주말 기장권 조황~!
주말을 맞은 학리방파제의 풍경은
가족단위 나들이를 나오신 분들부터
주말인 기회를 삼아 손 맛보러 나오신
조우님까지 북적인 하루였습니다
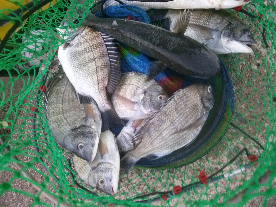
한 조우님의 살림망에는 감성돔 9수가 담겨 있었고,
벵에돔, 숭어와 전어, 메가리 등
다양하게 올라왔습니다
서생 골매 갯바위로 손맛보러가신 조우님께서는
30cm 씨알의 벵에돔 여러수를 잡아
사진으로 보내주셨네요 감사합니다^^
일광은파낚시 721-7898
가족단위 나들이를 나오신 분들부터
주말인 기회를 삼아 손 맛보러 나오신
조우님까지 북적인 하루였습니다
한 조우님의 살림망에는 감성돔 9수가 담겨 있었고,
벵에돔, 숭어와 전어, 메가리 등
다양하게 올라왔습니다
서생 골매 갯바위로 손맛보러가신 조우님께서는
30cm 씨알의 벵에돔 여러수를 잡아
사진으로 보내주셨네요 감사합니다^^
일광은파낚시 721-7898









