양포 방파제 (6/25 벵에돔) 바다상황 입니다.
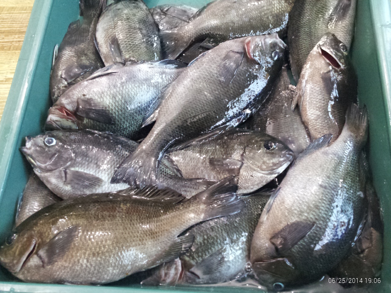
오후 늦은 시간 안사장님 27cm 이하
안녕 하세요? 포항 양포 솔밭낚시 입니다.
흐린 안개가 자욱하게 깔린 바다는, 바람과 파도가 없는 조용한 아침 입니다.
물때 6물 만조 14:31 간조 05:55, 22:39 이며, 표층수온 20.7도의 분포를 보이고 있습니다.
오전엔 바람이 없으나 오후에는 남동풍이 조금은 강해질 것으로 예상이 되며, 해거름엔 조금 누그러들 것으로 예상 됩니다.
오늘도 애기 벵에의 등살에 많이 시달릴 것으로 보이나, 밑밥 활용이 제대로 된다면 손바닥 씨알은 마리수의 조과를 볼수 있을 것으로 생각 됩니다.
6/25 조황: 수온의 상승에 힘입어 애기 벵에의 개체수와 활동량이 많아 아주 어려운 낚시가 되었고, 남동풍 마져 다소 강해 어려움이 가중된 낚시 상황이었습니다.
애기 벵에의 등살에 수심층이 많이 유동적이었고, 40cm~2m 권을 공략한 결과물 입니다.
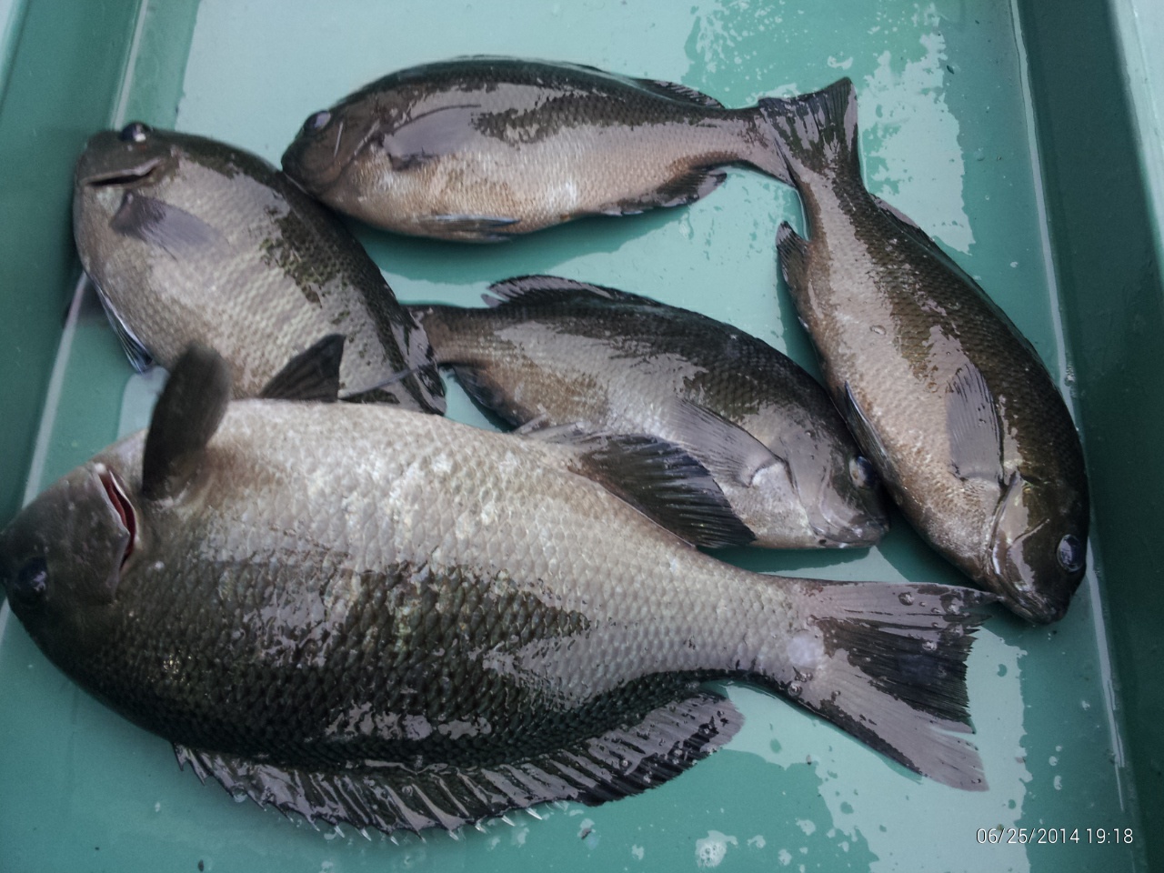
해거름엔 씨알급이 잠시 부상하는 모습을 보였고, 사진엔 담질 못하였지만, 씨알급(30cm 이상) 마리수의 조과가 있었던 전언이니 참고 바랍니다.
오늘도 안전운전 안전즐낚 바라며, 건강하고 기분 좋은 날 되시길 바랍니다.
감사 합니다.
포항 양포 솔밭낚시 054 - 284 - 1180 010 - 3802 - 0960
네비 주소 포항시 남구 장기면 신창리 421-2 번지 (동해안로 3360 - 23)
♣♣♣ 쓰레기 되가져오는 습관으로 깨끗한 낚시 환경을 만듭시다.!!
안녕 하세요? 포항 양포 솔밭낚시 입니다.
흐린 안개가 자욱하게 깔린 바다는, 바람과 파도가 없는 조용한 아침 입니다.
물때 6물 만조 14:31 간조 05:55, 22:39 이며, 표층수온 20.7도의 분포를 보이고 있습니다.
오전엔 바람이 없으나 오후에는 남동풍이 조금은 강해질 것으로 예상이 되며, 해거름엔 조금 누그러들 것으로 예상 됩니다.
오늘도 애기 벵에의 등살에 많이 시달릴 것으로 보이나, 밑밥 활용이 제대로 된다면 손바닥 씨알은 마리수의 조과를 볼수 있을 것으로 생각 됩니다.
6/25 조황: 수온의 상승에 힘입어 애기 벵에의 개체수와 활동량이 많아 아주 어려운 낚시가 되었고, 남동풍 마져 다소 강해 어려움이 가중된 낚시 상황이었습니다.
애기 벵에의 등살에 수심층이 많이 유동적이었고, 40cm~2m 권을 공략한 결과물 입니다.
해거름엔 씨알급이 잠시 부상하는 모습을 보였고, 사진엔 담질 못하였지만, 씨알급(30cm 이상) 마리수의 조과가 있었던 전언이니 참고 바랍니다.
오늘도 안전운전 안전즐낚 바라며, 건강하고 기분 좋은 날 되시길 바랍니다.
감사 합니다.
포항 양포 솔밭낚시 054 - 284 - 1180 010 - 3802 - 0960
네비 주소 포항시 남구 장기면 신창리 421-2 번지 (동해안로 3360 - 23)
♣♣♣ 쓰레기 되가져오는 습관으로 깨끗한 낚시 환경을 만듭시다.!!








