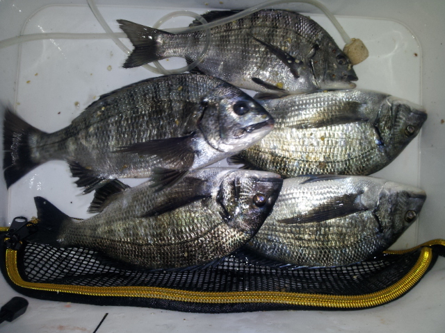
동해시 감성돔 조황

신상품 소개


회원 랭킹


공지사항


NaverBand
[점주/선장] 방파제 조황 - 2018년
글 읽기만 가능합니다.

동해시 감성돔 조황

동해강원낚시 0 338 0



출조 및 조황 문의
자세한 정보는 네이버 강원낚시 카페에 들어오세요 ^^

http://cafe.naver.com/gangwonfish/

조황문의 :
강원도 동해시 강원낚시 033-532-1088, 010-3399-7219
네비게이션 주소 : 강원도 동해시 용정동 261번지 강원낚시

0 Comments
 
제목
 


인낚 최신글


인낚 최신댓글


온라인 문의 안내


월~금 : 9:00 ~ 18:00
토/일/공휴일 휴무
점심시간 : 12:00 ~ 13:00