12월 16일 조황
12월 16일 물때 6물
오늘은 북서풍이 강하게
분답니다.
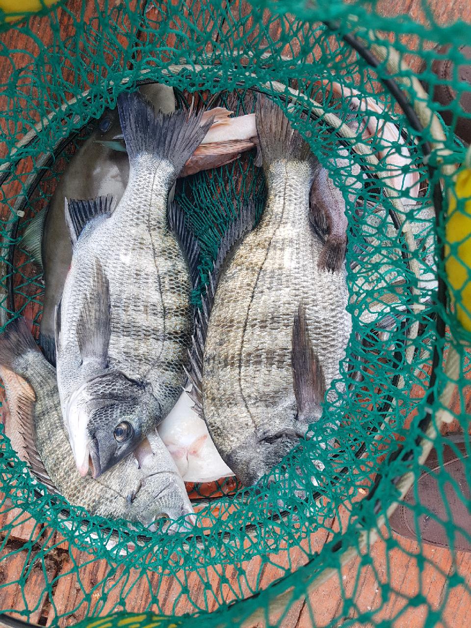
현진씨팀도 감성돔 손 맛 보셨고
부산 영화팀은
갑오징어,문어 등 잡으셨네요.
야간에 천국입니다~
선장님: 010-6661-6300
주소: 경상남도 거제시 남부면 남부해안로 1056
오늘은 북서풍이 강하게
분답니다.
현진씨팀도 감성돔 손 맛 보셨고
부산 영화팀은
갑오징어,문어 등 잡으셨네요.
야간에 천국입니다~
선장님: 010-6661-6300
주소: 경상남도 거제시 남부면 남부해안로 1056

