진동 감성돔 출조 안내/ 뉴~에이스호
▶글을 삭제하고 다시 올리는 비양심적인 행위를 금지함에 따라 본문글 수정/삭제 기능을 폐지합니다.
▶조황글 작성시 낚시를 다녀오신 출조인원을 정확히 선택해 주시기 바랍니다.
안녕하셔요.
진동 뉴~에이스호입니다.
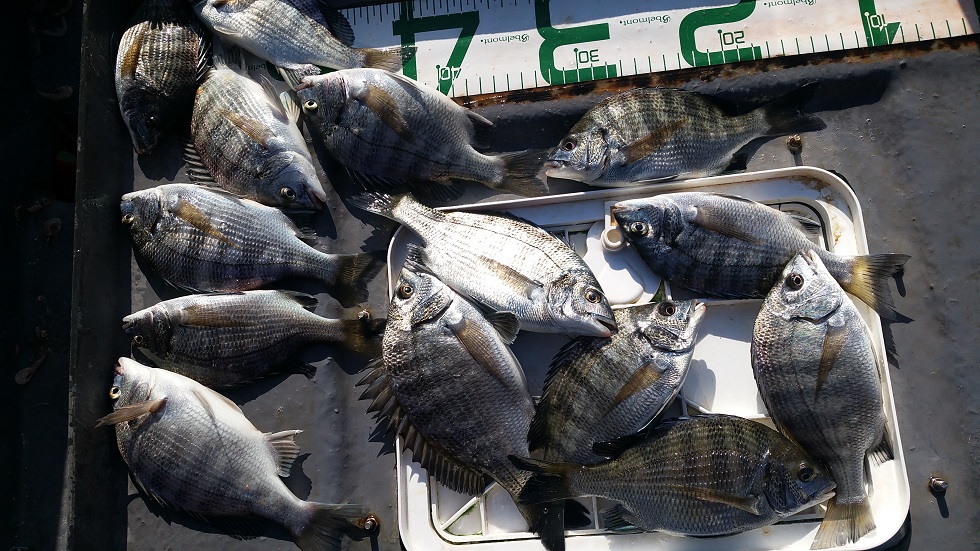
사진 조항은 거저께 겁니다 참고하시고요.
씨알은 작지만 손맛은 좋네요.
내일은 정상 출조합니다.
날씨가 차가우니 옷 따시게 입고오셔요.
내일은 물때가 좋아서 많은 조과를 기대해봅니다.
동행 출조하실분 연락 주셔요.
이제 2015년도 몇일 남지 않았네요.
모두들 건강하시고 한해 마무리도 잘하시고 새해는 복많이 받으시고
가정에 행복과 행운이 늘 함께하시기 바랍니다.
*,커피와 생수 & 간단한 식사도 제공합니다.
▶조황글 작성시 낚시를 다녀오신 출조인원을 정확히 선택해 주시기 바랍니다.
안녕하셔요.
진동 뉴~에이스호입니다.
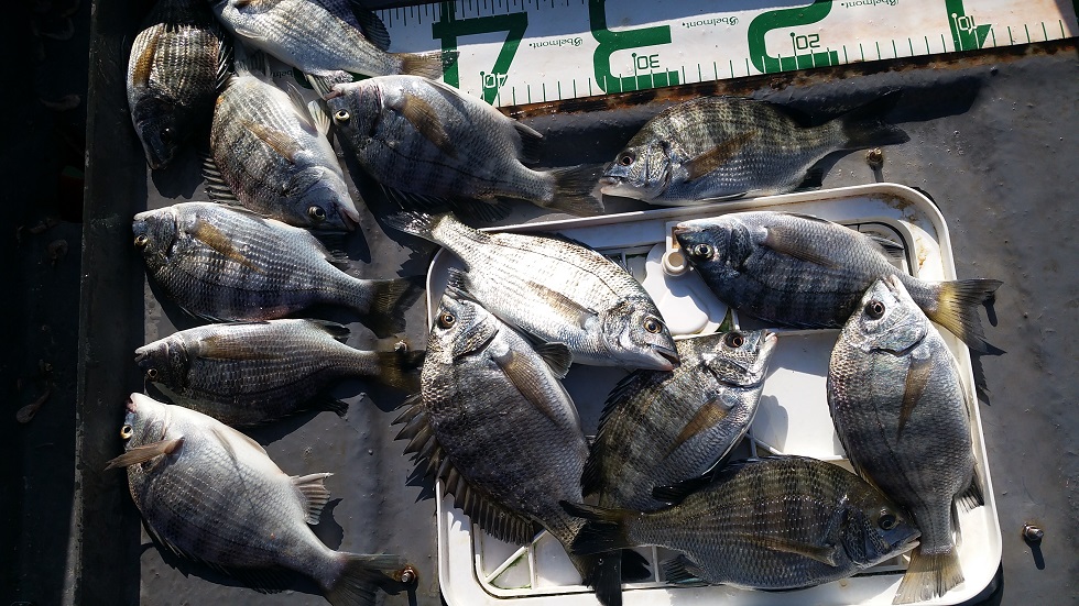
사진 조항은 거저께 겁니다 참고하시고요.
씨알은 작지만 손맛은 좋네요.
내일은 정상 출조합니다.
날씨가 차가우니 옷 따시게 입고오셔요.
내일은 물때가 좋아서 많은 조과를 기대해봅니다.
동행 출조하실분 연락 주셔요.
이제 2015년도 몇일 남지 않았네요.
모두들 건강하시고 한해 마무리도 잘하시고 새해는 복많이 받으시고
가정에 행복과 행운이 늘 함께하시기 바랍니다.
*,커피와 생수 & 간단한 식사도 제공합니다.


