흑산 하태도 조황
① 출 조 일 :
② 출 조 지 :
③ 출조 인원 :
④ 물 때 : 3
⑤ 바다 상황 : 어제
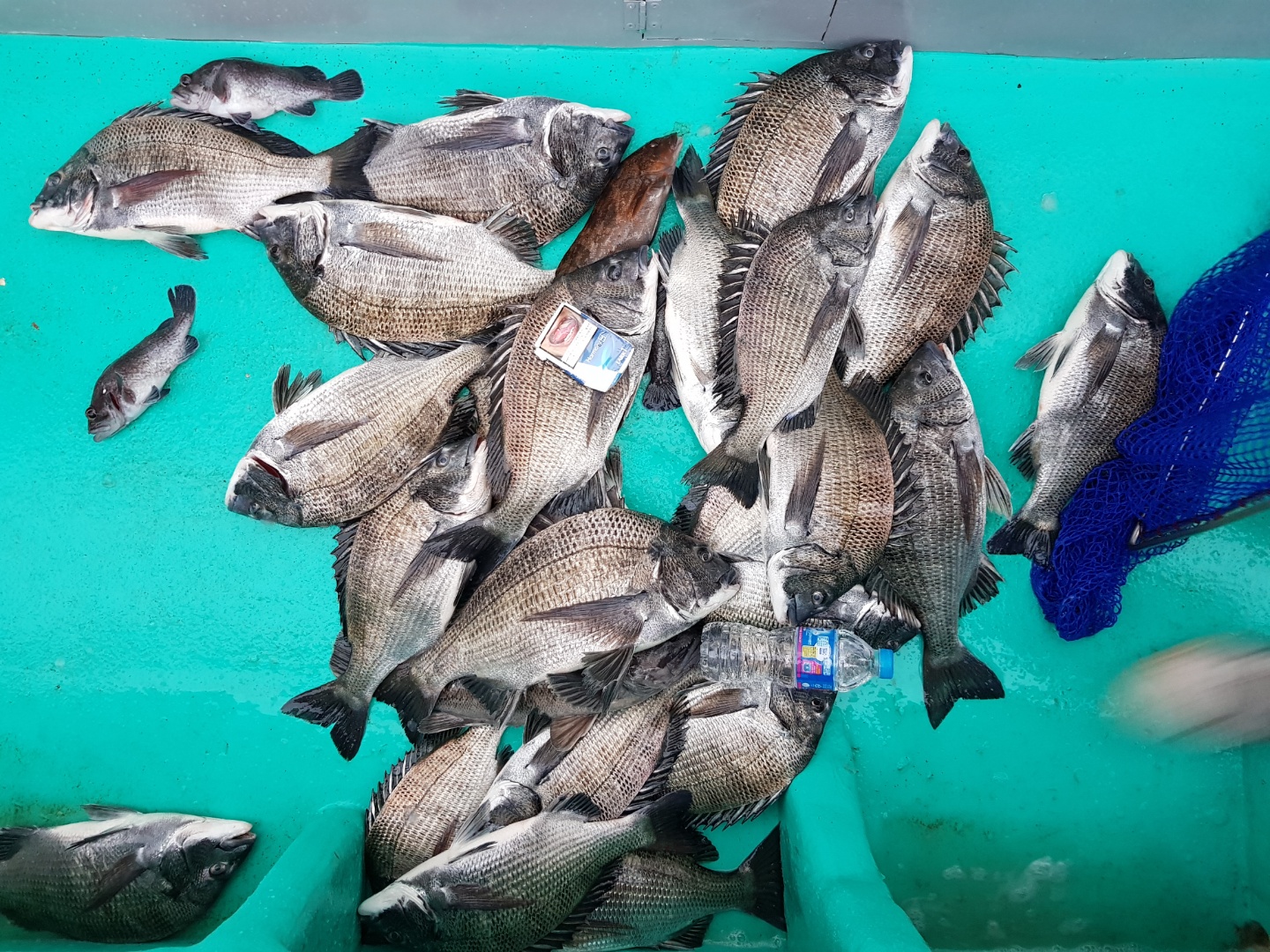
⑥ 조황 요약 : 저번주부터 쏟아지는 조황 3호목줄도 팅팅 민박사장님 말씀 목줄4호 주라고 하셨는데 제나름대로 3호면 먹겠지 했는데 그게 아니더군요
포인트는 전체적으로 다 잘나오는 편이고 입질이 예민한편입니다
하태도 새로운 민박 밴드 주소 남겨드릴테니 조사님들 한번가보셔요
https://band.us/band/76904203/post/6
② 출 조 지 :
③ 출조 인원 :
④ 물 때 : 3
⑤ 바다 상황 : 어제
⑥ 조황 요약 : 저번주부터 쏟아지는 조황 3호목줄도 팅팅 민박사장님 말씀 목줄4호 주라고 하셨는데 제나름대로 3호면 먹겠지 했는데 그게 아니더군요
포인트는 전체적으로 다 잘나오는 편이고 입질이 예민한편입니다
하태도 새로운 민박 밴드 주소 남겨드릴테니 조사님들 한번가보셔요
https://band.us/band/76904203/post/6








