청산도! 감성돔 던지면나옵니다!감성돔 마릿수 조황!
안녕하세요
완도권 갯바위 전문출조 완도국제낚시입니다
오랜만에 청산도권 다녀왔습니다
눈발이 날리고 기온이 굉장히 춥더군요..
완전히 겨울낚시가 되었습니다
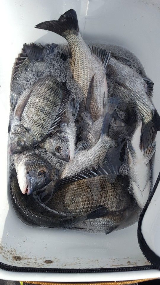
그속에서도 맬바다피싱회원님 13수 장원하셨네요
그외에 10수 11수 12수 2~5수등등 크고작은 손맛보셨습니다
4짜가 여러수 나오더군요..^^
눈발과 바람속에 수고하셨습니다~
요새 새벽기온이 차갑습니다 옷 따뜻하게 입으시고 오세요^^
내일도 감성돔 소굴 청산도권으로 출항합니다^^
* 바이킹호 : 청산도,대모도 매일출조!!
* 등대호 : 대모도 매일출조!!
배두척으로 운행합니다^^
매일 매일 대모도권,청산도권 출조합니다
빠른연락바랍니다^^
● [ 정기 출조 낚시 ] ●
* 대모도 청산도 당일낚시 출조 *
새벽 02시 출항 ~
새벽 04시 출항 ~
새벽 06시 출항~
주말에는 여유있게 시간대가 있습니다^^
● [ 간_편한 오후낚시 ] ●
* 오전 9시 출항 ~ 오후 5시 철수 *
먼길오시느라 피곤을 덜기위해
[간_편한 오후 낚시] 출조를 추천해드립니다
1. 오후낚시는 낚시를 최고로 집중할수 있는 5~6시간 대 낚시입니다.
2. 푹~ 주무시고 출발하셔도 되니 피곤하지 않고
여유로운 낚시를 즐기실수 있습니다.
3. 낚시가 끝난후에 인근식당, 뒷풀이 회식하시기에도
좋은 시간대입니다.
● 내만권 갯바위 낚시 ●
출조비 : 3만원
출조지 : 완도관내 . 북여 . 신지등대
내만권 . 개머리. 큰개머리일대
◆ 갯바위전문출조 완도국제낚시 ◆
http://blog.naver.com/anstlr12005
바이킹 1호 : 매일 청산도권 갯바위 전문 출조
베테랑피싱 : 매일 대모도권 갯바위 전문 출조
※ 출조문의 ※ 0 1 0 - 3 6 0 7 - 6 4 5 7


























