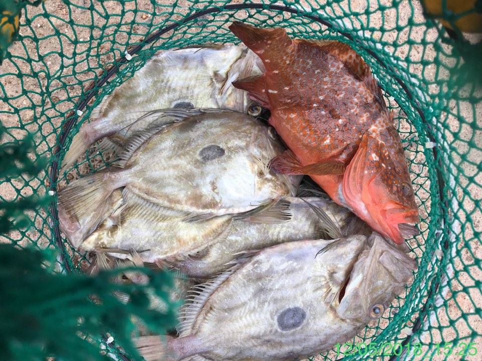
붉은바리,달고기,고등어 조도방파제 조황입니다.
안녕하십니까? 하리 선착장 동삼관광낚시유람입니다.
12월 05일 조도 방파제 조항입니다.
주차장안내 : http://dsnf.cafe24.com/?p=1212
12월 1일 부터 ~ 3월 31일 까지 동절기 운항합니다.(야간운항하지 않습니다)
*평일 첫배 7시
*휴일 첫배 6시 10분
비가 그치고 오늘 참 날씨가 좋았습니다.
날씨 만큼이나 조황도 좋구요
고등어 전갱이는 늘 한쿨러는 기본이구요
붉은바리가 요즘 심심치 않게 올라오네요
달고기는 쿨러를 채울만하구요
손맛을 느끼러 많이 찾아 주십시오^^
고등어 카드는 바늘 크기가 12~14정도되는 것으로 준비하시면 됩니다.
요즘 조도방파제는 "감성돔, 참돔,삼치, 돌돔, 벵에돔, 전갱이, 고등어, 도다리, 문어, 열기, 뽈락, 우럭" 이 많이 올라오고 있습니다.
포인트 안내는 문의하시면 친절히 알려드리겠습니다.
첫배로 가셔야 조항이 더욱 좋습니다.
<동절기 시간 안내>
*기간:12월1일 ~ 3월31일
*야간은 하지 않습니다..
*** 12월 1일 부터 변경됩니다.
<운항시간안내>
-AM 06:10 :정기운항 (휴일 첫배 : 출발10분 전에 오십시오)
-AM 07:00 :정기운항 (평일 첫배)
-AM 08:00 :정기운항
-AM 09:00 :손님이 안계실경우 운항하지않습니다.
-AM 10:00 :손님이 안계실경우 운항하지않습니다.
-AM 11:00 :손님이 안계실경우 운항하지않습니다.
-PM 12:00 :정기운항
-PM 14:00 :휴일만 운항합니다.
-PM 15:00 :정기운항
-PM 16:30 :정기운항 (주간 마지막 퇴선 배입니다.)
<주의사항>
1.절대 애완동물은 출입이 불가합니다.
2.안전상 슬리퍼, 샌들 착용 시 승선이 불가합니다.
3.서해 낚시배 사고로 인하여 갯바위 낚시객분들은 개인 구명조끼를 꼭 입고 오십시오
< 이런분들 강력추천 합니다.>
1. 바다낚시를 좋아하거나, 하고 싶어도 배멀미가 심해 곤란하셨던분!!
- 조도방파제는 편균수심이 15~21m로 수심이 깊어 어종이 다양하며,
안전하고 멀미 없이 바다 낚시를 즐기실수있습니다.
2. 혼자 조용히 낚시를 즐기시고 싶은 혼족여러분!!
- 조도방파제는 약 길이700m ,폭 25m 로 바다위의 섬처럼 공간이 넓어
다른 고객분들의 방해 없이 조용히 낚시를 즐기실 수 있습니다.
3. 동호회, 단체 모임, 낚시대회를 열고 싶으신 고객분들!!
- 방파제 최대 수용인원이 약1,100명으로 각종 낚시 행사에 최적화 되어 있습니다.
4. 낚시를 즐고 싶은 아빠 , 뛰어 놀고 싶은아이들!!
- 아빠의 취미생활을 즐기면서, 다른가족들은 넓은 방파제에서 오륙도 풍경을 즐기며, 도시락도 까먹고
이보다 더 좋은 소풍은 없을 것입니다.
*이용요금
-주간
*조도방파제 : 15,000원
*소 인 : 5,000원
*연락처 ( 통화 가능시간 : 새벽5시~저녁8시)
사무실 : 051-404-0799
핸드폰 : 010-6208-0799
자차로 오시는 분 : 부산시 영도구 동삼동 764-7번지
(네비게이션 : 하리선착장 또는 영도해양경비안전센터 검색해 주세요)
버스 : 8번, 88번, 186번, 101번, 66번, 30번 탑승 후 하리정류장에서 하차하여 선착장 방향으로 도보 5분입니다.
홈페이지 : www.dsnf.co.kr
늘 고객을 가족처럼 모시겠습니다.
12월 05일 조도 방파제 조항입니다.
주차장안내 : http://dsnf.cafe24.com/?p=1212
12월 1일 부터 ~ 3월 31일 까지 동절기 운항합니다.(야간운항하지 않습니다)
*평일 첫배 7시
*휴일 첫배 6시 10분
비가 그치고 오늘 참 날씨가 좋았습니다.
날씨 만큼이나 조황도 좋구요
고등어 전갱이는 늘 한쿨러는 기본이구요
붉은바리가 요즘 심심치 않게 올라오네요
달고기는 쿨러를 채울만하구요
손맛을 느끼러 많이 찾아 주십시오^^
고등어 카드는 바늘 크기가 12~14정도되는 것으로 준비하시면 됩니다.
요즘 조도방파제는 "감성돔, 참돔,삼치, 돌돔, 벵에돔, 전갱이, 고등어, 도다리, 문어, 열기, 뽈락, 우럭" 이 많이 올라오고 있습니다.
포인트 안내는 문의하시면 친절히 알려드리겠습니다.
첫배로 가셔야 조항이 더욱 좋습니다.
<동절기 시간 안내>
*기간:12월1일 ~ 3월31일
*야간은 하지 않습니다..
*** 12월 1일 부터 변경됩니다.
<운항시간안내>
-AM 06:10 :정기운항 (휴일 첫배 : 출발10분 전에 오십시오)
-AM 07:00 :정기운항 (평일 첫배)
-AM 08:00 :정기운항
-AM 09:00 :손님이 안계실경우 운항하지않습니다.
-AM 10:00 :손님이 안계실경우 운항하지않습니다.
-AM 11:00 :손님이 안계실경우 운항하지않습니다.
-PM 12:00 :정기운항
-PM 14:00 :휴일만 운항합니다.
-PM 15:00 :정기운항
-PM 16:30 :정기운항 (주간 마지막 퇴선 배입니다.)
<주의사항>
1.절대 애완동물은 출입이 불가합니다.
2.안전상 슬리퍼, 샌들 착용 시 승선이 불가합니다.
3.서해 낚시배 사고로 인하여 갯바위 낚시객분들은 개인 구명조끼를 꼭 입고 오십시오
< 이런분들 강력추천 합니다.>
1. 바다낚시를 좋아하거나, 하고 싶어도 배멀미가 심해 곤란하셨던분!!
- 조도방파제는 편균수심이 15~21m로 수심이 깊어 어종이 다양하며,
안전하고 멀미 없이 바다 낚시를 즐기실수있습니다.
2. 혼자 조용히 낚시를 즐기시고 싶은 혼족여러분!!
- 조도방파제는 약 길이700m ,폭 25m 로 바다위의 섬처럼 공간이 넓어
다른 고객분들의 방해 없이 조용히 낚시를 즐기실 수 있습니다.
3. 동호회, 단체 모임, 낚시대회를 열고 싶으신 고객분들!!
- 방파제 최대 수용인원이 약1,100명으로 각종 낚시 행사에 최적화 되어 있습니다.
4. 낚시를 즐고 싶은 아빠 , 뛰어 놀고 싶은아이들!!
- 아빠의 취미생활을 즐기면서, 다른가족들은 넓은 방파제에서 오륙도 풍경을 즐기며, 도시락도 까먹고
이보다 더 좋은 소풍은 없을 것입니다.
*이용요금
-주간
*조도방파제 : 15,000원
*소 인 : 5,000원
*연락처 ( 통화 가능시간 : 새벽5시~저녁8시)
사무실 : 051-404-0799
핸드폰 : 010-6208-0799
자차로 오시는 분 : 부산시 영도구 동삼동 764-7번지
(네비게이션 : 하리선착장 또는 영도해양경비안전센터 검색해 주세요)
버스 : 8번, 88번, 186번, 101번, 66번, 30번 탑승 후 하리정류장에서 하차하여 선착장 방향으로 도보 5분입니다.
홈페이지 : www.dsnf.co.kr
늘 고객을 가족처럼 모시겠습니다.

