양포 방파제 (6/19 벵에돔 조황) 바다상황 입니다.
안녕 하세요? 포항 양포 솔밭낚시 입니다.
안개가 넓게 펼쳐져 있는 바다는, 북동풍이 다소 있는 흐린 아침 입니다.
물때 조금 만조 10:55, 22:24 간조 03:59, 16:59 이며, 표층수온 21.5도의 분포 입니다.
북동 기류의 유입으로 오후엔 외항쪽 낚시가 어려울 것으로 예상이 되며, 전구간 벵에돔 조황은 작은 씨알이나마 이어질 것으로 전망 됩니다.
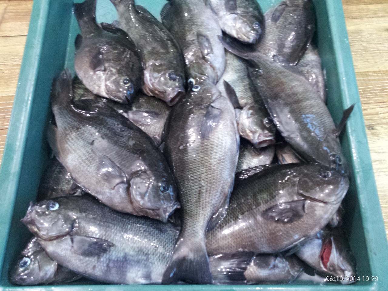
어제는 다소 강한 남동풍과 조류의 엇박자로 아주 불편한 상태의 낚시가 이루어졌으며, 조금은 흐렸던 기상이나 애기 벵에돔의 부상은 활발 하였고, 밑밥의 활용이 제대로 된다면 손바닥 씨알(25cm내외)의 조과는 마리수로 맛볼수 있었던 상태로 보여졌습니다.
밑밥과 미끼의 동조가 아니라, 분리 시켜야 애기 벵에의 등살에서 벗어날수 있는 상황으로 이러한 상태가 당분간 지속될 것으로 보여지니 참고 바랍니다.
오늘도 안전운전 안전즐낚 잊지 마시고, 건강한 하루 되시길 바랍니다.
감사 합니다.
포항 양포 솔밭낚시 054 - 284 - 1180 010 - 3802 - 0960
네비 주소 포항시 남구 장기면 신창리 421-2 번지 (동해안로 3360 - 23)
♣♣♣ 쓰레기 되가져오는 습관으로 깨끗한 낚시 환경을 만듭시다.!!








