미조바다낚시터 조항!!!
꾸벅!!!
미조정선장입니다
미조바다낚시터조항입니다
감성돔은안보이고 참돔만잡혔습니다
메가리도잡히고 학꽁치도보이기시작합니다
미조바다낚시터에즐거운낚시하러오세요!!!
출조문의
010-3867-4475
미조바다낚시터
경남 남해군 미조면 미조로 120
요금안내
당일 1인 20000원
숙박 1인 30000원
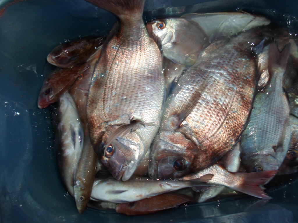
미조정선장입니다
미조바다낚시터조항입니다
감성돔은안보이고 참돔만잡혔습니다
메가리도잡히고 학꽁치도보이기시작합니다
미조바다낚시터에즐거운낚시하러오세요!!!
출조문의
010-3867-4475
미조바다낚시터
경남 남해군 미조면 미조로 120
요금안내
당일 1인 20000원
숙박 1인 30000원






