장승포해안도로 낚시(벵에돔)
① 출 조 일 : 2019.05.17
② 출 조 지 : 거제 장승포해안도로
③ 출조 인원 : 2명
④ 물 때 : 5물
⑤ 바다 상황 : 낚시하기 아주 좋음
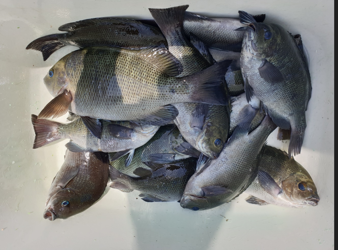
⑥ 조황 요약 : 벵에돔 17 + 10 여마리
안녕하세요 거제에 있는 SEAMONSTER입니다.
지세포방파제에 사람이 너무 많아.. 더이상 자리 잡기 함들어.. 오늘은 장승포 해안도로로.. 낚시를 가봤습니다.
역시나.. 도보 갯바위는 조금은 한적하네요 ㅎㅎ
조황은 저 17마리 정도 벵에돔을 낚았구요... 동행한 친구가 10여마리의 벵에돔을 낚았습니다.
낚시시간은 5시 30분 부터 12시 까지 했네요~
가끔~ 벵에돔이 피기도 했지만.. 잡어가 많았습니다.
정리 하면요~!
1. 자리돔&용치& 망상어 개채수가 급격하게 늘어남..;;
2. 벵에돔 개채수가 제법 많아졌으나.. 평균씨알이 잘아짐.. 간혹 30CM급도 나옴..
3. 도보포인트에 쓰레기가 많이 늘어남.. 낚시자리 청소도.. 없어서.. 썩은내가 진동..;;
이렇게 생각 하시면 될것 같구요..
해안도로나~ 양지암이나~ 능포나!~~! 옥림이나. ㅋㅋㅋ
거기서 거기 이니까~~ 참고 하셔서~
나이스나 허리케인, 강성, 선창, 해림 타실때 준비 하시면 될것 같습니다.
마지막으로~~
제 블로그 홍보할게요 ㅎㅎ.;;
https://blog.naver.com/dldudfhd21st
위에는 제 블로그 이고.. 이번조행기에.. 더 많은 고기 사진 과 밑밥의 준비. 채비의 구성을 적어놨습니다.
참고하시고.. 또~ 제가 블로그 활동하는데.. 낚시블로그 하시는분들.. 이웃추가좀 부탁드릴게요..
저도 검색하면서 신청하는데.. 아무래도.. 매번 검색하는 것으로 하니.. 새로운 분들을 찾기가 힘듭니다..ㅎㅎㅎ
자주 방문하고 댓글 남기도록 하겠습니다.
그럼 읽어주셔서 감사합니다.
② 출 조 지 : 거제 장승포해안도로
③ 출조 인원 : 2명
④ 물 때 : 5물
⑤ 바다 상황 : 낚시하기 아주 좋음
⑥ 조황 요약 : 벵에돔 17 + 10 여마리
안녕하세요 거제에 있는 SEAMONSTER입니다.
지세포방파제에 사람이 너무 많아.. 더이상 자리 잡기 함들어.. 오늘은 장승포 해안도로로.. 낚시를 가봤습니다.
역시나.. 도보 갯바위는 조금은 한적하네요 ㅎㅎ
조황은 저 17마리 정도 벵에돔을 낚았구요... 동행한 친구가 10여마리의 벵에돔을 낚았습니다.
낚시시간은 5시 30분 부터 12시 까지 했네요~
가끔~ 벵에돔이 피기도 했지만.. 잡어가 많았습니다.
정리 하면요~!
1. 자리돔&용치& 망상어 개채수가 급격하게 늘어남..;;
2. 벵에돔 개채수가 제법 많아졌으나.. 평균씨알이 잘아짐.. 간혹 30CM급도 나옴..
3. 도보포인트에 쓰레기가 많이 늘어남.. 낚시자리 청소도.. 없어서.. 썩은내가 진동..;;
이렇게 생각 하시면 될것 같구요..
해안도로나~ 양지암이나~ 능포나!~~! 옥림이나. ㅋㅋㅋ
거기서 거기 이니까~~ 참고 하셔서~
나이스나 허리케인, 강성, 선창, 해림 타실때 준비 하시면 될것 같습니다.
마지막으로~~
제 블로그 홍보할게요 ㅎㅎ.;;
https://blog.naver.com/dldudfhd21st
위에는 제 블로그 이고.. 이번조행기에.. 더 많은 고기 사진 과 밑밥의 준비. 채비의 구성을 적어놨습니다.
참고하시고.. 또~ 제가 블로그 활동하는데.. 낚시블로그 하시는분들.. 이웃추가좀 부탁드릴게요..
저도 검색하면서 신청하는데.. 아무래도.. 매번 검색하는 것으로 하니.. 새로운 분들을 찾기가 힘듭니다..ㅎㅎㅎ
자주 방문하고 댓글 남기도록 하겠습니다.
그럼 읽어주셔서 감사합니다.








