이유
[이용주의] 중복 조황, 즉 이미 올렸던 조황을 다시 올리면 글 삭제 및 이용정지 조치됩니다.
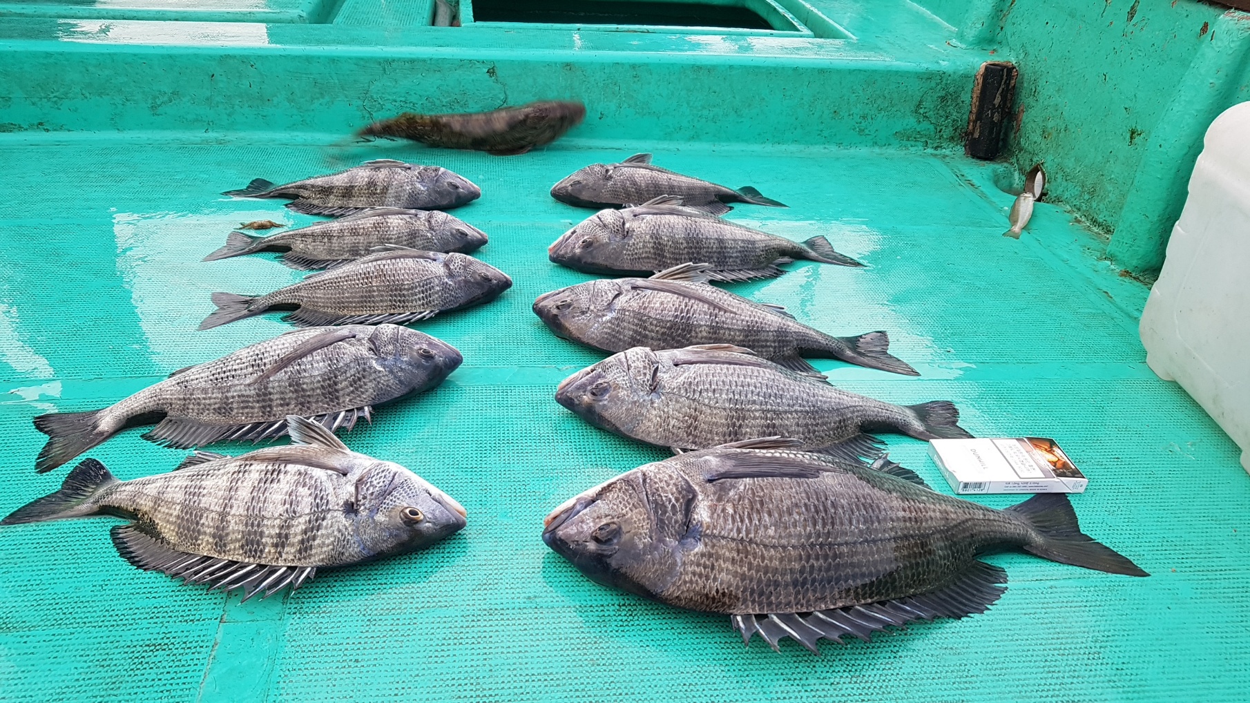
요즘조황을올리지 못했습니다때문인지 궁금해 하시는분들이 많으시네요 명색이 선상인데 한분에3수 이상 은 하셔야지조황 아닐까요, 점주개인생각입니다!
요즘조황을올리지 못했습니다때문인지 궁금해 하시는분들이 많으시네요 명색이 선상인데 한분에3수 이상 은 하셔야지조황 아닐까요, 점주개인생각입니다!







