양포 방파제낚시입니다.( 벵에돔 )
안녕하세요. 포항 양포 방파제낚시입니다.
오늘 아침까지 꽤 춥다가 오전 11시경부터 기온이 빠르게 상승하면서 포근해졌습니다.
그러다가 오후에 북동풍이 불면서 찬기운이 들어오고 낚시도 불편해졌네요.
오전에 약하던 너울이 오후에는 거칠어지면서 반탄조류가 강해져 어려움이 많았습니다.
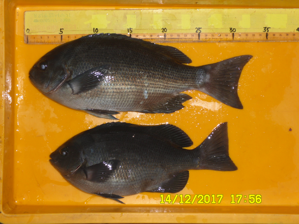
다양한 씨알의 벵에돔이 올라왔지만 전체적으로는 부진한 조황이라 여겨집니다.
내일은 서에서 북서풍이 약하게 부는 맑고 오후에 포근해지는 날씨랍니다.
아침에는 제법 춥겠으니 일찍 출조하시는 조사님들은 옷차림을 따뜻하게 하시기 바랍니다.
대체로 무난한 낚시 여건에 벵에돔 조황이 기대되고 학공치는 오늘도 소식이 없네요.
편안한 밤 보내시고 내일 아침에 뵙겠습니다. 감사합니다.
양포 방파제낚시 ; 054 ~ 276 ~ 1324
네비게이션 주소 ; 포항시 남구 장기면 동해안로 3360 ~ 21(신창리 421 ~ 3)
*** 내 쓰레기는 내가 거두어 나옵시다 !!!
<<< 둘째 넷째 수요일은 정기휴일입니다. >>>
오늘 아침까지 꽤 춥다가 오전 11시경부터 기온이 빠르게 상승하면서 포근해졌습니다.
그러다가 오후에 북동풍이 불면서 찬기운이 들어오고 낚시도 불편해졌네요.
오전에 약하던 너울이 오후에는 거칠어지면서 반탄조류가 강해져 어려움이 많았습니다.
다양한 씨알의 벵에돔이 올라왔지만 전체적으로는 부진한 조황이라 여겨집니다.
내일은 서에서 북서풍이 약하게 부는 맑고 오후에 포근해지는 날씨랍니다.
아침에는 제법 춥겠으니 일찍 출조하시는 조사님들은 옷차림을 따뜻하게 하시기 바랍니다.
대체로 무난한 낚시 여건에 벵에돔 조황이 기대되고 학공치는 오늘도 소식이 없네요.
편안한 밤 보내시고 내일 아침에 뵙겠습니다. 감사합니다.
양포 방파제낚시 ; 054 ~ 276 ~ 1324
네비게이션 주소 ; 포항시 남구 장기면 동해안로 3360 ~ 21(신창리 421 ~ 3)
*** 내 쓰레기는 내가 거두어 나옵시다 !!!
<<< 둘째 넷째 수요일은 정기휴일입니다. >>>

