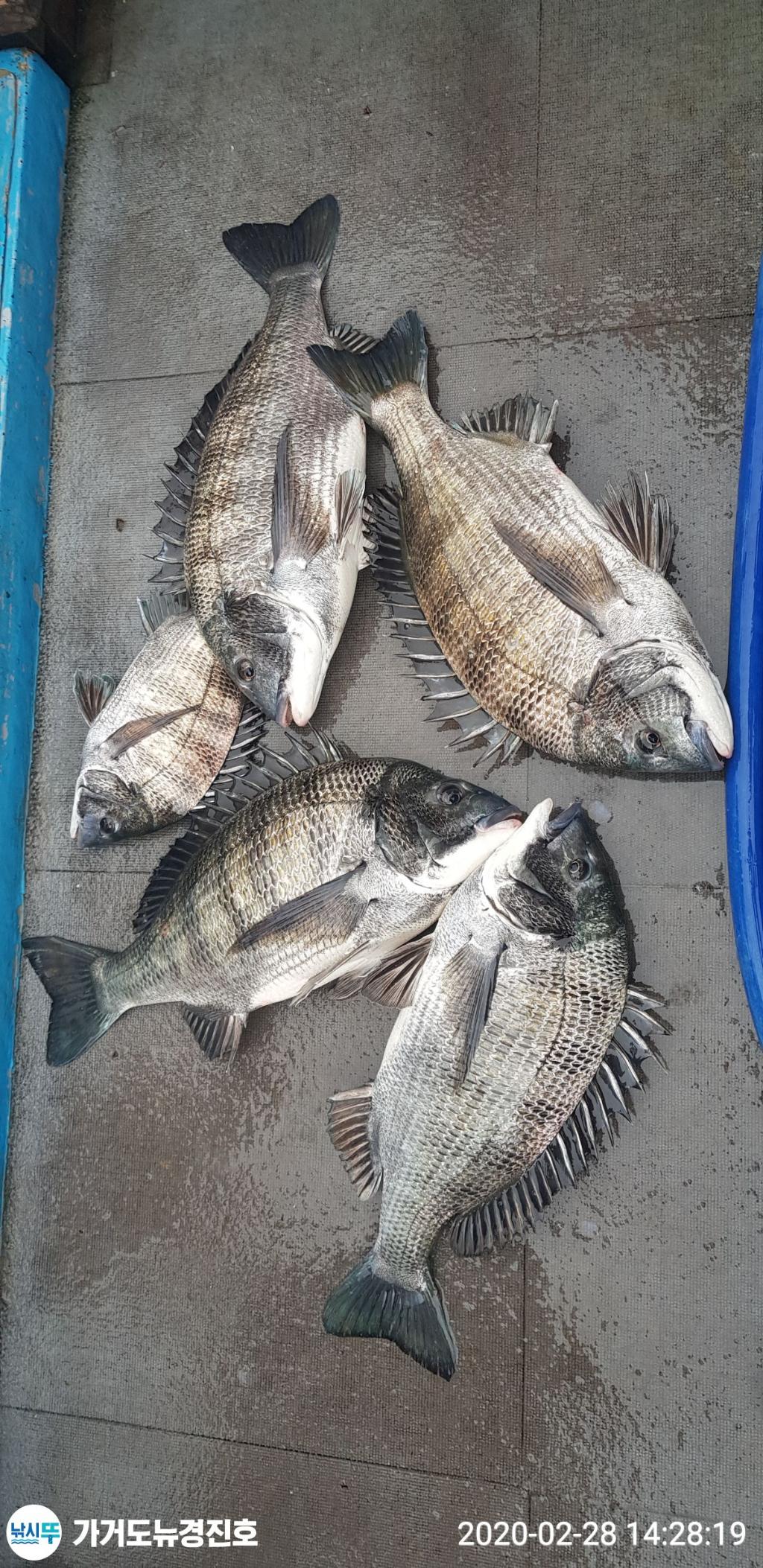
가거도 3구 감성돔 5짜 조황 입니다.

신상품 소개


회원 랭킹


공지사항


NaverBand
[점주/선장] 갯바위 조황 - 2020년
글 읽기만 가능합니다.

가거도 3구 감성돔 5짜 조황 입니다.

가거도경진낚시 0 680 0

당진에서 오신 허승범사장님 감성돔 5짜 조황 입니다.

가거도 뉴경진호 조황 소식입니다.

F0873684IF.jpg

F0873687GN.jpg

F08736881P.jpg

F0873685F5.jpg

F0873689ET.jpg

F0873683UW.jpg

가거도 뉴경진호 임선장 입니다.

연락처 : 010-4662-4534

 

가거도 갯바위 낚시 장르 

  감성돔,돌돔,농어,참돔

 

선상낚시

  갈치,우럭,열기,부시리 


홈페이지 예약 확인하기 ≫≫≫ Click


590
항구명가거도항
선박명가거도 뉴경진호
승객21명
출조해역가거도,가거초
100
임종재 선장

0 Comments
 
제목
 


인낚 최신글


인낚 최신댓글


온라인 문의 안내


월~금 : 9:00 ~ 18:00
토/일/공휴일 휴무
점심시간 : 12:00 ~ 13:00