감포바다 기상 및 조황정보(벵에돔,생활낚시 우럭)

25cm 전후(사진 촬영후 방생했습니다)
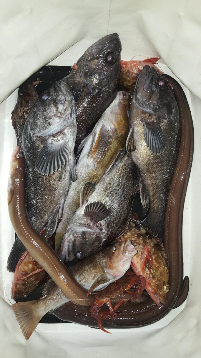
야간 원투 조황입니다

야간루어조황입니다(15~20cm)
안녕하세요. 감포 동경주낚시입니다.
2020년 2월 11일 화요일 감포 바다날씨입니다.
아침바다는 물색이 좋고 너울파도가 좀 있으며 바람없이 맑은 아침입니다. 오늘은 대체로
2020년 2월 11일 화요일 감포 바다날씨입니다.
아침바다는 물색이 좋고 너울파도가 좀 있으며 바람없이 맑은 아침입니다. 오늘은 대체로
맑은 날씨에 북동~남서풍이 약하게 불고 파도는 좀 있겠습니다.
어제 벵에돔은 동풍이 불어 수온이 떨어져 펑상시보다 입질이 예민했으며 부상은 많이 했
고 중치급,씨알급 조황이 있었습니다.
감포권 학꽁치는 조금씩 잡히고 있으며 개인간 편차가 많고 입질 수심층을 잘 맞추면 먹거리
정도는 가능해보입니다.
원투 생활낚시에 도다리가 몇수 잡히고 있으며 야간에 붕장어도 가끔 입질이 있습니다.
호래기는 여전히 많은 마리수는 안되며 물색이 돌아와 야간 볼락도 집어가 되는편입니다.
오늘도 안전하고 즐거운 낚시가 되길 바랍니다.
물 때: 10 물 ( 만조 05:23 21:21 간조 14:05 00:07 )
풍 향/파 고: 오전 북동-동풍 4~7m(0.5~1.5m), 오후 남-남서풍 4~9m(0.5~1.5m)
표 층 수 온: 13.3도
네이버 밴드: https://band.us/@dkj7719922
표 층 수 온: 13.3도
네이버 밴드: https://band.us/@dkj7719922
주 소: 경주시 감포읍 감포리 595-1번지 (감포 복지회관 삼거리에서 포항방향 900M 우측편)
(도로명 주소:경주시 감포읍 동해안로 2228 )
핸드폰: 010-6510-9991
매 장: 054)771-9922








