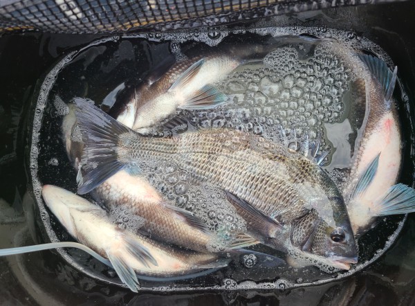
덕우도,황제도 덩치들 마릿수 배출.!! 레져아일랜드 장흥,완도 0 1300 0 2020.12.10 21:23 0 글쓴이 2 0 Lv.2 레져아일랜드 점주선장 10,414 (3.7%) 반갑습니다. 12.27 26일 덕우도,황제도 다녀 왔습니다. ^^ 12.23 덕우도,황제도 다녀 왔습니다.~~ 12.17 덕우도,황제도 다녀 왔습니다.~~ 12.14 주말,휴일 덕우도,황제도 다녀 왔습니다.!! 12.10 덕우도,황제도 덩치들 마릿수 배출.!!