영덕권 감성돔 조황 소식입니다.


안녕하세요,
FTV 바다 통신원, 피쉬&피플 바다 통신원, 피싱태그 특파원 김진대입니다.
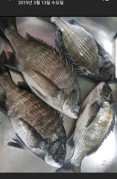
어제는 한번씩 오는 너울성 파도와 강한 북서풍에서도 일부 포인트에서 감성돔 소식이 제법 들렸네요.
출조한 현지 후배와 영천 조사님, 포항 조사님께서 손맛을 보시고 철수길에 사진을....
옆에 계시던 조사님께서 해그름에 대물 사이즈를 터렸다며 아쉬워했네요.ㅠㅠ
오늘은 어제보다 물색이 맑은 편이며 입질 또한 예민할것으로 판단되오니 이에 대비하셔야 할듯 합니다.
출조시 참고가 되었으면 합니다.
######### 국산 최고 품질의 특A급 크릴을 동해안 최저 가격으로 준비했으니 많은 이용 바랍니다.########
@@@@@최근 상주~영덕간 고속도로 개통으로 많은 조사님들께서 영덕을 찾아주시고계시네요.
청정지역 영덕바다의 매력에 푹 빠질수 있도록 수십년간의 경험을 살려 모든 조사님들이
손맛 보실수 있도록 최선을 다하겠습니다.(영덕 IC에서 8분거리에 위치하고 있습니다.) @@@@@
****** 본점에서는 그날의 파도, 물색, 바람의 방향과 세기에 따라 20여년간의 경험으로
확률 높은 포인트를 추천해 드리고 있습니다.******
**** 벵에돔 낚시의 패턴 변화로 벵에짱(파란소세지)도 미세하나마 내용물이 예년과 조금 다르게 제작되고
있느니 참고하시기 바랍니다. ****
####### 벵에돔 저승사자 ***일명 파란소세지*** @ 벵에짱 @ 준비되어 있습니다. #######
@@@@@ 홍개비 준비되어 있습니다. @@@@@
!!!!!!!!!!! 혼무시 준비되어 있습니다. !!!!!!!!!
♡♡♡ ♡♡ 해진 빵가루. 해진 감성돔 파우더 전문 취급점입니다.♡♡♡♡♡
☆☆☆☆☆ 일산 수입 감성돔 파우더(히로큐. 다이와) 입점 되어 있습니다.☆☆☆☆☆
**** 나만의 수제찌 전문 취급점입니다. ****
조황문의는......제발 휴대폰으로 문의 주세요
(유선은 바쁜 관계로 받기 힘듭니다.)
010-3528-4581 , (054)734-4581로 ....
네이버 밴드운영 : https://band.us/@21cfishing ( 영덕 21세기 바다낚시 )
네비주소 : 경북 영덕군 남정면 동해대로 4078 번지 (장사~강구 중간지점, 7번 국도 도로변)
아이나비는 21c바다낚시 치시면 되구요,(영덕 IC에서 8분거리네요...)
그외 네비는 88 회대게식당(실제 간판은*** 홍게 무한리필 ***) 치시면 횟집 같은 마당에 위치하고 있습니다.
FTV 바다 통신원, 피쉬&피플 바다 통신원, 피싱태그 특파원 김진대입니다.
어제는 한번씩 오는 너울성 파도와 강한 북서풍에서도 일부 포인트에서 감성돔 소식이 제법 들렸네요.
출조한 현지 후배와 영천 조사님, 포항 조사님께서 손맛을 보시고 철수길에 사진을....
옆에 계시던 조사님께서 해그름에 대물 사이즈를 터렸다며 아쉬워했네요.ㅠㅠ
오늘은 어제보다 물색이 맑은 편이며 입질 또한 예민할것으로 판단되오니 이에 대비하셔야 할듯 합니다.
출조시 참고가 되었으면 합니다.
######### 국산 최고 품질의 특A급 크릴을 동해안 최저 가격으로 준비했으니 많은 이용 바랍니다.########
@@@@@최근 상주~영덕간 고속도로 개통으로 많은 조사님들께서 영덕을 찾아주시고계시네요.
청정지역 영덕바다의 매력에 푹 빠질수 있도록 수십년간의 경험을 살려 모든 조사님들이
손맛 보실수 있도록 최선을 다하겠습니다.(영덕 IC에서 8분거리에 위치하고 있습니다.) @@@@@
****** 본점에서는 그날의 파도, 물색, 바람의 방향과 세기에 따라 20여년간의 경험으로
확률 높은 포인트를 추천해 드리고 있습니다.******
**** 벵에돔 낚시의 패턴 변화로 벵에짱(파란소세지)도 미세하나마 내용물이 예년과 조금 다르게 제작되고
있느니 참고하시기 바랍니다. ****
####### 벵에돔 저승사자 ***일명 파란소세지*** @ 벵에짱 @ 준비되어 있습니다. #######
@@@@@ 홍개비 준비되어 있습니다. @@@@@
!!!!!!!!!!! 혼무시 준비되어 있습니다. !!!!!!!!!
♡♡♡ ♡♡ 해진 빵가루. 해진 감성돔 파우더 전문 취급점입니다.♡♡♡♡♡
☆☆☆☆☆ 일산 수입 감성돔 파우더(히로큐. 다이와) 입점 되어 있습니다.☆☆☆☆☆
**** 나만의 수제찌 전문 취급점입니다. ****
조황문의는......제발 휴대폰으로 문의 주세요
(유선은 바쁜 관계로 받기 힘듭니다.)
010-3528-4581 , (054)734-4581로 ....
네이버 밴드운영 : https://band.us/@21cfishing ( 영덕 21세기 바다낚시 )
네비주소 : 경북 영덕군 남정면 동해대로 4078 번지 (장사~강구 중간지점, 7번 국도 도로변)
아이나비는 21c바다낚시 치시면 되구요,(영덕 IC에서 8분거리네요...)
그외 네비는 88 회대게식당(실제 간판은*** 홍게 무한리필 ***) 치시면 횟집 같은 마당에 위치하고 있습니다.
