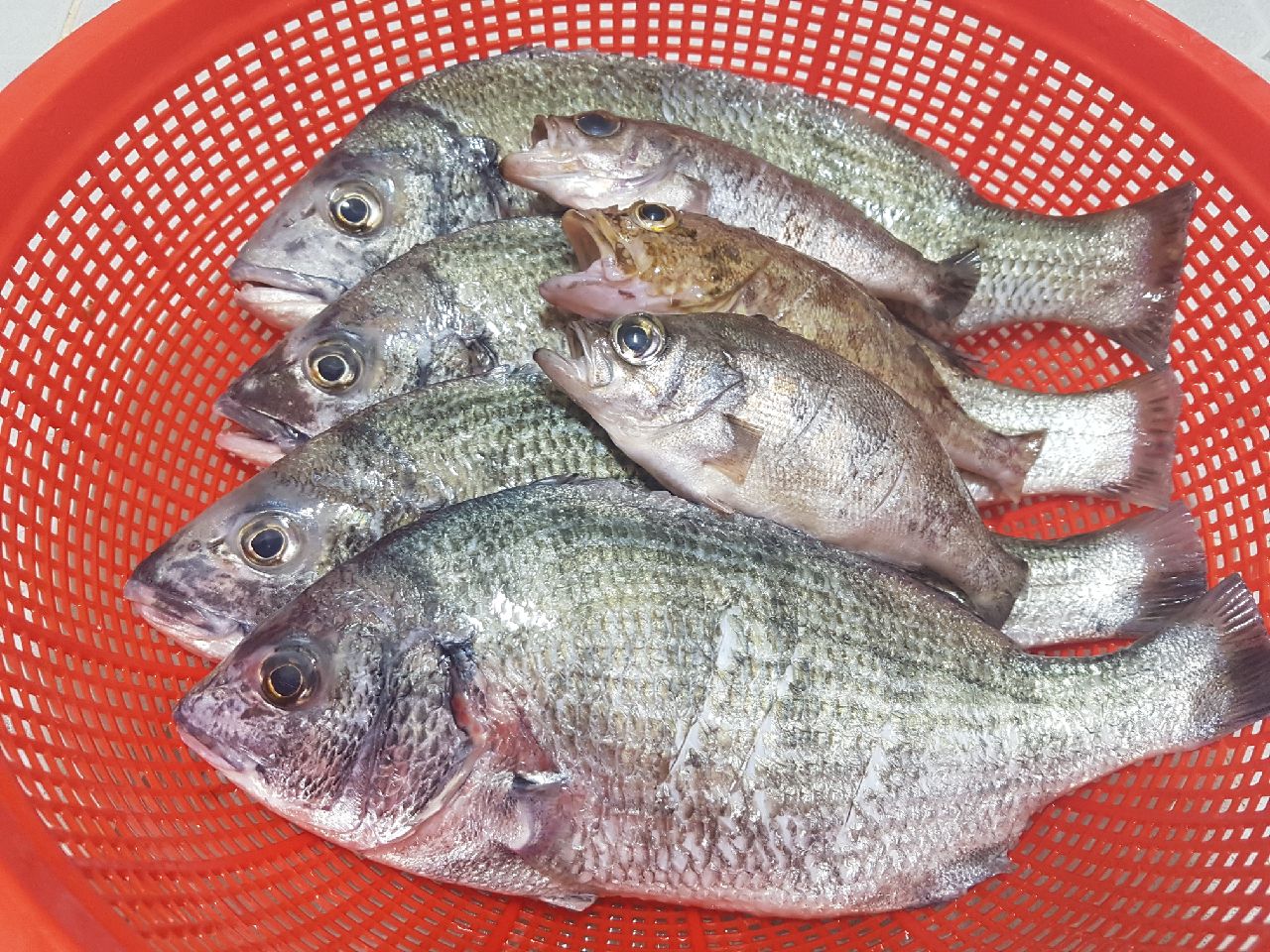
삼천포 화력 발전소 석축 조황
안녕하십니까?
오늘은 날씨는 좋으나 기온이 찹습니다
두껍게 입고 가세요
사천공항에서 직진거리 1.9킬로에 있는 25시낚시입니다
경남 사천시 사천읍 사주리 79-5번지 (사천시 사천읍 사천대로 1791번길)
TEL 055-854-6577 /010-5046-0880
2017.11.30일자 지인의 조황입니다
저희 25시 낚시에서는 365일 24시간 영업하고 있으며,
감성돔 시즌을 맞이해 다양한 장비와 소품을 저렴한 가격에 판매하고 있습니다
특히 다이와 시마노 구명조끼를 수입원가에 판매하고 있사오니 품절 되기 전에 선점하십시오^^
외지에서 출조하는 꾼들을 위해 삼천포 남해 미주권의 실시간 조황 정보도
제공하고 있으니 방문해주시면 자세하게 설명하겠습니다.
끝까지 읽어 주셔서 감사합니다 ^^꾸벅
오늘은 날씨는 좋으나 기온이 찹습니다
두껍게 입고 가세요
사천공항에서 직진거리 1.9킬로에 있는 25시낚시입니다
경남 사천시 사천읍 사주리 79-5번지 (사천시 사천읍 사천대로 1791번길)
TEL 055-854-6577 /010-5046-0880
2017.11.30일자 지인의 조황입니다
저희 25시 낚시에서는 365일 24시간 영업하고 있으며,
감성돔 시즌을 맞이해 다양한 장비와 소품을 저렴한 가격에 판매하고 있습니다
특히 다이와 시마노 구명조끼를 수입원가에 판매하고 있사오니 품절 되기 전에 선점하십시오^^
외지에서 출조하는 꾼들을 위해 삼천포 남해 미주권의 실시간 조황 정보도
제공하고 있으니 방문해주시면 자세하게 설명하겠습니다.
끝까지 읽어 주셔서 감사합니다 ^^꾸벅







