통영 겨울 벵에돔 씨알, 마릿수
① 출 조 일 : 2019.12.14 (토)
② 출 조 지 : 통영 노대도
③ 출조 인원 : 1명
④ 물 때 : 10물
⑤ 바다 상황 : 뜻밖의 바람
⑥ 조황 요약
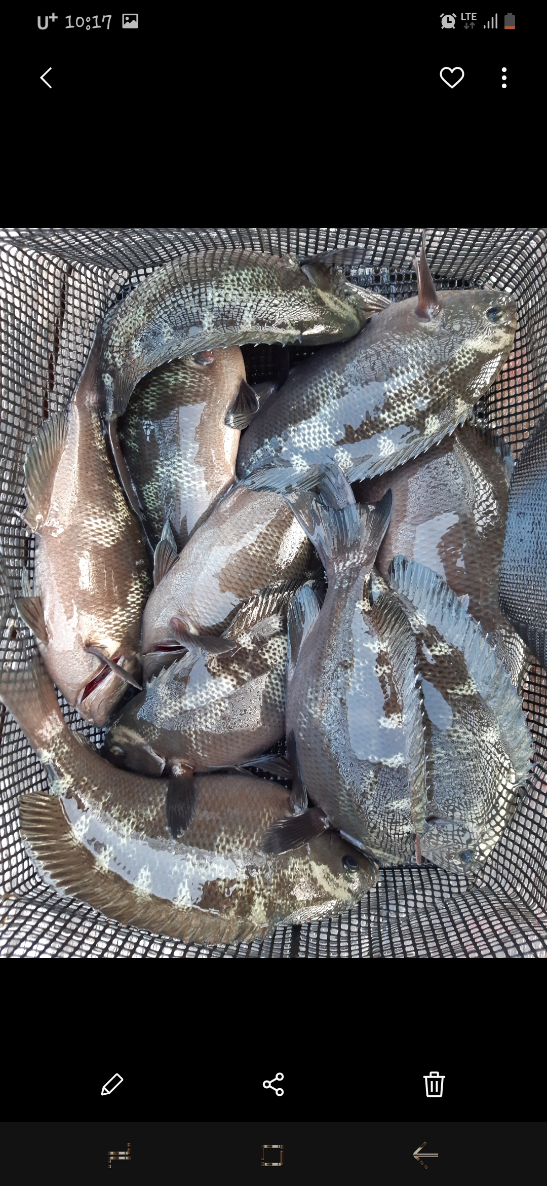
- 수심 4~6m 포인트, 채비 2호 원줄, 1호 목줄, G4찌, 다소 빠른 조류에 흘려 밑밥동조 20m 전방 노림.
- 벵에돔 30이상 10마리
- 25 이상 20 여수 방생 및 나눠드림
- 겨울 벵에돔 맛이 더울때와는 비교가 안될정도로 맛있음.
- 1호 목줄탓 10방 이상 터트림.
② 출 조 지 : 통영 노대도
③ 출조 인원 : 1명
④ 물 때 : 10물
⑤ 바다 상황 : 뜻밖의 바람
⑥ 조황 요약
- 수심 4~6m 포인트, 채비 2호 원줄, 1호 목줄, G4찌, 다소 빠른 조류에 흘려 밑밥동조 20m 전방 노림.
- 벵에돔 30이상 10마리
- 25 이상 20 여수 방생 및 나눠드림
- 겨울 벵에돔 맛이 더울때와는 비교가 안될정도로 맛있음.
- 1호 목줄탓 10방 이상 터트림.












