욕지도밤볼락,30cm왕볼락을 비롯하여...
일요일 오후 느즈막히,
몇 몇 조사님들 모시고,
욕지도권으로 밤볼락출조다녀왔습니다.
어제의 실패를 교훈삼아
오늘은 욕지도본섬의 모처로 다녀왓습니다.
밤바다는 여전히 차가운 공기가
얼굴을 할퀴고 있엇지만,
조사님들의 밤뽈열정을 막지는 못햇습니다.
북풍이 지속적으로 불고있는지라,
북풍의 영향이 최대한 덜 타고,
쿨러 채울수있는 포인트를 선정하느라
하선하는데에만
시간이 제법 소요된듯합니다.
하선시간이 다소 소요되더라도,
그래도 어제처럼 처참한 조황보다는 낫지싶어서.........
이리갔다가 저리갔다가.......
그게 훨씬 효과적이네요,
중간시간에 포인트이동도 안해도되고예.......^^*
오늘은 그래도 부지런히 돌아다닌 보람이 있엇는지,
전체적인 조황이 괜찮아보입니다.
30cm넘는놈도 보이고,
굵직굵직한놈들이 제법 보입니다.
오늘도 오후4시에
욕지도본섬의 그곳으로
밤볼락을 대상어로 정상출조합니다.
같이하실 조사님들은 언제든지 전화문의 바랍니다.
통영나드리호엿습니다......(__)
■ 밤볼락 출조 시간 안내 ■
▶ 출조 시간...매일 16시
▶포인트 이동시간...21시쯤.
▶ 철수 시간...01시,
▶ 출조지...욕지도 부속섬 일대
▶ 토요일엔 16시와 21시에
밤볼락 출조 가능하고,
철수시간도 01시와 06시~07시에 두번 철수합니다.
■ 감성돔,참돔...출조시간 ■
▶ 월~금요일...05시30분, 09시,
16시
▶ 위 출조시간은
기상상황이나 출조인원에 따라서 유동적이니
출조전 반드시 선장에게 전화문의 바랍니다.
※ 평일출조시,
야영 및 당일낚시는 13시~14시에
종일낚시는 17시30분에 철수합니다.
▶ 출조지 : 좌사리, 연화도, 내.외초도, 욕지도 본섬 전역
▶ 대상어 : 참돔, 감성돔, 밤볼락...
※ 철수시간은 선장과 협의후
가능한 한 조사님들이 원하시는 시간에 맞춰드리겠습니다.
아쉬운대로 이거라도 켜서 추위를 녹여봅니다.
포인트 이동후
한그릇 처묵해보까 궁리중입니다.
햇반2개에
김서방 고생한다고
여수에서 장모님이 보내온 갓김치,
서호시장표 멸치젓갈,
역시 서호시장표 마른멸치,
게장수 여동생이
포항에서 보내온 김장배추김치,
마트표 고추장에, 순두부에,돌김에......
뜨뜻한 국물도 마실려고 시락국도 준비햇지만,
닊싯배선장들의 주특기인,
귀차니즘이 발생해서......
보기는 초간단식단이지만,
그래도 이리저리 차리다보면
제법 알짜베기 식단이 펼쳐집니다...ㅋㅋ
허거덩......
대체 이게 밤볼락 맞습니까,
괴물입니다.
진짜 대물입니다.
나드리선장 왈...25~6cm쯤 되겠네요...
조사님 왈...재어보니까, 딱 30cm든데요...
축하드립니다.
말이 30cm급 볼락이지,
실제로 한 마리 잡아본다는게............
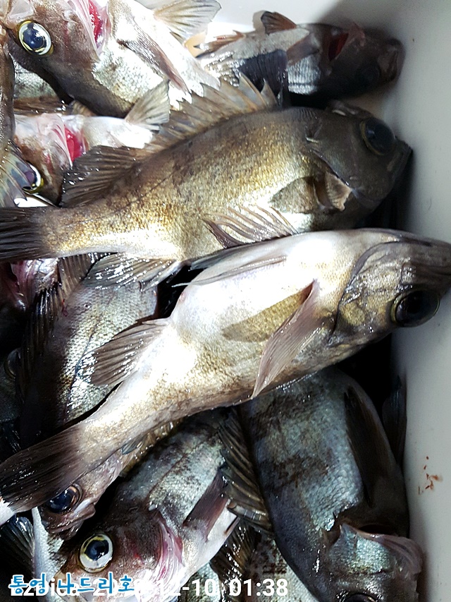
옆으로 30cm비슷한놈들도 제법 보입니다.
여기도 굵은놈들이 더러 보이고...
자세히 보니까,
초롱초롱한 눈깔이, 눈망울이 보기에도 참 좋고,
탐이 절로나고
군침이........쩝
빳빳한 지느러미 치켜세운거 함 보이소 ~~
때깔이 참 좋습니다.
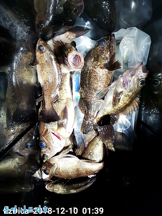
씨알도 고만고만하고예.......
두어마리는 말 그대로 신발짝들입니다.
좀 부진한 쿨러입니다.
여기도 쫌 부진합니다.
그래도 재미있게 놀다가신다고......
담 주말에 다시 도전하신답니다.
예사롭지않은 추위에
수고 많으셧습니다.
고만고만한 씨알들이 제법 쿨러를 채우고 있습니다.
이 정도의 조황이면 추위에 출조한 보람이 있어보입니다.
가지메기까지 한 마리 덤으로......
30cm급 왕볼락 잡으신 조사님이랑 같이 하션하셧는데,
이 쿨러에는 보이질 않네요.
추위에 수고 많으셧습니다.
상당합니다.
쿨러 뚜껑이 안열려서.........ㅠ.ㅠ
이 외에도 열어보지 못한 쿨러도
두어개 남아있엇습니다.
늦은시간까지 모두들 수고 많으셧습니다.
추위 풀리고 바람없는날에
또 놀러오십시요.....(__)


























