
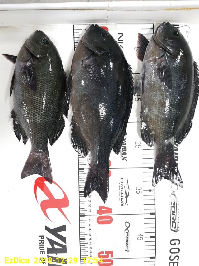
경주 911스카이 크레인님 몇수도전끝에 드디어 체포했습니다(사진촬영 감사드립니다)
안녕하세요. 감포 동경주낚시입니다. 2018년 12월 30일 일요일 감포 바다날씨입니다.
아침바다는 물색이 좋고 너울파도가 높으며 북서풍이 약하게 부는 아침입니다.오늘은 맑은 날씨에 북서풍이 약하게 불고 높은 너울이 계속 들어오겠으니 주의 하시고 테트라 및 일부 갯바위가 결빙되어 있으니 안전에 각별히 유념 하시기 바랍니다.
현재 경북 남부 앞바다에 풍랑 주의보는 해제되었으며 먼바다 주의보는 발효중입니다.
어제는 바람이 강하게 불고 날이 매우차가워 몇몇 열혈 조우님들이 벵에 사냥을 다녀 왔으며 오랜만에 씨알급 몇수 잡아오셨네요.
학꽁치는 잔씨알급 위주로 잡히고 있으며 아직까지 입질이 원활하지는 않습니다.
저희점에서는 다양한 종류의 빵가루와 파우더 및 동해안에 특화된 감성돔 파우더(파워믹스)를 취급하고 있으며 포인트 안내 및 채비법에 최선을 다하도록 노력하겠습니다.
★★★ 혼무시 있습니다.
오늘도 안전하고 즐거운 낚시가 되길 바랍니다.
물 때: 1 물( 만조 11:28 00:32 간조 05:42 18:28 ) 풍 향/파 고: 오전 북서-북풍 7~13m (1.0~3.0m), 오후 북서-북풍 5~10m(1.0~2.5m) 표 층 수 온: 15.8도
네이버 밴드운영:https://band.us/@dkj7719922
주 소: 경주시 감포읍 감포리 595-1번지 (감포 복지회관 삼거리에서 포항방향 700M 우측편) (도로명 주소:경주시 감포읍 동해안로 2228 ) 핸드폰: 010-6510-9991 매 장: 054)771-9922
|