한산권 감성돔 마릿수~~!!(선상 카고)
통영 원평낚시입니다.
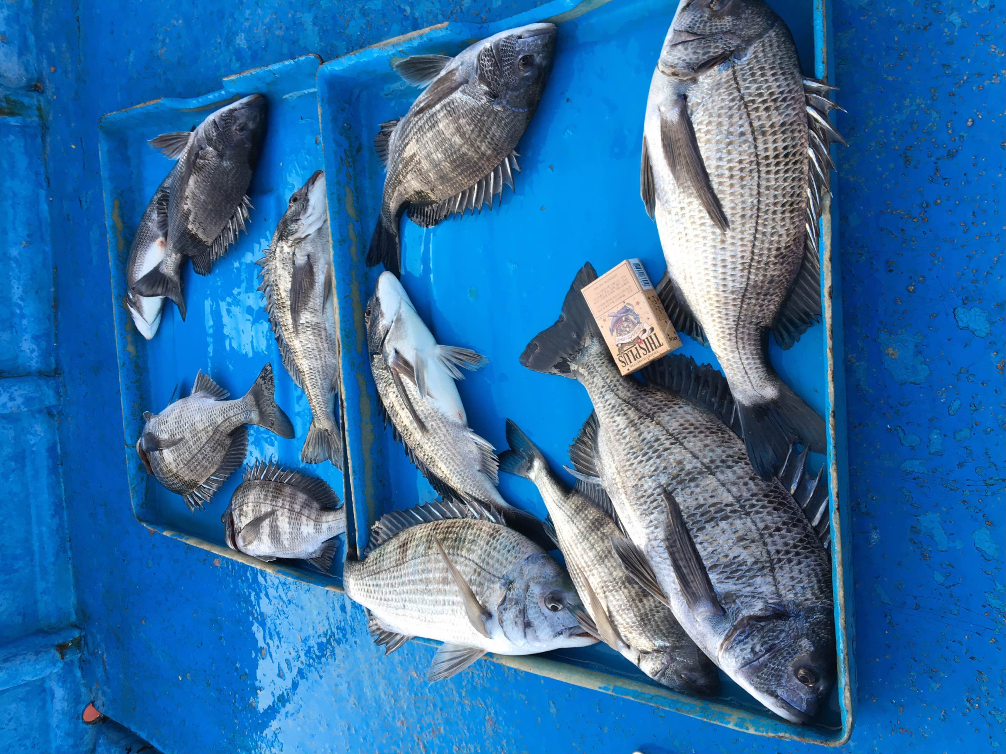
2016년 마지막날 감성돔 조황입니다.
통영 백사장님과 부산 정사장님 두분 모시고 다녀왔습니다.
여기저기 돌아다니며 낚시하여 마릿수 감성돔을...
48센치 감성돔이하 10여수 조황사진입니다.
인낚회원님들 새해에는 좋은 일만 가득하시길 바랍니다.
----------------------- 출 조 문 의 --------------------------
통영원평낚시 : 055-649-8885
핸드폰 : 010-2728-8883






