욕지,안장덕,좌사리]감성돔44,참돔,벤찌마릿수(새벽2시,오후1시야영출항합니다.)
@좌사리,욕지권,준 내만,내만출조전문@
1년연중 기상만 허락하면 매일 좌사리 출항을 하는통영탑피싱입니다.
동절기 대상어종: 대물참돔,감성돔,뽈락
하절기 대상어종: 돌돔,참돔,벵에돔,농어,부시리
탑은 좌사리를 기점으로 하여 여름좌사리,겨울내만부터~욕지권전역.
★★★ 출항 시간표 ★★★
1.매일밤 :11시 출항
2.아침9시: 종일낚시,야영낚시
3.낮12시:야영및 종일낚시
4.오후4시:야영낚시
(철수:8시,11시,오후1시,저녁5시)
1.신분증 필히 챙겨오세요.미소지시 승선불가
2.구명복 필히 착용하세요.미착시 과태료100만
3.선내음주금지-적발시 벌금 100만원
(아침9시출항 오후5시철수)
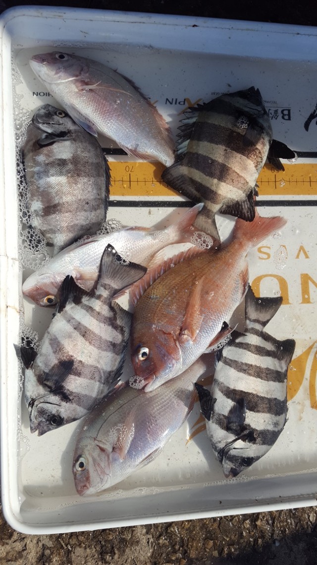
욕지권 감성돔부터 안장덕,좌사리까지 두루두루~~
반갑습니다. 백곰 박철민입니다.
조사님들을 모시고 욕지,안장덕,좌사리 다녀왔습니다.
1항차 5분 철수조황과 어제 야영하신
조사님들의 톡 보내주신 사진 몇장 올립니다.
출조하신 조사님들 수고 많으셨습니다.
탑은 계속해서 욕지,안장덕,좌사리로 출항합니다.
많은 조사님들의 문의 전화 바랍니다.
항상 최선을 다하는 탑이 되겠습니다.
2항차 철수조황은 나중에 올리도록 하겠습니다.
***출조문의***
010-4544-1141(선장),010-9311-5220
***통영탑피싱 위치안내****
통영시 산양읍 연명길 40번지
감성돔 44cm
김해 조사님팀 조과~
이조사님 조과~~
박 조사님 조과~~
야영팀에서~~
사모님이 잡으시고, 싸장님께서 뜰채질을 하셨답니다.
야영에서~~
야영에서~~
야영에서~~
뽈래기도 보이고~
야영에서~~















