거제권 야간감성돔 조황(씨알,마리수)
오늘 4분 손님 모시고 야간감성돔 다녀왔습니다.
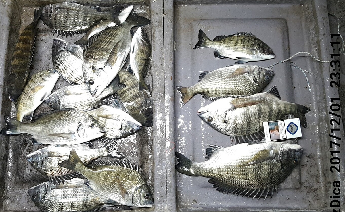
수온은 비슷한데 활성도가 조금 살아났는지 씨알좋은 감성돔들이 연신 입질을 해주네요
씨알은 20초중반부터 4짜까지 나오고 금일은 3짜이상 4짜 초반급들이 제법 나왔습니다.
앞으로 좋은물때, 좋은 날씨가 계속되니 조황은 기대해볼만 합니다.
토요일은 예약완료고 이후로 쭉 예약 가능합니다.
함께 나가실분 연락주세요~~^^
협력선단 : 대동낚시
수온은 비슷한데 활성도가 조금 살아났는지 씨알좋은 감성돔들이 연신 입질을 해주네요
씨알은 20초중반부터 4짜까지 나오고 금일은 3짜이상 4짜 초반급들이 제법 나왔습니다.
앞으로 좋은물때, 좋은 날씨가 계속되니 조황은 기대해볼만 합니다.
토요일은 예약완료고 이후로 쭉 예약 가능합니다.
함께 나가실분 연락주세요~~^^
협력선단 : 대동낚시







