5짜4짜4짜4짜4짜4짜4짜4짜3짜대물감성돔 낼예약중
안녕하세요 고성맥전포창조호입니다
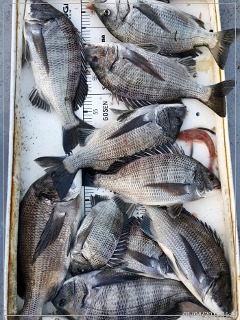
오늘은 1분모시고 욕지권 다녀왔습니다
다섯빵 놓고 이만큼 했습니다
낼출조합니다 같이하실분전화주세요
감사합니다
1월예약미리미리주세요창조호는10톤입니다
카고낚시는6분까지합니다
♡♡단체 독배시는 22명까지가능♡♡
단 한분이라도 출조합니다 전화주세요
선장폰 010-3597-7509
선장예비폰 011-550-7509
*******12윌감성돔카고 출조안*****
먼바다 어초로 갑니다
♡♡♡2017년1월♡♡♡
5일 감성돔 카고예약중
7일 감성돔 카고예약중
8일 감성돔 카고예약중
9일 감성돔카고 예약중
10일 감성돔 카고예약중
11일감성돔카고예약중
쭉예약됩니다
먼바다카고 예약중 창조호1호( 10톤 ). 2(5톤급 )호매일 빵빵달리고있습니다
^^참고사항^^
신분증필히 지참하세요( 스티커 받을수있습니다)
구명조끼 필히차용(배 선내 배치중 )
술은 절대 가지고탑승하지마세요(스티커받을수있습다)
♡♡♡♡♡쭈꾸미갑돌이 문어 출조안내 ♡♡♡♡♡
06시출항 오후3시철수 종일낚시로 갑니다
♡♡♡♡♡겨울 감성돔카고흘림 종일안내♡♡♡♡♡
새벽6시출항 오후2시전후철수문어 쭈꾸미 갑돌이생활낚시모든장르^^선비6만원^^ 입니다"단" 사량권7만 두미욕지권8만입니다( 음료수 생수 도시락밑밥문의) (점심시간 에어콘가동)가족 연인 회사단체 누구나 쉽게 할수있는 생활낚시도전해보세요 즐거은 추억이 되리라 생각합니다감사합니다문어 쭈꾸미 낚시대 무료 대여중 고장내면 수리비청구
♡♡♡♡♡창조호 제원 ♡♡♡♡♡♡
10톤 승선인원22명5톤 승선인원11 명 항시대기창조호 1.2호 선상전용선 입니다화장실 휴게실등 편의시설이 갖추어져있으며흔틀림이 적어 낚시하는데 불편함이 없고 편안하고 즐거은 낚시여행이 보장될것입니다
♡♡♡♡♡창조호 숙박시설 무료개방 ♡♡♡♡♡♡
사워시설 화장실 모두 갖추어져있고 에어콘도 빵빵하게 됩니다하루전 도착 후 잠자실분은 미리 말씀해주시면 됩니다주소: 고성군하일면춘암리840 8번지맥전포삼거리창조낚시







