볼락.열기ㅡ내일 오후 출항~절찬리에 예약중입니다.

신상품 소개


회원 랭킹


공지사항


NaverBand
[점주/선장] 선상(배) 조황 - 2020년
글 읽기만 가능합니다.

볼락.열기ㅡ내일 오후 출항~절찬리에 예약중입니다.

신항만버스낚시 0 235 0
top01.png

포항제우스호

포항 제우스호

top02.png
현재ㅡ풍랑주의보로ㅡ
볼락.열기ㅡ출항은 내일ㅡ오후부터 출항합니다.
절찬리에 예약중입니다.
· 출조일시2020-12-31(목)
· 출조인원1명
· 어종열기,볼락

?포항선상낚시

제/우/스/호

Best Of Best


문의 

010-7234-8522


농협

717042-56-021254

손홍린?

 

포항시 북구 흥해읍 용한리 7-8

버스낚시편의점


NAVER BAND

 

블로그 참조

blog.naver.com/kogji0805

 

제우스호의 특징


타 선박이 절대 흉내조차 낼 수 없는 제우스만의 특징

도다리낚시의 특징상 낚시 개인간격이 넓어야만

?옆 사람하고의 채비 엉킴을 최소화할 수 있습니다.


?제우스호는 배 길이가 28m

특히나 요즘같은 시국에서는

낚시 개인 간격이 최소 2m이상은 되어야 안심이 되겠죠

2m 이상 되는 선상배 없어요


# 전국에서 가장 크고 "배 길이 28m" 최대형 안전한 선상 전용배

설계도면 그대로 건조한 것도 제우스호가 유일하죠


#통로폭이 "1m50cm 엄청 넓어서 배 앞뒤 어디에서도 마음놓고 낚시가능

#남녀 화장실 따로,, 여자 화장실이 선실 내부에 깔끔하게 준비되어있지요

#배 앞뒤 평행수로 배 흔들림 최소화~멀미 최소화~

#넓은 휴식공간 두 곳~배 바닥 나무로 마감~ 그냥 앉아서 편안하게


?#법적 안전 장비,해상안전보험 120% 가입 

#그 외는 타 선박이 쪼매는 따라 할 수가 있는 것들~~ 

 

12월31일ㅡ목요일.
오늘도 한파는 계속 이어지고ㅡ
어제보다는 바람이 약해지고ㅡ
파도는 힘이 있으며 물색은 탁합니다.
오늘이ㅡ2020년 마지막 날이며ㅡ
내일은 2021년 첫 날입니다.
오늘까지 풍랑주의보로 출항을
하지 못하는 상황이고요~
내일은 출항은 가능하나ㅡ
정부지침에 해돋이 관광명소를
비롯한 모든 집결지는 패쇄되었습니다.

바다날씨로 보았을때ㅡ오전ㅡ출항은
가능하나ㅡ
각 선사마다 선장님의 의사에 반하여
다를 수 있습니다.

저희 제우스호는 오후 출항을
하기로 결정하였습니다.
해도 뜨고 기온도 영상으로
올라오고ㅡ파도도 어느정도
잔잔한 상황이라 안전하다고
판단됩니다.
참고하시고요~

**볼락.열기 출항 일정안내입니다**
12월31일ㅡ목요일ㅡ기상악화로 휴항중입니다.
1월1일ㅡ금요일ㅡ오후ㅡ1시ㅡ출항.
절찬리에 예약중입니다.
1월2일ㅡ토요일ㅡ오전.오후ㅡ출항.
절찬리에 예약중입니다.
1월3일ㅡ일요일ㅡ오전.오후ㅡ출항.
절찬리에 예약중입니다.
1월4일ㅡ월요일ㅡ오전ㅡ8시ㅡ출항.
절찬리에 예약중입니다.
1월5일ㅡ화요일ㅡ오전ㅡ8시ㅡ출항.
절찬리에 예약중입니다.
1월6일ㅡ수요일ㅡ오전ㅡ8시ㅡ출항.
절찬리에 예약중입니다.
주말 예약은 조금 서둘러주시고요.

볼락.열기입질이 날이 좋고 나쁨의
차이가 있습니다.
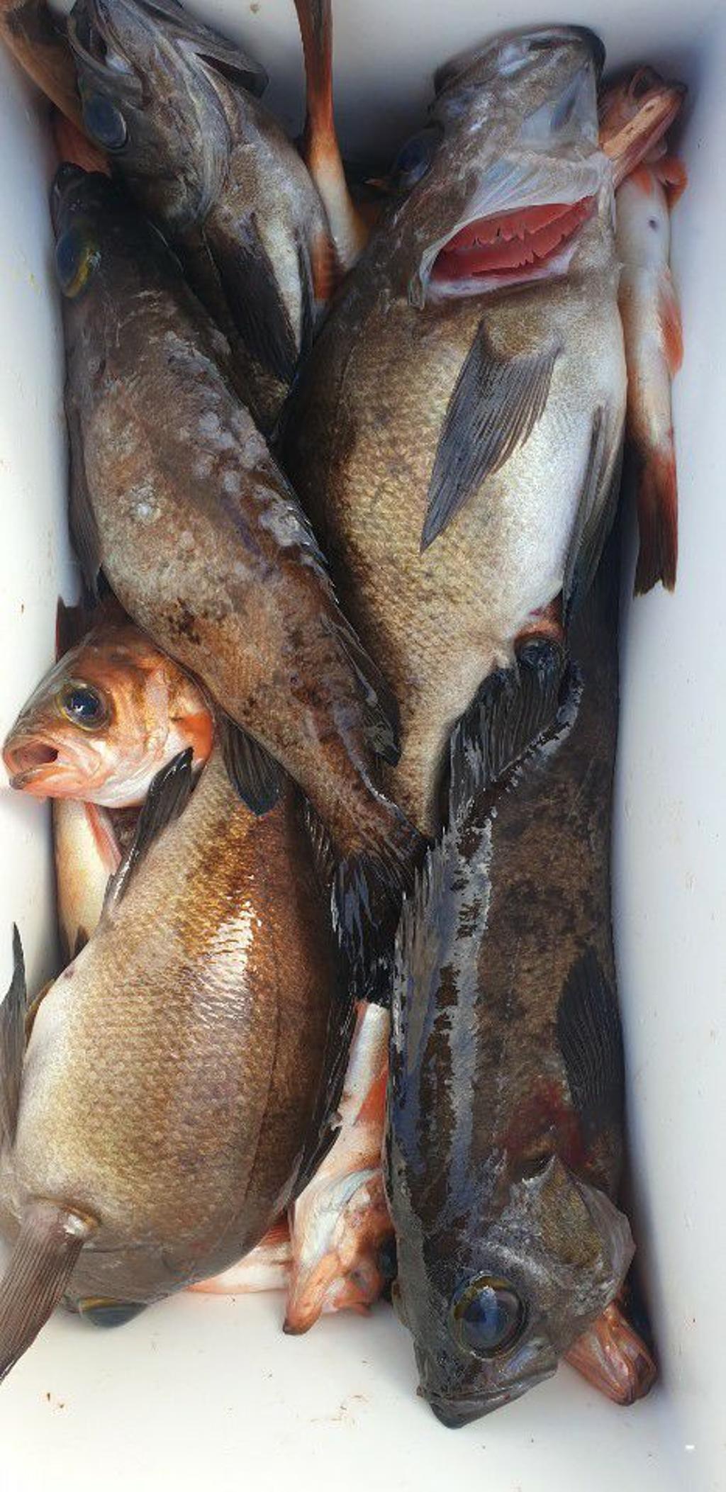
마지막날 조황 쿨러조황 올려드리오니
참고하시고요~

2020년 한 해동안 잘 버티고 잘 해오셨습니다.
수고많으셨습니다.


2021년 새로운 한 해는 꽃길만
걷는 날만 되기를 바라겠습니다.
오늘도 즐겁고 행복한 시간되소서~
포항.제우스.
010-7234-8522.
F1199404LK.jpg

F119940319.jpg

F1199402KP.jpg

F1199401W5.jpg

F1199400BX.jpg

F1199399O6.jpg

F119939803.jpg

F1199397Q8.jpg

F1199396W3.jpg

F1199395OX.jpg

F1199394BL.jpg

F1199393PF.jpg

F1199392QL.jpg

F1199391LY.jpg

F11993900V.jpg

F11993896R.jpg

F11993880T.jpg

F1199387GH.jpg

F1199386E3.jpg

F1199385B8.jpg

F1199384M1.jpg

??포항 영일만항

제/우/스/호


문의 

010-7234-8522

054-241-1098


포항시 북구 흥해읍 용한리 7-8

버스낚시편의점


신주소

경북 포항시 흥해읍 영일만항로 124


내비주소

경북어업기술센터

포항영일만해양파출소

버스낚시

예약은 입금 순선대로 접수 받고 있습니다.


제우스호 환불 규정

## 출항 3일전 취소시 환불 불가 ###

### 예약 완료 시 날짜변경 &환불 불가 ###

###기상 악화로 출항 취소시 100% 환불 해드립니다###


### 기상악화 출항여부는 당일 날짜,

시간대와 상관없이 천재지변이므로, 

안전과 관련된 사항으로 

출항을 하지 못할 수도 있으므로 

숙박시설 예약시 참고하시기 바랍니다.


# 출항시간 #


주말 오전 항차 

출항 : 오전 7시 집결 ~ 7시30분 출항 

입항: 12시입항

 

주말 오후 항차

출항 : 오후  13시 집결 ~ 13시30분 출항

입항: 18시입항

 

평일 오전 8시 30분 집결 ~ 9시 출항

입항 : 오후 14시

# 평일 출항시간대는 사정에 따라 조정이 가능합니다.


!! 여성 전용 화장실이 다로 있습니다 !! 


이유없이 방구내고 전화 안받고 하시는 몇몇 분들 때무에 조금 불편하셔도 입금 부탁드립니다.(죄송....)


NAVER BAND 

 

블로그 참조

blog.naver.com/kogji0805

 

농협

717042-56-021254

손홍린?

??


 

네비주소 :포항시 북구 흥해읍 용한리 7ㅡ8번지

예약문의

010-7234-8522

농협

717042-56-021254

손홍린

nopic_cptn.jpg

포항제우스호

포항 제우스호

손용철 선장

590
항구명 영일만항
승선인원 20명
출조점명 포항제우스
배 타는 곳영일만신항북방파제
홈페이지 바로가기 Click
낚시뚜

0 Comments
 
제목
 


인낚 최신글


인낚 최신댓글


온라인 문의 안내


월~금 : 9:00 ~ 18:00
토/일/공휴일 휴무
점심시간 : 12:00 ~ 13:00