진조호]마릿수 감성돔(낼09시 종일낚시)
어려운경기에 조금이라도 도움되고자
패키지 실시합니다.
크릴5장 파우더2장 압맥2장 백크릴1장 생수
밑밥통에 담아드리니
참고하시기바랍니다.
선비포함 6만원입니다.(좌사리도는 5천원 추가 입니다.)
미리 말씀해주셔야 녹혀서 쓰기좋게
담아드리니 전화예약시 꼭 말씀부탁드립니다.
+++++++++++++++++++++++++++++++++
[ 출조안내 ]
토요일=09시 출항합니다.
종일,야영 가능합니다.
탑승전 신분증 검사 필히 하오니
신분증 지참하시기 바랍니다.
출조전 꼭 전화문의 바랍니다.
+++++++++++++++++++++++++++++++++++++
통영삼덕항에 위치한 진조낚시,진조호 입니다.
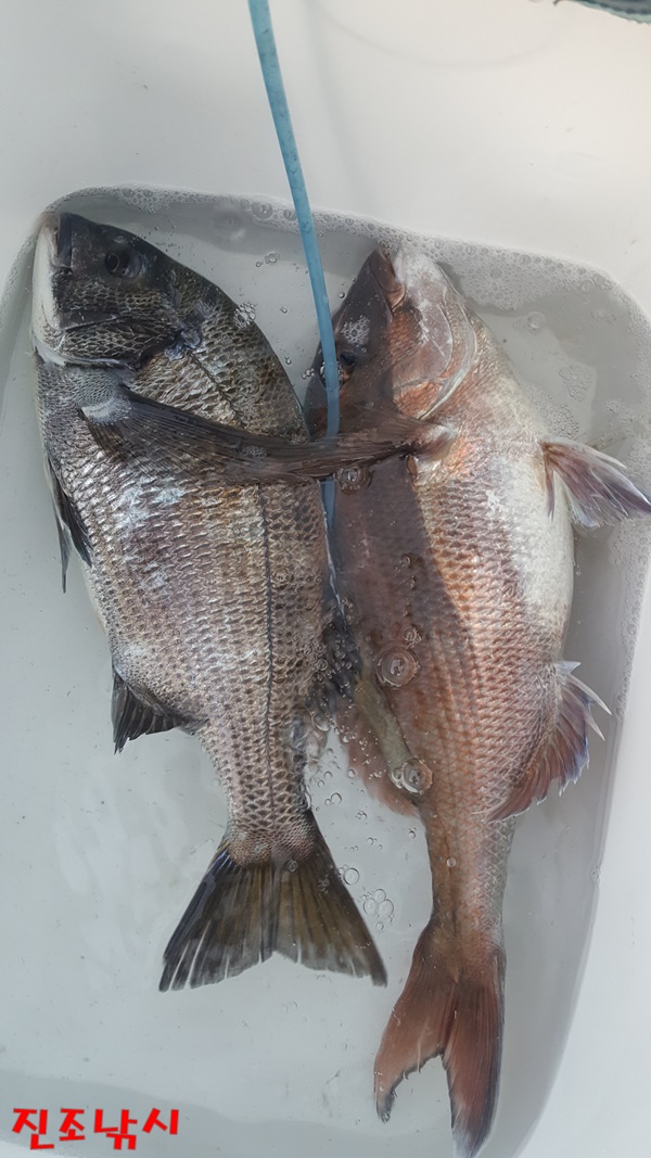
12월22일 감성돔 조황입니다.
몇마리? 보입니다.
잡어땜시 낚시가 쉽지만은 않습니다.
대체미끼는 필수이며
여밭,깊은데 어디서 물지 모르는상황이며
아침에 안물면 오후에 물고...
가마이 보니까 포인트 이동안하고 기다리면 한번은
애댕깁니더.
안문다고 조급하게 생각치 마시고
느긋하게 쪼아보심이 좋을듯 합니다.
내일까지는 기상이 양호하게 나오며
일요일 오후부터는 집에 계시는기 돌아이 안되는거
같습니더.
내일도 댕기와서 조황보고 드리겠습니다.
신분증검사 빡시게하니
신분증없으면 탑승이 불가하니 꼭 챙겨오시기
바랍니다.
















날씨만 괜찮으면인원에 상관없이
열심히 댕기도록 하겠습니다.
조황이 안올라가도 큰비바람 아니면
항상 출조하도록 하오니
참고하시기 바랍니다.
감사합니다.
[ 출조문의 ]
선장 :010-7663-2233
연락주시면 됩니다.
밑밥,미끼류 구비되어 있으며
밑밥통 대여해 드립니다.
철수후 고기 담아가실때 얼음은 무료이니
챙겨가시면 됩니다.
주소=통영시 산양읍 산양일주로 1565-1






