영덕권 감성돔과 벵에돔 그리고 학꽁치....

안녕하세요,
FTV 바다 통신원, KBS 1라디오 통신원, 피쉬&피플 바다 통신원, 피싱태그 특파원 김진대입니다.
어제는 간간히 비가 오는것 말고는 무난한 바다여건이었습니다.
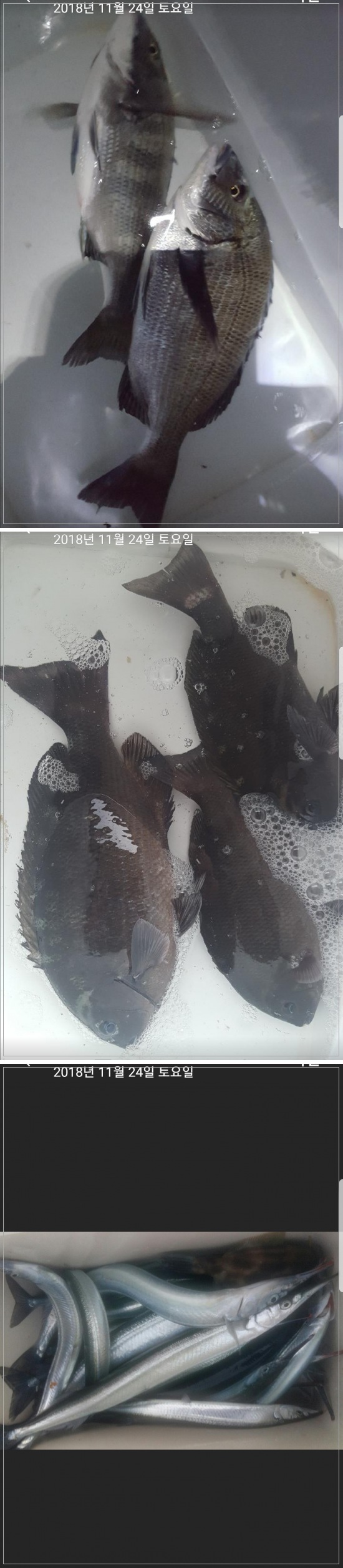
감성돔은 몇몇 포인트에서 중치급으로 몇수 확인이 되었으며 단골 조사님께서 중치급으로 손맛을 보시고
철수길에 사진을 보내 주셨으며 벵에돔은 여전히 입질이 약은 가운데 35cm급과 중치급 몇수 손맛을 보신
단골 조사님께서 사진을 보내주셨네요, 감사합니다.
그리고 형광등급 학꽁치는 감성돔 출조가신 단골 조사님께서 감성돔 낚시도중 학꽁치가 보여 잠시 짬을내어
15수정도 횟감으로...... 그렇다고 학꽁치 출조를 권하기도 애매한 상황이오니 그래도 탐사차 나가실 조사님들은
기대반 우려반으로 함 나가 볼만하네요...
조황사진을 보내주신 조사님들께 다시 한번 감사의 말씀을 드립니다.(포인트 엄청 쌓이겠네요. ㅎㅎ)
오늘은 파도가 장판 수준입니다. 벵에돔도 좋겠고 감성돔은 해그름에 함 노려봐야겠네요.
오늘도 약은 입질이 예상되니 참고하시기 바랍니다.
%%%%% 무늬 오징어 시즌을 맞이하여 야마시다, 듀엘, 하야부사, 오션폴등 고급 에기부터
저가 에기까지 다양하게 준비되어 있으며 에깅에 관련된 용품이 다양하게 준비되어 있습니다. %%%%%%
****** 명품 에기중에 명품 귀하디 귀한 하야시 에기가 입고 되었습니다. ******
!!!!!!!!! 브리덴 에기마루가 다양한 컬러로 많은 수량이 입고되었습니다. !!!!!!!!!
( 야마시타, 다이와 에기 4+1 할인행사중입니다. )
######### 국산 최고 품질의 특A급 크릴을 동해안 최저 가격으로 준비했으니 많은 이용 바랍니다.########
@@@@@최근 상주~영덕간 고속도로 개통으로 많은 조사님들께서 영덕을 찾아주시고계시네요.
청정지역 영덕바다의 매력에 푹 빠질수 있도록 수십년간의 경험을 살려 모든 조사님들이
손맛 보실수 있도록 최선을 다하겠습니다.(영덕 IC에서 8분거리에 위치하고 있습니다.) @@@@@
****** 본점에서는 그날의 파도, 물색, 바람의 방향과 세기에 따라 20여년간의 경험으로
확률 높은 포인트를 추천해 드리고 있습니다.******
**** 벵에돔 낚시의 패턴 변화로 벵에짱(파란소세지)도 미세하나마 내용물이 예년과 조금 다르게 제작되고
있느니 참고하시기 바랍니다. ****
####### 벵에돔 저승사자 ***일명 파란소세지*** @ 벵에짱 @ 준비되어 있습니다. #######
@@@@@ 홍개비 준비되어 있습니다. @@@@@
!!!!!!!!!!! 혼무시 준비되어 있습니다. !!!!!!!!!
♡♡♡ ♡♡ 해진 빵가루. 해진 감성돔 파우더 전문 취급점입니다.♡♡♡♡♡
☆☆☆☆☆ 일산 수입 감성돔 파우더(히로큐. 다이와) 입점 되어 있습니다.☆☆☆☆☆
**** 나만의 수제찌 전문 취급점입니다. ****
조황문의는......
010-3528-4581 , (054)734-4581로 ....
네이버 밴드운영 : https://band.us/@21cfishing ( 영덕 21세기 바다낚시 )
네비주소 : 경북 영덕군 남정면 동해대로 4078 번지 (장사~강구 중간지점, 7번 국도 도로변)
아이나비는 21c바다낚시 치시면 되구요,(영덕 IC에서 8분거리네요...)
그외 네비는 88 회대게식당(실제 간판은*** 홍게 무한리필 ***) 치시면 횟집 같은 마당에 위치하고 있습니다.
FTV 바다 통신원, KBS 1라디오 통신원, 피쉬&피플 바다 통신원, 피싱태그 특파원 김진대입니다.
어제는 간간히 비가 오는것 말고는 무난한 바다여건이었습니다.
감성돔은 몇몇 포인트에서 중치급으로 몇수 확인이 되었으며 단골 조사님께서 중치급으로 손맛을 보시고
철수길에 사진을 보내 주셨으며 벵에돔은 여전히 입질이 약은 가운데 35cm급과 중치급 몇수 손맛을 보신
단골 조사님께서 사진을 보내주셨네요, 감사합니다.
그리고 형광등급 학꽁치는 감성돔 출조가신 단골 조사님께서 감성돔 낚시도중 학꽁치가 보여 잠시 짬을내어
15수정도 횟감으로...... 그렇다고 학꽁치 출조를 권하기도 애매한 상황이오니 그래도 탐사차 나가실 조사님들은
기대반 우려반으로 함 나가 볼만하네요...
조황사진을 보내주신 조사님들께 다시 한번 감사의 말씀을 드립니다.(포인트 엄청 쌓이겠네요. ㅎㅎ)
오늘은 파도가 장판 수준입니다. 벵에돔도 좋겠고 감성돔은 해그름에 함 노려봐야겠네요.
오늘도 약은 입질이 예상되니 참고하시기 바랍니다.
%%%%% 무늬 오징어 시즌을 맞이하여 야마시다, 듀엘, 하야부사, 오션폴등 고급 에기부터
저가 에기까지 다양하게 준비되어 있으며 에깅에 관련된 용품이 다양하게 준비되어 있습니다. %%%%%%
****** 명품 에기중에 명품 귀하디 귀한 하야시 에기가 입고 되었습니다. ******
!!!!!!!!! 브리덴 에기마루가 다양한 컬러로 많은 수량이 입고되었습니다. !!!!!!!!!
( 야마시타, 다이와 에기 4+1 할인행사중입니다. )
######### 국산 최고 품질의 특A급 크릴을 동해안 최저 가격으로 준비했으니 많은 이용 바랍니다.########
@@@@@최근 상주~영덕간 고속도로 개통으로 많은 조사님들께서 영덕을 찾아주시고계시네요.
청정지역 영덕바다의 매력에 푹 빠질수 있도록 수십년간의 경험을 살려 모든 조사님들이
손맛 보실수 있도록 최선을 다하겠습니다.(영덕 IC에서 8분거리에 위치하고 있습니다.) @@@@@
****** 본점에서는 그날의 파도, 물색, 바람의 방향과 세기에 따라 20여년간의 경험으로
확률 높은 포인트를 추천해 드리고 있습니다.******
**** 벵에돔 낚시의 패턴 변화로 벵에짱(파란소세지)도 미세하나마 내용물이 예년과 조금 다르게 제작되고
있느니 참고하시기 바랍니다. ****
####### 벵에돔 저승사자 ***일명 파란소세지*** @ 벵에짱 @ 준비되어 있습니다. #######
@@@@@ 홍개비 준비되어 있습니다. @@@@@
!!!!!!!!!!! 혼무시 준비되어 있습니다. !!!!!!!!!
♡♡♡ ♡♡ 해진 빵가루. 해진 감성돔 파우더 전문 취급점입니다.♡♡♡♡♡
☆☆☆☆☆ 일산 수입 감성돔 파우더(히로큐. 다이와) 입점 되어 있습니다.☆☆☆☆☆
**** 나만의 수제찌 전문 취급점입니다. ****
조황문의는......
010-3528-4581 , (054)734-4581로 ....
네이버 밴드운영 : https://band.us/@21cfishing ( 영덕 21세기 바다낚시 )
네비주소 : 경북 영덕군 남정면 동해대로 4078 번지 (장사~강구 중간지점, 7번 국도 도로변)
아이나비는 21c바다낚시 치시면 되구요,(영덕 IC에서 8분거리네요...)
그외 네비는 88 회대게식당(실제 간판은*** 홍게 무한리필 ***) 치시면 횟집 같은 마당에 위치하고 있습니다.







