((한사리))두미도-제3탄-씨알급 감성돔들!&대부시리가 난리부루스!(새벽05시&08시&11시출항)

신상품 소개


회원 랭킹


공지사항


NaverBand
[점주/선장] 갯바위 조황 - 2020년
글 읽기만 가능합니다.

((한사리))두미도-제3탄-씨알급 감성돔들!&대부시리가 난리부루스!(새벽05시&08시&11시출항)

한사리피싱 0 2038 0
top01.png

삼천포

한사리피싱

top02.png
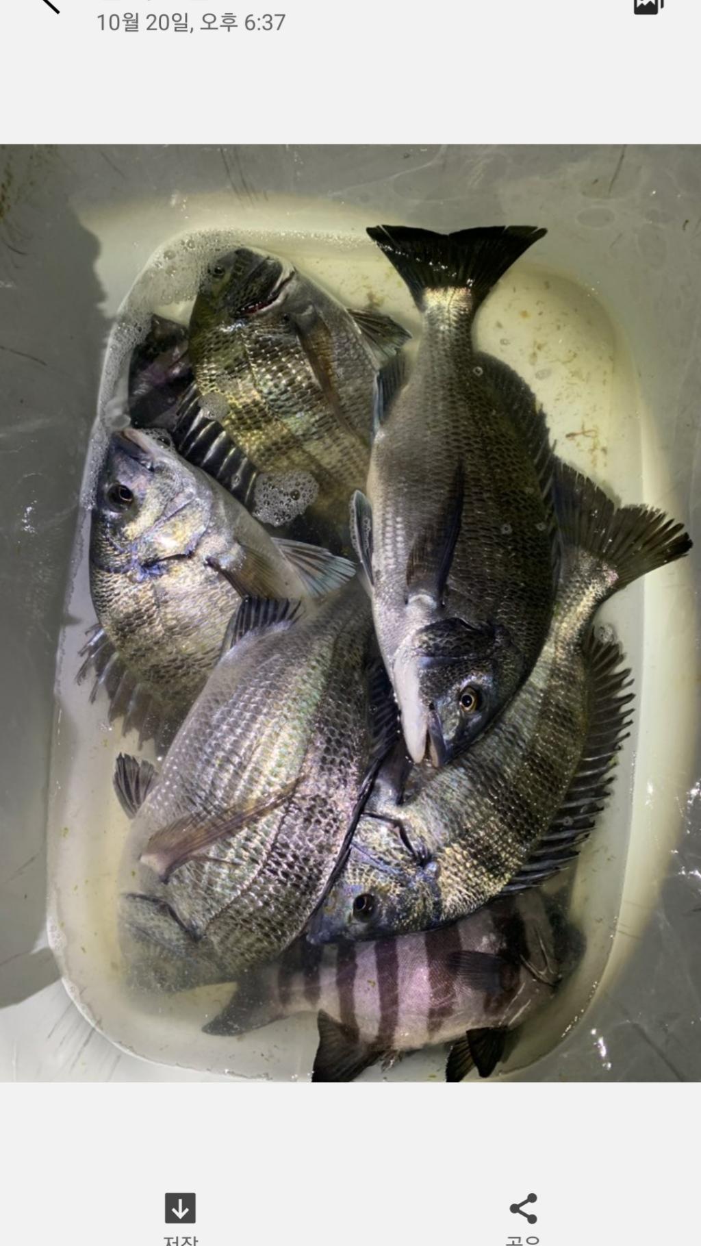
오늘도 두미도감성돔들 좋습니다.
오늘은 대부시리가 두미도전역에 붙어
한낮에 포인트마다 출조객님들께 찐한 손맛을전해주었고
좋은시간에는 여지없이 감성돔입질세레에
혼줄나고 포획하고!
· 출조일시2020-10-20(화)
· 출조인원14명
· 어종감성돔

삼천포 /한/사/리/피/싱

한사리피싱은 안전을 최우선으로 오늘도 열심히 달립니다.
한사리피싱1호선,2호선,3호선단까지 15톤급선박과 화장실은기본!!
문의전화 : 선장 손영민 010-2025-1333
문의전화 : 선장 정경수 010-9341-8119

 
F11123446M.jpg


F11123451R.jpg


F111234638.jpg


F111234755.jpg


F1112348QR.jpg


F111234941.jpg


F111235099.jpg


F1112351UA.jpg


F1112352BK.jpg


F1112353C4.jpg

                                                                       # 전국의 인낚회원님 # 

갈도.욕지권,두미도,사량도,추도,나무여,수우도.삼천포내만으로 출조합니다 
당일낚시,선상낚시,밤갈치출조,밤볼락출조(루어),무늬오징어등 예약가능 합니다... 
매일새벽/오전/오후출조 (유동적)입니다... 

☎예약,조황문의:(한사리피싱 선장:손영민)010-2025-1333 
                             (한사리피싱 선장:정경수)010-9341-8119 

### 두미도ㅡ욕지권전역ㅡ갈도등 & 대물참돔 대물감성돔시즌입니다 ### 

@@@ 평일/주말출항 시간편성표 @@@   

   

***시즌별 출항 시간표***  


 ( 기상예보 오보에따라! 출항시간.출조지 계획이 달라질수있습니다) 


새벽출항ㅡ오전출항ㅡ오후야영출항ㅡ주말은 전날밤출항
(예약문의등 & 출항시간 엄수합니다!!!) 

p/s 1 매일출항시간~철수시간 
물때와기상에따라 달라질수있습니다... 

2 밑밥은 저렴한곳에서 준비해오세요!! 
남해동부권 밑밥비중은~ 
최대한 파우더와곡물양이 많을수록 좋아요!! 

@@@ 선장통화연결 불발시! = 문자남겨주세요^^ @@@ 
@@@ 현재 두미도&욕지권전역&갈도 평일출조 새벽&낮&오후 매일출항목표 @@@ 

((( 저희본점으로 출항30분전에 꼭! 도착해주시면 감사하겠습니다!!!))) 

[ 한사리1호/2호/3호 세선단이 갯바위&선상 두가지장르 가능합니다!!! ] 
[ 최고의 포인트선정에 출항시간 매일 유동적입니다..꼭확인하세요!!! ] 
[ 선장은~포인트선정에 목숨걸고!! 조사님들은 선장믿고 낚시에 집중!집중!!! ] 
~~~~~~~~~~~~~~~~~~~~~~~~~~~~~~~~~~~~~~~~~~~~~~~~~~~~~ 
*** 두미권 25분주파,욕지권35분주파,갈도45분주파 *** 
*** 저희 한사리피싱은 기동성&안전을 최대한방영해 열심히 달려보겟습니다 *** 
*** 조황내용 *** 

코로나19로 마스크필수이며.선박 손세정제배치. 

 

오늘도 두미도 감성돔조황입니다

장원이 5마리포획!

또다른 포인트에서 2-3번식 

터짐이 이었고! 또.3마리 1마리 포획하신 팀도있었네요...

씨알도 하루가다르게 크고있고.마릿수도 좋으네요.

오늘은 몇몇포인트에서

대 부시리가 붙어 여러번 터져나가고

난리부르스였답니다ㅎ

부시리빠지고 바로 감성돔입질로 이어졌답니다...

여름어종 뺀찌.벵에돔은 여전히 마릿수가 가능합니다..

 

 본격적인 가을시즌 덩치급 감성돔들로 물갈이할듯합니다...

여름어종 돌돔(뺀찌).벵에돔들은 11월초까지는 고른조황을 보일것이며.

낮에는 여름어종!

해뜰때.물돌이시간.해질녁은 

여지없이.감성돔입질이 이어질것입니다...

좋은시간.타임은 긴장을 늦춰선 안되겠습니다...

   

이제! 가을감성돔의 시즌입니다 

당연! 낮에는 돌돔(뺀찌)&벵에돔등  

여름어종들 공략하시고! 

아침 해뜰때 & 하루중 물돌이시간 & 오후 해질때! 

이제! 두미도 종일낚시 시즌이왔습니다!! 

준비들 해보세요! 

 

 @@@두미도 완전종일낚시출조@@@

새벽05시출조ㅡ오후6시20분경철수

  

@@@이제! 본격적으로 두미도 가을감성돔시즌출항 시간표@@@ 

(평일&주말 출조시간) 

새벽02-3시출항 

아침08-9시출항 

아침10-11시출항 

  

1항차철수 낮12-1시경 

2항차철수 오후3-4시경

3항차철수 오후6시20분경 

오후1-2시경 (당일&야영출조)당일출조.철수시간은 기상이나.상황에따라 변동될수 있습니다

저희 한사리피싱은 기상악화시 무리하게 출조하지 않습니다.

기상악화로 출조취소시 100% 선비 환불합니다.

기상만 좋으면 매일 출항합니다. 

 

예약필수

문의전화 : 선장 손영민 010-2025-1333 

문의전화 : 선장 정경수 010-9341-8119
 

네비 주소

경남 사천시 향촌동 685-2번지(신향1길 35)

 

한사리피싱 최근 조황 보기?

네비주소 :경남 사천시 향촌동 685-2번지(신향1길 35)

예약문의

010-2025-1333

수협

2020-4319-0097

100

삼천포

한사리피싱

590
항구명 삼천포 신향마을
승선인원 20명
출조점명 한사리피싱
배 타는 곳신향마을 앞 우측선착장
홈페이지 바로가기 Click
낚시뚜

0 Comments
 
제목
 


인낚 최신글


인낚 최신댓글


온라인 문의 안내


월~금 : 9:00 ~ 18:00
토/일/공휴일 휴무
점심시간 : 12:00 ~ 13:00