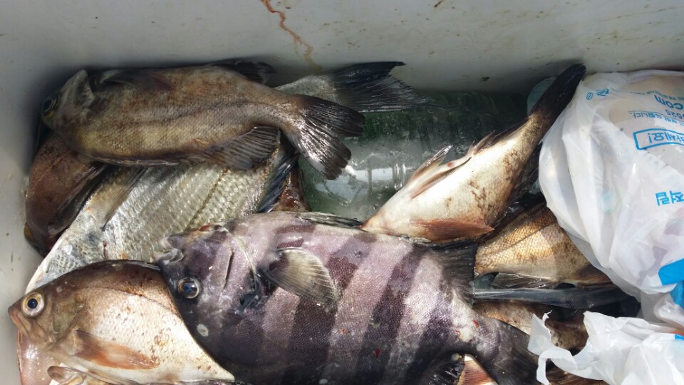
청산도조황
해남인성프로피싱
2014.08.23 토요일
청산도 출조를 다녀 왔습니다
여러 종류의 여름고기들이 모습을 보이내요
다양한 손맛을 볼수 있습니다.
수고하여 주신 조사님께 감사네 말씀 드리면서
더 노력하는 모습 보이겠습니다
안녕하세요
해남 인성 프로피싱 입니다
갯바위 선상 부시리 민어등 출조를 가고자 합니다
출조는 멀리에서 안하고 가까운 해남이나 완도에서 하오니
그점 유의하시고
전화 주세요
정성것 모시겠습니다.
출 조 일 : 매일출조(전화문의)
출조시간 : 전날 전화문의 (김성현) 010-8921-6424
단체예약 : 2~3일전 전화문의
준 비 물 : 감섬돔 참돔 벵어돔 돌돔 부시리 민어 채비
예약문의 : 해남인성프로피싱 (해남군.읍 평남리 181-1번지 )
해남인성프로피싱 T 061-536-0991
P 010-8921-6424
점 주 : 김 성 현
카페주소 : http://cafe.daum.net/dlstjd0991
갯바위 낚시
추자 청산 여서 해남권 출조 안내
미끼, 채비, 도시락은 별도입니다.
채비안내
낙시대 : 0호대 부터 ~3호대 이상 원투 가능한대.
릴 : 2000~8000번
원 줄 : 1~6호
목 줄 : 1~6호
선상낚시
여서도 청산 해남권
미끼 채비 시락은 별도입니다.
채비안내
낙시대 : 3호대 부터 ~8호대 이상 원투 가능한대.
릴 : 5000~30000번
원 줄 : 5~20호
목 줄 : 5~20호
해남 민어 출조 안내
미끼, 채비, 도시락은 별도입니다.
미끼 해남인성프로피싱
2014.08.23 토요일
청산도 출조를 다녀 왔습니다
여러 종류의 여름고기들이 모습을 보이내요
다양한 손맛을 볼수 있습니다.
수고하여 주신 조사님께 감사네 말씀 드리면서
더 노력하는 모습 보이겠습니다
안녕하세요
해남 인성 프로피싱 입니다
갯바위 선상 부시리 민어등 출조를 가고자 합니다
출조는 멀리에서 안하고 가까운 해남이나 완도에서 하오니
그점 유의하시고
전화 주세요
정성것 모시겠습니다.
출 조 일 : 매일출조(전화문의)
출조시간 : 전날 전화문의 (김성현) 010-8921-6424
단체예약 : 2~3일전 전화문의
준 비 물 : 감섬돔 참돔 벵어돔 돌돔 부시리 민어 채비
예약문의 : 해남인성프로피싱 (해남군.읍 평남리 181-1번지 )
해남인성프로피싱 T 061-536-0991
P 010-8921-6424
점 주 : 김 성 현
카페주소 : http://cafe.daum.net/dlstjd0991
갯바위 낚시
추자 청산 여서 해남권 출조 안내
미끼, 채비, 도시락은 별도입니다.
채비안내
낙시대 : 0호대 부터 ~3호대 이상 원투 가능한대.
릴 : 2000~8000번
원 줄 : 1~6호
목 줄 : 1~6호
선상낚시
여서도 청산 해남권
미끼 채비 시락은 별도입니다.
채비안내
낙시대 : 3호대 부터 ~8호대 이상 원투 가능한대.
릴 : 5000~30000번
원 줄 : 5~20호
목 줄 : 5~20호
안내
홍지렁 낙 지
채비안내
낙시대 : 3호대 이상 원투 가능한대.
릴 : 4000번 이상
원 줄 : 8~12호
목 줄 : 8~12호
봉 돌 : 25호~50호
2014.08.23 토요일
청산도 출조를 다녀 왔습니다
여러 종류의 여름고기들이 모습을 보이내요
다양한 손맛을 볼수 있습니다.
수고하여 주신 조사님께 감사네 말씀 드리면서
더 노력하는 모습 보이겠습니다
안녕하세요
해남 인성 프로피싱 입니다
갯바위 선상 부시리 민어등 출조를 가고자 합니다
출조는 멀리에서 안하고 가까운 해남이나 완도에서 하오니
그점 유의하시고
전화 주세요
정성것 모시겠습니다.
출 조 일 : 매일출조(전화문의)
출조시간 : 전날 전화문의 (김성현) 010-8921-6424
단체예약 : 2~3일전 전화문의
준 비 물 : 감섬돔 참돔 벵어돔 돌돔 부시리 민어 채비
예약문의 : 해남인성프로피싱 (해남군.읍 평남리 181-1번지 )
해남인성프로피싱 T 061-536-0991
P 010-8921-6424
점 주 : 김 성 현
카페주소 : http://cafe.daum.net/dlstjd0991
갯바위 낚시
추자 청산 여서 해남권 출조 안내
미끼, 채비, 도시락은 별도입니다.
채비안내
낙시대 : 0호대 부터 ~3호대 이상 원투 가능한대.
릴 : 2000~8000번
원 줄 : 1~6호
목 줄 : 1~6호
선상낚시
여서도 청산 해남권
미끼 채비 시락은 별도입니다.
채비안내
낙시대 : 3호대 부터 ~8호대 이상 원투 가능한대.
릴 : 5000~30000번
원 줄 : 5~20호
목 줄 : 5~20호
해남 민어 출조 안내
미끼, 채비, 도시락은 별도입니다.
미끼 해남인성프로피싱
2014.08.23 토요일
청산도 출조를 다녀 왔습니다
여러 종류의 여름고기들이 모습을 보이내요
다양한 손맛을 볼수 있습니다.
수고하여 주신 조사님께 감사네 말씀 드리면서
더 노력하는 모습 보이겠습니다
안녕하세요
해남 인성 프로피싱 입니다
갯바위 선상 부시리 민어등 출조를 가고자 합니다
출조는 멀리에서 안하고 가까운 해남이나 완도에서 하오니
그점 유의하시고
전화 주세요
정성것 모시겠습니다.
출 조 일 : 매일출조(전화문의)
출조시간 : 전날 전화문의 (김성현) 010-8921-6424
단체예약 : 2~3일전 전화문의
준 비 물 : 감섬돔 참돔 벵어돔 돌돔 부시리 민어 채비
예약문의 : 해남인성프로피싱 (해남군.읍 평남리 181-1번지 )
해남인성프로피싱 T 061-536-0991
P 010-8921-6424
점 주 : 김 성 현
카페주소 : http://cafe.daum.net/dlstjd0991
갯바위 낚시
추자 청산 여서 해남권 출조 안내
미끼, 채비, 도시락은 별도입니다.
채비안내
낙시대 : 0호대 부터 ~3호대 이상 원투 가능한대.
릴 : 2000~8000번
원 줄 : 1~6호
목 줄 : 1~6호
선상낚시
여서도 청산 해남권
미끼 채비 시락은 별도입니다.
채비안내
낙시대 : 3호대 부터 ~8호대 이상 원투 가능한대.
릴 : 5000~30000번
원 줄 : 5~20호
목 줄 : 5~20호
안내
홍지렁 낙 지
채비안내
낙시대 : 3호대 이상 원투 가능한대.
릴 : 4000번 이상
원 줄 : 8~12호
목 줄 : 8~12호
봉 돌 : 25호~50호

