기장권 주말 조황~!!

신상품 소개


회원 랭킹


공지사항


NaverBand
[점주/선장] 방파제 조황 - 2014년
글 읽기만 가능합니다.

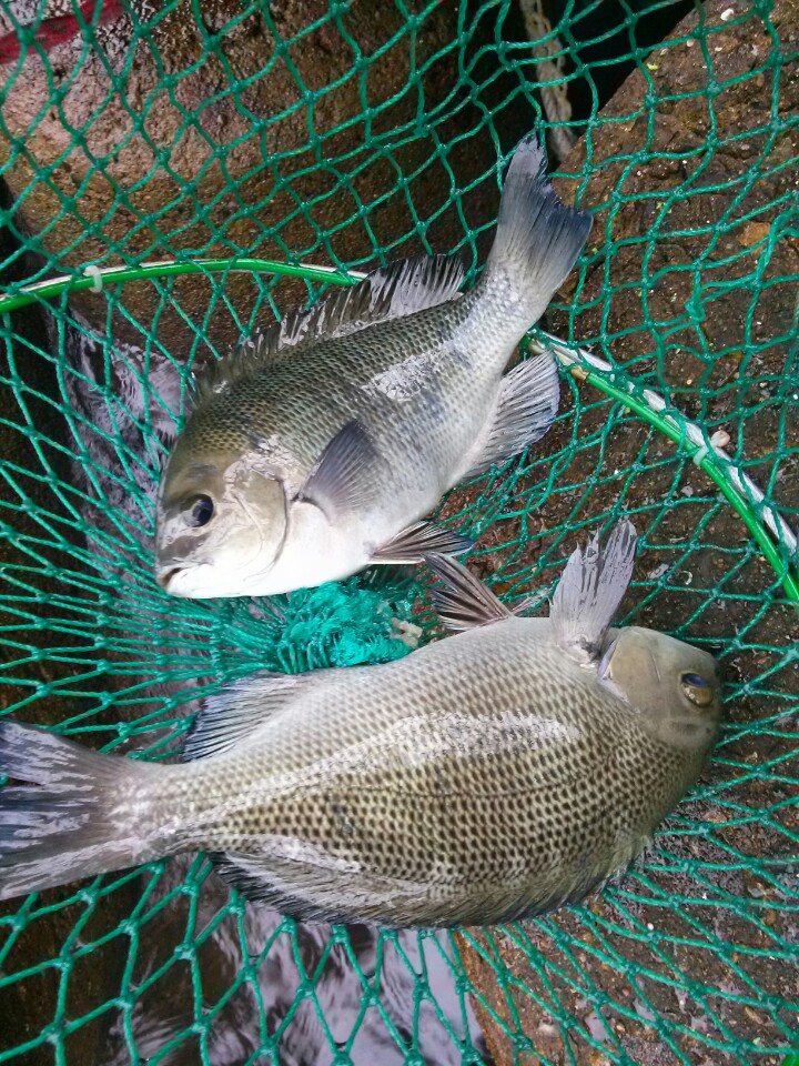
기장권 주말 조황~!!

일광은파낚시 0 564 0
어제 비가 내린 후 흐린 날씨를 보인오늘
방파제를 둘러보고 왔습니다
학리방파제와 월내방파제에가보니
수심 깊은곳에서는 팔뚝사이즈
숭어도 올라오고있었고
벵에와 전어도 비추고있었습니다
오늘 마릿수는 조금 아쉬운편이네요
감시도 간간히 올라왔지만 방생사이즈였습니다

늘건강에 유의하시고
안낚하세요^^

#### 민물새우 있습니다 ####

일광은파낚시 721-7898

0 Comments
 
제목
 


인낚 최신글


인낚 최신댓글


온라인 문의 안내


월~금 : 9:00 ~ 18:00
토/일/공휴일 휴무
점심시간 : 12:00 ~ 13:00