감성돔 많이 붙었나 봅니다
안녕하십니까?
감포 드림피싱입니다.
휴일이라 방파제마다 꾼들로 인산인해를 이루고 있네요.
오늘은 벵에돔 조황이 대체로 저조했고요,일부 포인트 일부 조사님만 씨알좋은 벵에돔을 여러수 올리셨으나 이미 회파티의 재료로 사용된 뒤네요.
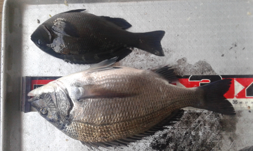
요사이 감성돔 소식이 자주 들리네요.
감성돔 많이 붙은듯 한데요 아직 밤낚시보다 낮낚시 조과가 좋은듯 합니다.
생활낚시 최고의 대상어인 고등어는 잔씨알 큰씨알 섞여 올라오는데 마리수에서 미흡하네요.
학공치는 여전히 바글한데 잘잡는 분도 있고 입질도 못받는 조사님도...
내일은 북동-동풍이 다소 부는 구름많은 날씨랍니다.
편안한 밤 되세요.
항상 감사합니다.
