경주양남~(벵에돔)

신상품 소개


회원 랭킹


공지사항


NaverBand
[점주/선장] 방파제 조황 - 2019년
글 읽기만 가능합니다.

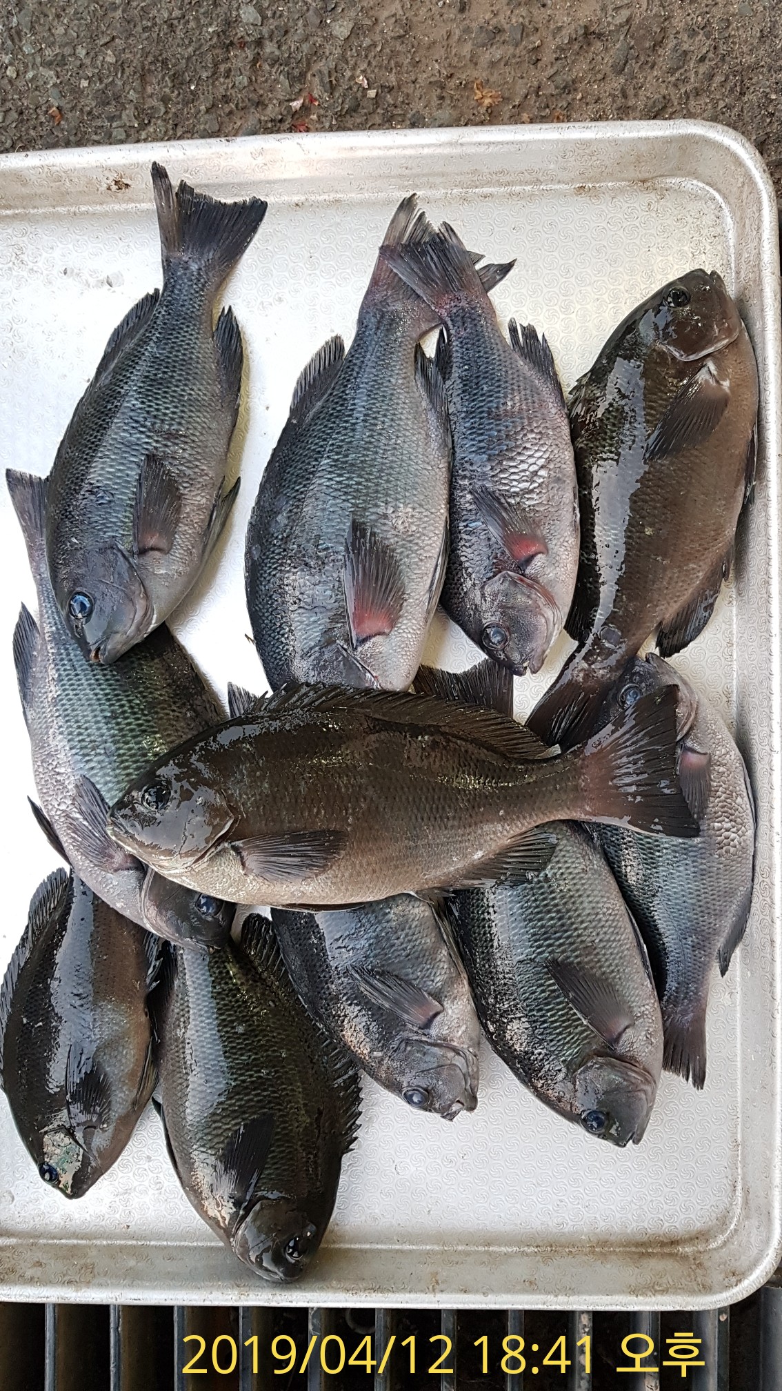
경주양남~(벵에돔)

경주양남그린낚시 0 729 0
경주양남 그린낚시입니다

큰 풍랑이 한번 지나가고
물날이 점차 안정되어가고 있습니다

수온도 점차 오르고 있고요

올해는 벵에돔이 좀 빠른감이 있었는데
역시나 고기가 나와주네요

얼마 전까지만해도 바닥층을 공략해야 했는데
이제는 중층까지 올라와 입질을합니다

굵은씨알이 나올때가 있는가하면
잔씨알이 마릿수로 나올때도 있습니다
잔씨알은 그만큼 활성도가 있다는뜻입니다

아직까지는 생물미끼가 나아보입니다

내일은 오전에는 잠잠하다가
오후로갈수록 바람이 강해질것같습니다~

0 Comments
 
제목
 


인낚 최신글


인낚 최신댓글


온라인 문의 안내


월~금 : 9:00 ~ 18:00
토/일/공휴일 휴무
점심시간 : 12:00 ~ 13:00