송파구여조사 기록어갱신♡

25~27일
25일.
스승님만 감시35
스승님친구분 30.40 사이즈
저는 꽝ㅠ.ㅠ
26일
너울성파도땜시 1시간도안되서 철수
27일
물색좋으나
바람터졌어요ㅜㅜ
너무바람터져서 장갑까지 다벗어던지고
마늘빵이나 먹다가
이와중에 스승님 한마리잡으셔서
다시 심기일전!!!!
오예!!!!!!
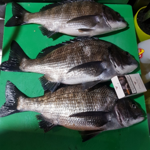
저
기록어갱신합니다ㅋㅋㅋㅋㅋㅋㅋ
진짜 기분째지고 행복하옵니다!!!!!
인생최대어 2마리ㅜㅜㅜㅜ
25일.
스승님만 감시35
스승님친구분 30.40 사이즈
저는 꽝ㅠ.ㅠ
26일
너울성파도땜시 1시간도안되서 철수
27일
물색좋으나
바람터졌어요ㅜㅜ
너무바람터져서 장갑까지 다벗어던지고
마늘빵이나 먹다가
이와중에 스승님 한마리잡으셔서
다시 심기일전!!!!
오예!!!!!!
저
기록어갱신합니다ㅋㅋㅋㅋㅋㅋㅋ
진짜 기분째지고 행복하옵니다!!!!!
인생최대어 2마리ㅜㅜㅜㅜ










