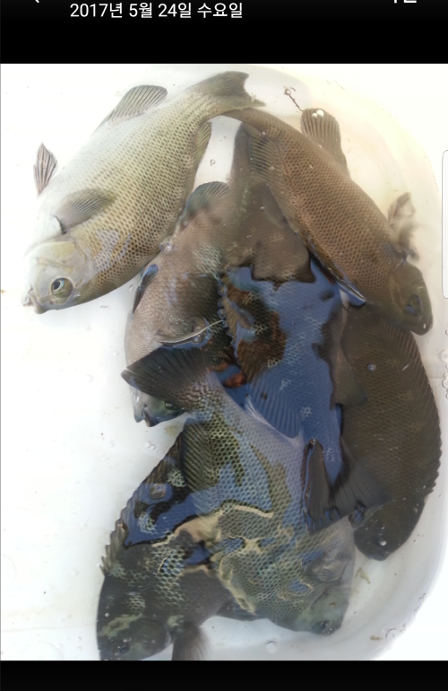
영덕권 연이은 벵에돔 조황입니다.

안녕하세요, 회원님들......
FTV 바다 통신원, KBS 1라디오 통신원, 피쉬&피플 바다 통신원, 피싱태그 특파원 김진대입니다.
어제도 파도가 잔잔하여 벵에돔 출조는 계속되었습니다.
오후에 저도 잠시 나가니 벵에돔이 표층에 라이징을.....ㅎㅎ (오늘 다 죽었어 ㅋㅋ)
처음 1시간 낚시에 연속 입질을 받고 나니 개만한 황어가 군단을 이루어 미칠지경.......
벵에돔 낚시에 황어는 ..... 다들 아시겠지만 황어가 설치면 벵에돔이 놀래서 부상하지 않고 부상하더라도
입질이 엄청 고약해지죠 ㅠㅠㅠ
고전끝에 황어가 서서히 물러나고 기대를 가질려니 스킨스쿠버가 바로 앞에까지 와서리 ..... 니미럴.....
잔손맛 본것으로 만족하고 다음을 기약하며 현장에서 한컷하고 바로 방생...
다음에는 어무이 아부지 데리고 오니라...ㅎㅎ
@@@@@최근 상주~영덕간 고속도로 개통으로 많은 조사님들께서 영덕을 찾아주시고계시네요.
청정지역 영덕바다의 매력에 푹 빠질수 있도록 수십년간의 경험을 살려 모든 조사님들이
손맛 보실수 있도록 최선을 다하겠습니다.(영덕 IC에서 8분거리에 위치하고 있습니다.) @@@@@
****** 본점에서는 그날의 파도, 물색, 바람의 방향과 세기에 따라 20여년간의 경험으로
확률 높은 포인트를 추천해 드리고 있습니다.******
##### 국산 최고 품질의 크릴을 최고의 착한 가격으로 준비했으니 많은 이용 바랍니다.####
**** 벵에돔 낚시의 패턴 변화로 벵에짱(파란소세지)도 미세하나마 내용물이 예년과 조금 다르게 제작되고
있느니 참고하시기 바랍니다. ****
####### 벵에돔 저승사자 ***일명 파란소세지*** @ 벵에짱 @ 준비되어 있습니다. #######
!!!!!!!!!!! 홍개비 준비되어 있습니다. !!!!!!!!!
@@@@@ 예민성이 최고인 부들 수제 막대찌 입고되었습니다. @@@@@
**** 나만의 수제찌 전문 취급점입니다. ****
조황문의는......
(054)734-4581 (손폰) 010-3528-4581 로 ....
네비주소 : 경북 영덕군 남정면 동해대로 4078 번지 (장사~강구 중간지점, 7번 국도 도로변)
아이나비는 21c바다낚시 치시면 되구요,(영덕 IC에서 8분거리네요...)
그외 네비는 88 회대게식당 치시면 횟집 같은 마당에 위치하고 있습니다.
FTV 바다 통신원, KBS 1라디오 통신원, 피쉬&피플 바다 통신원, 피싱태그 특파원 김진대입니다.
어제도 파도가 잔잔하여 벵에돔 출조는 계속되었습니다.
오후에 저도 잠시 나가니 벵에돔이 표층에 라이징을.....ㅎㅎ (오늘 다 죽었어 ㅋㅋ)
처음 1시간 낚시에 연속 입질을 받고 나니 개만한 황어가 군단을 이루어 미칠지경.......
벵에돔 낚시에 황어는 ..... 다들 아시겠지만 황어가 설치면 벵에돔이 놀래서 부상하지 않고 부상하더라도
입질이 엄청 고약해지죠 ㅠㅠㅠ
고전끝에 황어가 서서히 물러나고 기대를 가질려니 스킨스쿠버가 바로 앞에까지 와서리 ..... 니미럴.....
잔손맛 본것으로 만족하고 다음을 기약하며 현장에서 한컷하고 바로 방생...
다음에는 어무이 아부지 데리고 오니라...ㅎㅎ
@@@@@최근 상주~영덕간 고속도로 개통으로 많은 조사님들께서 영덕을 찾아주시고계시네요.
청정지역 영덕바다의 매력에 푹 빠질수 있도록 수십년간의 경험을 살려 모든 조사님들이
손맛 보실수 있도록 최선을 다하겠습니다.(영덕 IC에서 8분거리에 위치하고 있습니다.) @@@@@
****** 본점에서는 그날의 파도, 물색, 바람의 방향과 세기에 따라 20여년간의 경험으로
확률 높은 포인트를 추천해 드리고 있습니다.******
##### 국산 최고 품질의 크릴을 최고의 착한 가격으로 준비했으니 많은 이용 바랍니다.####
**** 벵에돔 낚시의 패턴 변화로 벵에짱(파란소세지)도 미세하나마 내용물이 예년과 조금 다르게 제작되고
있느니 참고하시기 바랍니다. ****
####### 벵에돔 저승사자 ***일명 파란소세지*** @ 벵에짱 @ 준비되어 있습니다. #######
!!!!!!!!!!! 홍개비 준비되어 있습니다. !!!!!!!!!
@@@@@ 예민성이 최고인 부들 수제 막대찌 입고되었습니다. @@@@@
**** 나만의 수제찌 전문 취급점입니다. ****
조황문의는......
(054)734-4581 (손폰) 010-3528-4581 로 ....
네비주소 : 경북 영덕군 남정면 동해대로 4078 번지 (장사~강구 중간지점, 7번 국도 도로변)
아이나비는 21c바다낚시 치시면 되구요,(영덕 IC에서 8분거리네요...)
그외 네비는 88 회대게식당 치시면 횟집 같은 마당에 위치하고 있습니다.
