" (철수)…
더보기
새창
(감성돔)깊은 수심 덩치급들 마릿수 대행진~거제대어6호(25일 예약)
1
103
2025.09.24 16:05
가을 감성돔 대박 행진의 끝은 어디~??24일(수요일) 거제 내만권 감성돔 흘림낚시 "거제대어6호" (철수)…
더보기
새창
(실시간)감성돔 100프로 손맛 마릿수 대박 행진~거제대어1호(25일 예약)
1
79
2025.09.24 10:02
거제대어1호 감성돔 흘림낚시 조황입니다. 몇 일 꾸준한 마릿수 대박 조황이 이어지고 있습니다. 가을 시즌 상…
더보기
새창
(실시간)감성돔 깊은 수심 중치급들 마릿수 손맛~거제대어6호(25일 예약)
1
80
2025.09.24 10:01
거제대어6호 감성돔 흘림낚시 조황입니다. 좀 더 큰 녀석들을 찾아 깊은 수심의 포인트로 진입 후 밑밥을 쌓았…
더보기
새창
(감성돔)초대박 쏟아집니다~오늘도 쫙 깔았네요 거제대어1호(24일 예약)
1
66
2025.09.23 15:32
연일 대박 행진~가을 감성돔 퍼 담네요~23일(화요일) 거제 내만권 감성돔 흘림낚시 "거제대어1호" (철수)…
더보기
새창
(감성돔)초대박 쏟아집니다~오늘도 쫙 깔았네요 거제대어1호(24일 예약)
1
185
2025.09.23 15:32
연일 대박 행진~가을 감성돔 퍼 담네요~23일(화요일) 거제 내만권 감성돔 흘림낚시 "거제대어1호" (철수)…
더보기
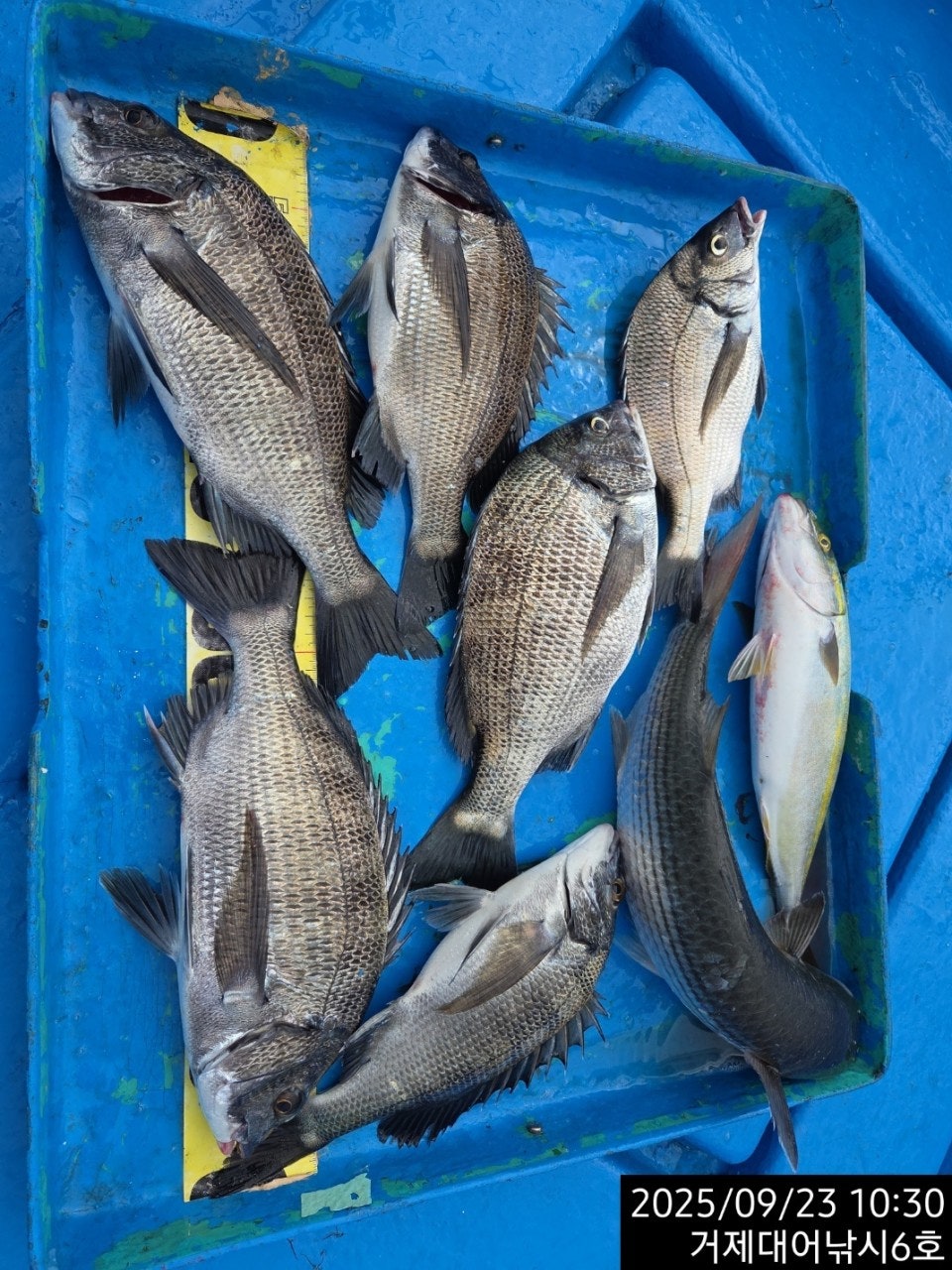
새창
(감성돔)1명 깊은 수심 4짜3짜 덩치들 마릿수~거제대어6호(24일 예약)
1
57
2025.09.23 15:31
23일(화요일) 거제 내만권 감성돔 흘림낚시 "거제대어6호" (철수)핫조황입니다.※ 감성돔 53Cm 참돔 6…
더보기
새창
(감성돔)1명 깊은 수심 4짜3짜 덩치들 마릿수~거제대어6호(24일 예약)
1
91
2025.09.23 15:31
23일(화요일) 거제 내만권 감성돔 흘림낚시 "거제대어6호" (철수)핫조황입니다.※ 감성돔 53Cm 참돔 6…
더보기
새창
(실시간)감성돔 구덩이~1타 1피 쪽 쪽 빠네요~거제대어1호(24일 예약)
1
105
2025.09.23 09:18
거제대어1호 감성돔 흘림낚시 조황입니다. 오늘도 제법 강한 바람이 불지만 조사님들 손맛 즐기시는데에는 큰 문…
더보기
새창
(실시간)감성돔 구덩이~1타 1피 쪽 쪽 빠네요~거제대어1호(24일 예약)
1
181
2025.09.23 09:16
연일 초대박 예감 감성돔 쏟아집니다~!!23일(화요일) 거제 내만권 감성돔 흘림낚시 "거제대어1호" (실시간…
더보기
새창
(숏츠)초초대박 감성돔 타작 1타1피 계속 뭅니다~거제대어1호(23일 예약)
0
248
2025.09.22 16:47
초초초대박~가을 감성돔 넘쳐납니다~!!22일(월요일) 거제 내만권 감성돔 흘림낚시 "거제대어1호" (철수)핫…
더보기
새창
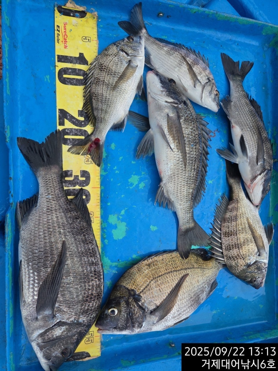
(감성돔)팅 팅 터지고 4짜 3짜 마릿수 핫조황~거제대어6호(23일 예약)
0
87
2025.09.22 16:46
씨알급 대물들이 설치네요~!!22일(월요일) 거제 내만권 감성돔 흘림낚시 "거제대어6호" (철수)핫조황입니다…
더보기
새창
(숏츠)초초대박 감성돔 타작 1타1피 계속 뭅니다~거제대어1호(23일 예약)
1
106
2025.09.22 15:45
초초초대박~가을 감성돔 넘쳐납니다~!!22일(월요일) 거제 내만권 감성돔 흘림낚시 "거제대어1호" (철수)핫…
더보기
새창
(숏츠)초초대박 감성돔 타작 1타1피 계속 뭅니다~거제대어1호(23일 예약)
1
117
2025.09.22 15:45
초초초대박~가을 감성돔 넘쳐납니다~!!22일(월요일) 거제 내만권 감성돔 흘림낚시 "거제대어1호" (철수)핫…
더보기
새창
(감성돔)팅 팅 터지고 4짜 3짜 마릿수 핫조황~거제대어6호(23일 예약)
1
62
2025.09.22 15:44
씨알급 대물들이 설치네요~!!22일(월요일) 거제 내만권 감성돔 흘림낚시 "거제대어6호" (철수)핫조황입니다…
더보기
새창
(감성돔)팅 팅 터지고 4짜 3짜 마릿수 핫조황~거제대어6호(23일 예약)
1
71
2025.09.22 15:43
씨알급 대물들이 설치네요~!!22일(월요일) 거제 내만권 감성돔 흘림낚시 "거제대어6호" (철수)핫조황입니다…
더보기
새창
(실시간)감성돔 1타 1피 오늘도 초대박 예감 거제대어1호(23일 예약)
1
148
2025.09.22 09:39
거제대어1호 감성돔 흘림낚시 조황입니다. 제법 강한 바람이 불어오지만 물 속 상당한 개체수의 감성돔 무리가 …
더보기
새창
(실시간)감성돔 강풍에도 4짜3짜 마릿수 진행중~거제대어6호(23일 예약)
1
112
2025.09.22 09:38
거제대어6호 감성돔 흘림낚시 조황입니다. 강한 바람에 포인트 선정에 제약이 많았지만 진입한 포인트에서 빠르게…
더보기
1
2
3
4
5