남해 마안도 행운호 조황입니다 *^ㅇ^*
안녕하세요! 행운호 선장입니다 ^ㅡ^
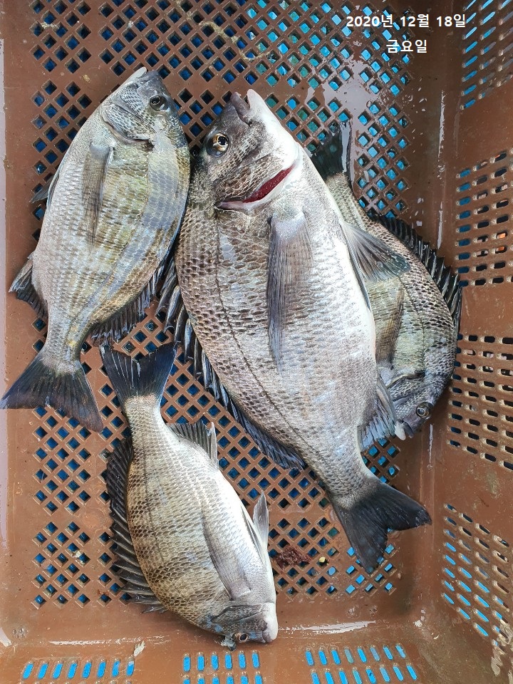
오늘은 감성돔을 낚아 오셨네요
☆★ 출항 시간, 철수 시간을 맞춰드리려고 노력하고 있지만
그렇게 되지 않는 경우가 종종 있습니다.
부득이하게 기다리셔야 하는 경우가 발생할 수 있습니다.
혹시 바다 상황이 많이 좋지 않고 너울이 심한 경우에는 안전이 우선이기에
원하시는 포인트에 내리지 못하시는 경우도 생길 수도 있습니다.
최대한 노력하겠습니다. 조사님들의 양해 부탁드립니다. ☆★
돌아 가시는 길 조심히 돌아가셔요 감사합니다~!
( 문의는 편안히 연락주세용 ~ )
※ 마스크 꼭 꼭 착용하셔야 합니당 ※
오늘은 감성돔을 낚아 오셨네요
☆★ 출항 시간, 철수 시간을 맞춰드리려고 노력하고 있지만
그렇게 되지 않는 경우가 종종 있습니다.
부득이하게 기다리셔야 하는 경우가 발생할 수 있습니다.
혹시 바다 상황이 많이 좋지 않고 너울이 심한 경우에는 안전이 우선이기에
원하시는 포인트에 내리지 못하시는 경우도 생길 수도 있습니다.
최대한 노력하겠습니다. 조사님들의 양해 부탁드립니다. ☆★
돌아 가시는 길 조심히 돌아가셔요 감사합니다~!
( 문의는 편안히 연락주세용 ~ )
※ 마스크 꼭 꼭 착용하셔야 합니당 ※

