수요일 소안도 감성돔 달아올랐네요^^

신상품 소개


회원 랭킹


공지사항


NaverBand
[점주/선장] 갯바위 조황 - 2018년
글 읽기만 가능합니다.

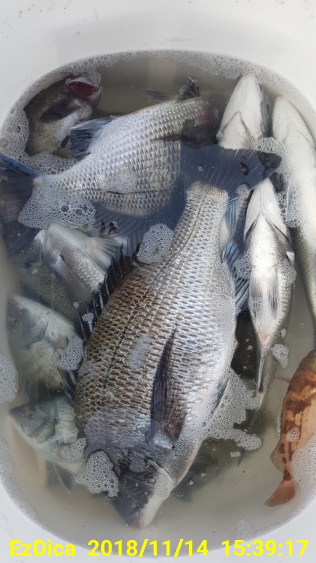
수요일 소안도 감성돔 달아올랐네요^^

광주낚시가는날 2 779 0
1542280060855.jpg 1542280065158.jpg 1542280063133.jpg 1542280063979.jpg 1542280062350.jpg 1542280061618.jpg 1542280059857.jpg평일 몇분에 조사님들을 모시고 소안도
갯바위 다녀왔네요.
며칠전만해도 다소 씨알이 부족했으나 오늘은
포인트마다 굶어진 감성돔얼굴을 볼수있어서
앞으로 기대해 볼만하네요.
소안도.당사도 앞으로 뜨거울 전망이네요^^
평일에도 손님들이 많네요.
출조하실분은 미리미리 예약 하심이~~~
오늘함께 해 주신 조사님들 수고많으셨네요.1539521545063.jpg

2 Comments
미스타스텔론 2018.11.16 10:21  
입동이 지나니 덩치들이 서서히 움직이기 시작하였군요 비가 오니 삿갓여, 금강산, 끝바리, 싸움여 굼함바위, 소진여,이섬 등이 그리워집니다. 장기휴가 1주일 소안도에 푹 담그고 싶기도 하고 ㅎㅎㅎ
광주낚시가는날 2018.11.16 16:07  
안그래도 이번주말은 그쪽방향으로 가야할듯 합니다 ^^ 좋은글 감사합니다. 감기조심하셔요~~~
 
제목
 


인낚 최신글


인낚 최신댓글


온라인 문의 안내


월~금 : 9:00 ~ 18:00
토/일/공휴일 휴무
점심시간 : 12:00 ~ 13:00