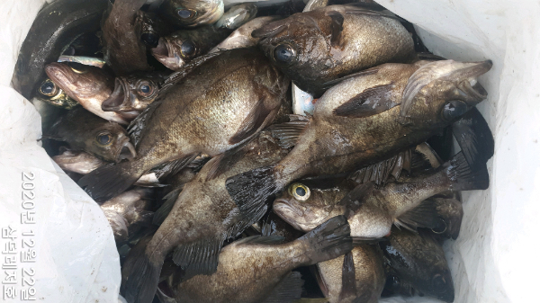
욕지권,밤볼락,조황(16시출항,08시철수가능)








반갑습니다,삼덕레저호 입니다,
코로나 -19
출조 시 사무실과 선박에 비치된 손소독제 꼭 사용하시고,
반드시 마스크 !! 착용하시기 바랍니다.
포인트 도착 시까지 선실 내에서
마스크를 내리고 대화하는 행위는 절대 삼가 주시고,
마스크 착용 /손 세정제 사용 등...
개인위생 관리 철저히 해주시기 바랍니다.
오늘도 강풍속 볼락 조황 입니다,
급격한 수온 하락 과, 계속되는 강한 서풍에
볼락들도 잔뜩 엎드려 있는것 같습니다,
이번물때,쎈 조류와 들,날물의 심한 차이로
고생들 하셨습니다,
욕지권,밤볼락 조황은 포인터,조사님 별로 차이가 나내요
요즘 갯바위감성돔은 ,잡고기 대처가 관건 이내요
아직 잡고기가 많습니다, 대체미끼(게.옥수수)
준비하시구요
중순 이후에나 본격적인 감성돔 낚시가 될뜻 합니다,
느긋하게 출조 하실분 모십니다,
정상 출조 합니다,
☞ 금요일 밤볼락출조와
토요일 밤볼락출조는
야영낚시(익일07~08시철수)도 가능합니다.
========= 삼덕레저 예약안내 ==========
■ 예약문의 : 010-4586-6960 / 010-2504-6961
■ 오시는길 : 경남 통영시 산양읍 원항1길 86
■ 네이버검색 : 삼덕레저호
■ 실시간 홈페이지 예약 : http://samdeok.sunsang24.com
■ 계좌안내 : 농협 / 813050-52-183319 / 허영욱









