벵....벵.....벵
① 출 조 일 : 10월7일
② 출 조 지 : 거제 갯바위
③ 출조 인원 : 2
④ 물 때 : 조금
⑤ 바다 상황 : 바람탱탱 ㅠㅠ
⑥ 조황 요약 :
안녕하세요..
요즘 주말만되면 날씨가 엉망이네요..
날씨가 좋은날은 일때메 출조를 못하네요..
좋은날 기다리다가는 궁디 곰팡이가 낄듯하여
바람이 불더라도 출조하였습니다.
오전 해뜨기전에 갯바위 진입하니. 아니나다를까
바람이 장난아니네요..
다행히 바다는 잔잔~^^
조금이지만 하선한곳은 물골자리라서 와류현상과
조류가 빠른편입니다..
후딱 채비를하고 낚시대를 담구니 원줄관리가 힘듭니다
바람때문에 낚시대에도 영향이 ㅠㅠ
원줄 열심히 관리하며 벵에돔을 공략..
오후가 다가오면서 바람이 더 강해지고 비까지 오기시작
바로 철수했네요
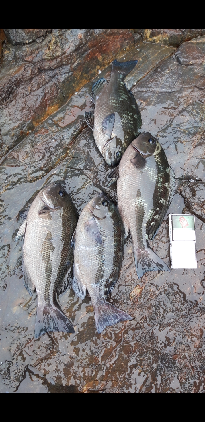
찬바람이 불면서 벵에들이 살도 찌고..씨알도 좋네요.
마릿수 조황이라 잔씨알은 방생하였습니다.
② 출 조 지 : 거제 갯바위
③ 출조 인원 : 2
④ 물 때 : 조금
⑤ 바다 상황 : 바람탱탱 ㅠㅠ
⑥ 조황 요약 :
안녕하세요..
요즘 주말만되면 날씨가 엉망이네요..
날씨가 좋은날은 일때메 출조를 못하네요..
좋은날 기다리다가는 궁디 곰팡이가 낄듯하여
바람이 불더라도 출조하였습니다.
오전 해뜨기전에 갯바위 진입하니. 아니나다를까
바람이 장난아니네요..
다행히 바다는 잔잔~^^
조금이지만 하선한곳은 물골자리라서 와류현상과
조류가 빠른편입니다..
후딱 채비를하고 낚시대를 담구니 원줄관리가 힘듭니다
바람때문에 낚시대에도 영향이 ㅠㅠ
원줄 열심히 관리하며 벵에돔을 공략..
오후가 다가오면서 바람이 더 강해지고 비까지 오기시작
바로 철수했네요
찬바람이 불면서 벵에들이 살도 찌고..씨알도 좋네요.
마릿수 조황이라 잔씨알은 방생하였습니다.











