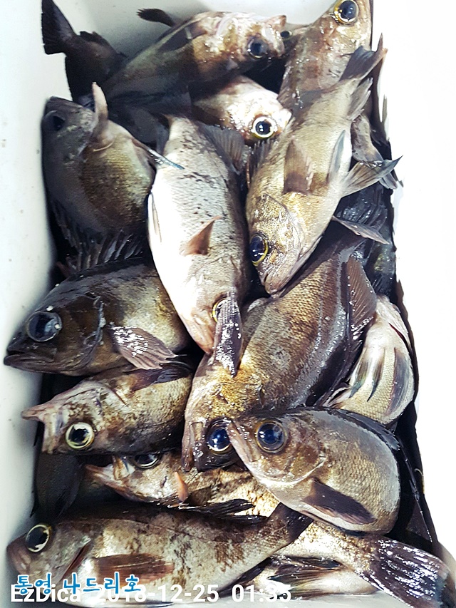
좌사리,밤뽈,굵은놈섞어서 쿨러만땅들...
몇 몇 조사님들 모시고,
좌사리도로 직항,밤볼락출조 다녀왔습니다.
초반에 몇 몇 포인트에서 약간 고전했지만,
포인트이동후,
밝은 달빛과는 전혀 무관하게
짭짤하게 재미를 볼수가 있엇습니다.
굵은놈들도
제법 많이 섞여서 나오는 가운데,,
마릿수는 여전히 양호하고,
대부분의 조사님들이
쿨러를 가득 채울수가 있엇습니다.
성탄절인 오늘도
오후4시에
좌사리권으로 밤볼락을 대상어로 직항출조합니다.
같이 출조하실 조사님들은 언제든지 전화문의 바랍니다.
통영나드리호엿습니다.......(__)
▶ 출조지 : 좌사리, 우도, 연화도
내.외초도, 욕지도 본섬
▶ 출조 시간 : 매일 16시
▶포인트 이동 시간 : 21시~22시쯤
▶ 철수 시간 : 01시
※ 토요일엔 16시와 21시에
밤볼락 출조 가능하고,
철수 시간도 01시와 06시~07시
두번 있으니 편하신 시간대로 고르시면 됩니다.
▶ 매일 : 05시30분, 09시,16시.
※ 위 출조시간은
기상 상황이나 출조인원에 따라서
다소 유동적이니
출조 전
반드시 선장에게 전화문의 바랍니다.
★ 특히,토요일과 일요일엔
감성돔과 참돔을 대상어로
추위를 피하여
09시에 출항하는 종일낚시 시간을 이용하시면
여러모로 편리합니다.
( 철수 시간은 17시 ~ 17시30분입니다. )
※ 평일출조시
야영 및 당일낚시는 13시~14시에
종일낚시는 17시30분에 철수합니다.
▶ 출조지 : 좌사리, 연화도, 내.외초도, 욕지도 본섬 전역
▶ 대상어 : 참돔, 감성돔, 밤볼락...
※ 철수시간은 선장과 협의후
가능한 한 조사님들이 원하시는 시간에 맞춰드리겠습니다.



















