기장권 조황~

신상품 소개


회원 랭킹


공지사항


NaverBand
[점주/선장] 방파제 조황 - 2014년
글 읽기만 가능합니다.

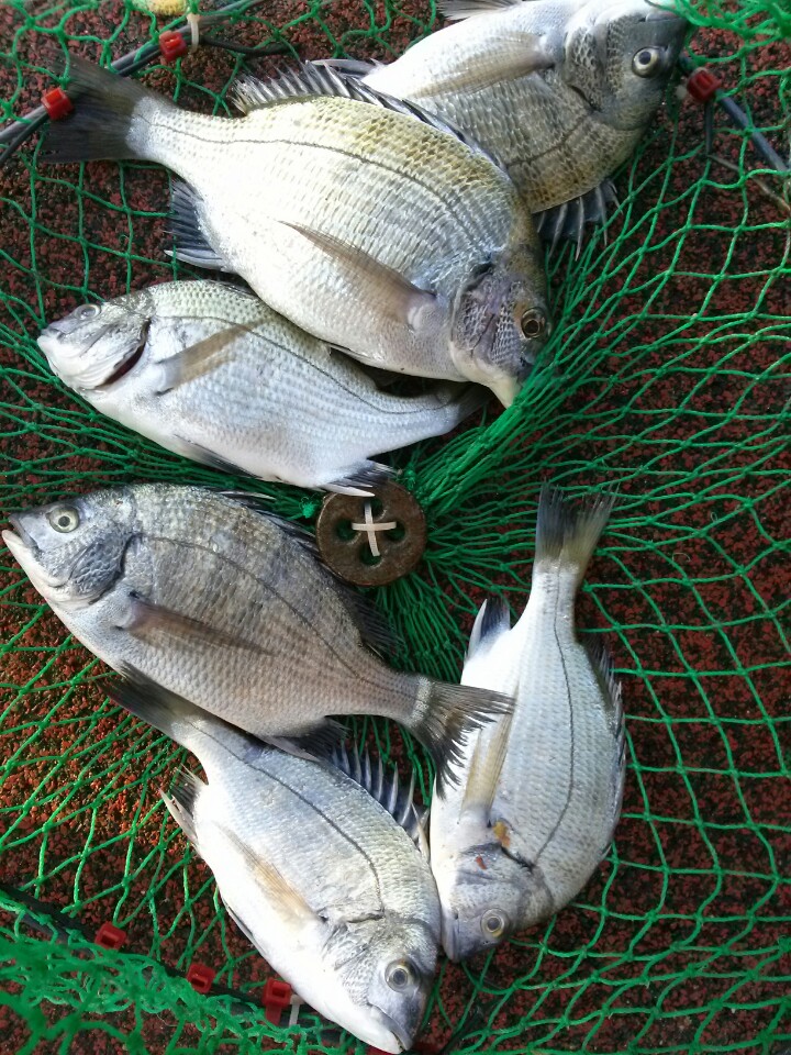
기장권 조황~

일광은파낚시 0 595 0
주말을 맞아 기장권에는
많은 분들이 찾아주셨습니다~^^
따로 들리지는 못하였지만
학리방파제에서 손맛보시고
가게에 들려주신 조우님 덕분에
감성돔 사진 한컷 담을 수 있었습니다
감사합니다!
새로운 한주도 활기차게 보내시기 바랍니다

### 민물새우 있습니다 ###

일광은파낚시 721-7898

0 Comments
 
제목
 


인낚 최신글


인낚 최신댓글


온라인 문의 안내


월~금 : 9:00 ~ 18:00
토/일/공휴일 휴무
점심시간 : 12:00 ~ 13:00