12월 7일 조황
12월 7일 물때 12물
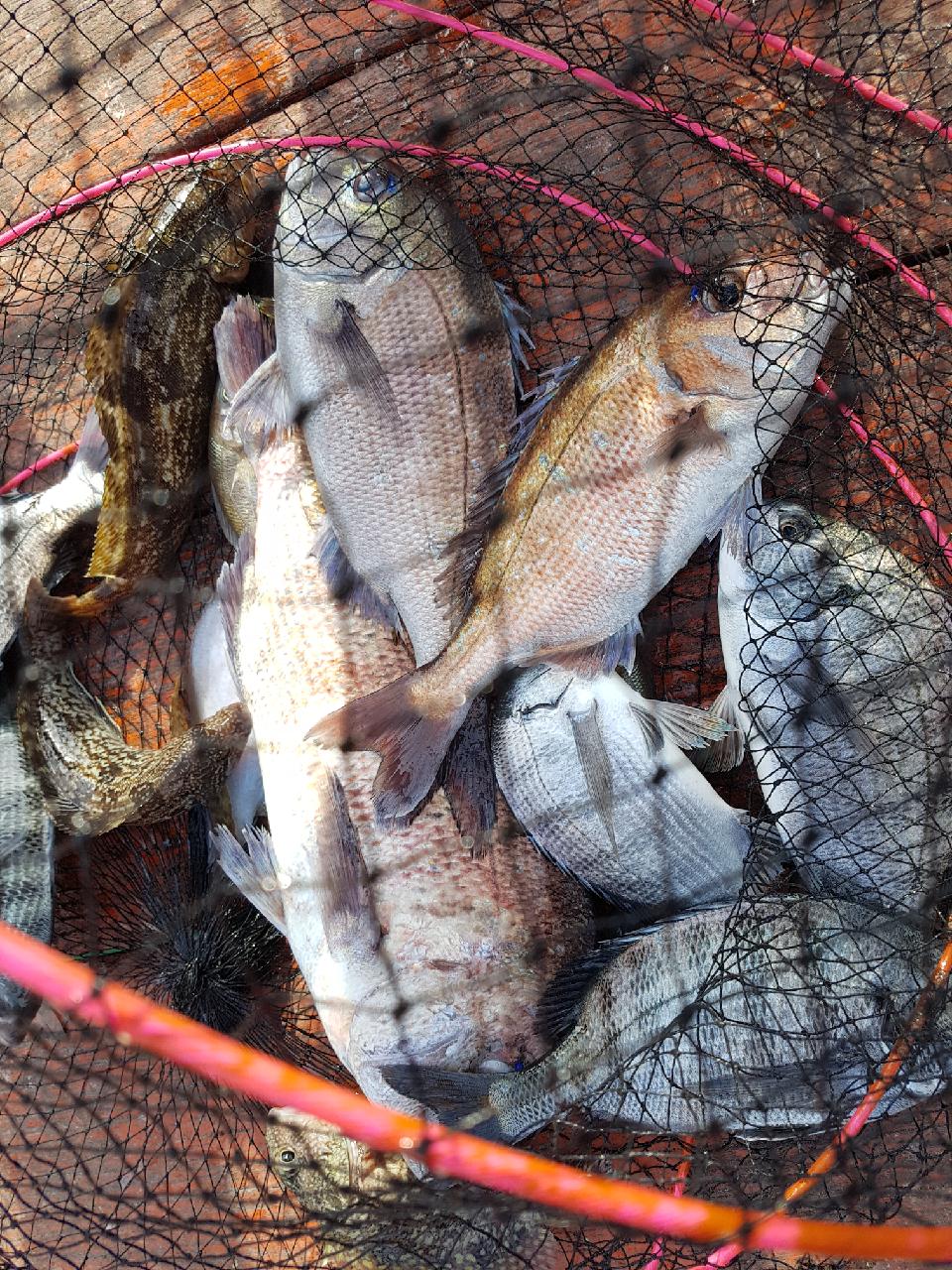
어제는 바다날씨가 좋았습니다.
전좌대 손님들 감성돔
손맛을 잘 보았습니다.
용인FNC도 감성돔 참돔
손맛 보셨고 울산 용접팀도
감성돔 재미 보셨는데
오늘 오후엔 벌써부터
좌대 뒤편에 뻥티기하는
염치꾼이 있네요.
어제는 바다날씨가 좋았습니다.
전좌대 손님들 감성돔
손맛을 잘 보았습니다.
용인FNC도 감성돔 참돔
손맛 보셨고 울산 용접팀도
감성돔 재미 보셨는데
오늘 오후엔 벌써부터
좌대 뒤편에 뻥티기하는
염치꾼이 있네요.

