야 밤 감성돔 조황

안녕 하세요 패밀리 입니다 ^^
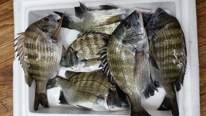
어젯밤 야간 감성돔 탐사 다녀 왔습니다 결과는 여섯마리
그리고 잔씨알 엄청 많이 기준치 미달은 집으로 민락동 일때 감성돔이
많이 붙었는가 봅니다 입질도 시원하고 콕콕 처박고 올라 오는 손맛이 아주 좋아요
ㅇ ㅑ 밤 감성돔 낚시 강추 합니다 조용하고 좋습니다
벵에돔 숙성미끼 판매합니다
*패밀리낚시*☏010-3894-1782 ☏:752-5587
민락동 MBC방송국 맞은편 50m위62번종점옆
민락동28-12번지
★평일 밤12시 금.토 새벽2시까지 영업합니다
싱싱한 청개비 항상 대기중
어젯밤 야간 감성돔 탐사 다녀 왔습니다 결과는 여섯마리
그리고 잔씨알 엄청 많이 기준치 미달은 집으로 민락동 일때 감성돔이
많이 붙었는가 봅니다 입질도 시원하고 콕콕 처박고 올라 오는 손맛이 아주 좋아요
ㅇ ㅑ 밤 감성돔 낚시 강추 합니다 조용하고 좋습니다
벵에돔 숙성미끼 판매합니다
*패밀리낚시*☏010-3894-1782 ☏:752-5587
민락동 MBC방송국 맞은편 50m위62번종점옆
민락동28-12번지
★평일 밤12시 금.토 새벽2시까지 영업합니다
싱싱한 청개비 항상 대기중






