만재 당일 조황
4분 모시고 만재 다녀왔습니다




요즘 서해남부 원도권인 가거,태도,만재도는 엄청난 감성돔 조황을 보여 주고 있습니다
저희는 상대적으로 한가한 만재를 선택 했습니다
다만 첫날 오후에 떨어지 예비 특보로 인해 본의아니게 당일 출조만 하고 철수 했습니다
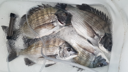
그래도 감성돔은 잘 나옵니다
모든 포인트 아니 그냥 아무곳에 내려도 감성돔이 나올 정도로 대단한
조황을 보입니다
저희는 5짜 이상을 못 잡았지만 민박의 다른 손님들은 5짜를 구경하셨더군요

얼마나 잘 먹었는지 황금빛에 때깔 좋은 감성돔 입니다

포인트당 6~8마리는 쉽게 나올정도로 감성돔이 많이 입성했습니다
이시기 만재도및 가거,태도는 기본 원줄이 3,5호 입니다 생소 하시겠지만
이곳의 최종 목표는 6짜이기 때문에 정말 튼튼하게 써야 합니다
또한 빠른 뒷처리를 하기 위해서 이기도 합니다


또한 철저히 여밭이나 갯바위 가장자리를 노려야 합니다
아직 이곳의 바다는 늦가을이라 먹이 활동이 왕성합니다
이렇게 도망 나오듯 나오니 많이들 아쉬워 하십니다
그래도 안전이 제일 이겠죠
이런 아쉬움 때문에 이번주 목)저녁 다시 만재로 1박2일 출조합니다
날씨는 현재 예보상 최상의 날씨를 보여 주고 있습니다
늦은 철수에 고생들 하셨습니다
울산난바다 010 9493 9675
이후 출조안내
* 12월21일(목)저녁 만재 1박2일 출조합니다






