기장권 조황~~!
무더위를 조금이나마 날려버리기 위해
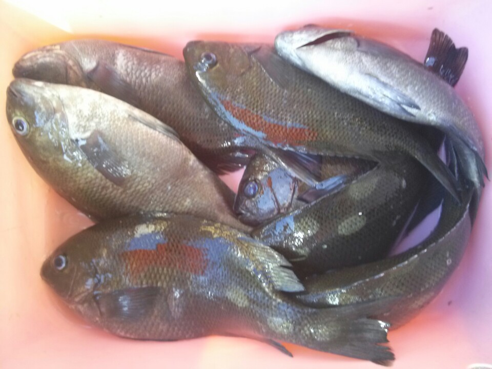
임랑방파제에 나가보았습니다
마릿수 벵에돔 조과를 만나볼 수있었습니다^^
인근 학리방파제에 다녀오신 단골조우님께서도
마릿수 벵에돔 조과가 있었다고 전해주셨답니다
항상 건강에 유의하시고 즐거운 휴가철 보내시기 바랍니다!
일광은파낚시 721-7898
임랑방파제에 나가보았습니다
마릿수 벵에돔 조과를 만나볼 수있었습니다^^
인근 학리방파제에 다녀오신 단골조우님께서도
마릿수 벵에돔 조과가 있었다고 전해주셨답니다
항상 건강에 유의하시고 즐거운 휴가철 보내시기 바랍니다!
일광은파낚시 721-7898


