진조호]56,43,42,41,40,40등등(출조안내)
+++++++++++++++++++++++++++++++++
[ 출조안내 ]
토요일=05시,09시,14시
일요일은 날씨가 안좋을것으로 판단되어
유동적이니
출조전 꼭 전화문의 바랍니다.
+++++++++++++++++++++++++++++++++++++
통영삼덕항에 위치한 진조낚시,진조호 입니다.
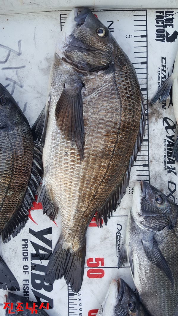
12월7일 감성돔 조황입니다.
곳곳에서 물고 터지고 빠지고 잡고
간만에 씨알좋은놈도 보였습니다.
크릴,옥수수 상관없이 물어주었으며 며칠내려간
수온이 아마도 자리를 잡지 않았나 하는 생각이 듭니다.
토요일은 그럭 괜찮아 보이나
일요일은 아마도 일찍이 풍랑주의보가 예상되니
기상예보에 주시하면서 출조계획 잡으시기 바랍니다.
다들 고생많으셨습니다.








날씨만 괜찮으면인원에 상관없이
열심히 댕기도록 하겠습니다.
조황이 안올라가도 큰비바람 아니면
항상 출조하도록 하오니
참고하시기 바랍니다.
감사합니다.
[ 출조문의 ]
선장 :010-7663-2233
연락주시면 됩니다.
밑밥,미끼류 구비되어 있으며
밑밥통 대여해 드립니다.
철수후 고기 담아가실때 얼음은 무료이니
챙겨가시면 됩니다.
주소=통영시 산양읍 산양일주로 1565-1


