동해바다낚시 감성돔조황과 날씨입니다.
11월 3일 아침바다상황입니다.
날씨는 화창하고 파도는 잔잔합니다.
어제와 바다상황이 비슷하네요..
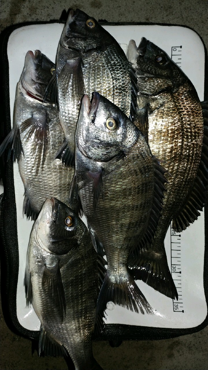
전날 잡아올린 감성돔입니다.
파도가 없어도 감성돔이 얼굴을 비추네요..
굵은씨알의 감성돔이 간간히 보인 하루입니다.
조황은 당분간 계속 이어질 것으로 보입니다.
주말 감성돔낚시 즐기러 오세요..
출조전 현지에 바다상황을 문의하시고 출조하세요..
잡어퇴치용 민물새우 판매합니다..
*문의사항 있으시면 연락주세요
주소:강원도 동해시 일출로 73-1 바다낚시
연락처:033)532-1394
010-5017-1394
날씨는 화창하고 파도는 잔잔합니다.
어제와 바다상황이 비슷하네요..
전날 잡아올린 감성돔입니다.
파도가 없어도 감성돔이 얼굴을 비추네요..
굵은씨알의 감성돔이 간간히 보인 하루입니다.
조황은 당분간 계속 이어질 것으로 보입니다.
주말 감성돔낚시 즐기러 오세요..
출조전 현지에 바다상황을 문의하시고 출조하세요..
잡어퇴치용 민물새우 판매합니다..
*문의사항 있으시면 연락주세요
주소:강원도 동해시 일출로 73-1 바다낚시
연락처:033)532-1394
010-5017-1394







